
Ligterinkweg 1 is een adres in Aalten, dat zich bevindt binnen de gemeentegrenzen van Aalten en de grenzen van de provincie Gelderland. De oppervlakte bedraagt 376 m², waarmee het adres groter dan gemiddeld is. De grootte van het perceel waarop het adres ligt is 1,1 ha. In de straat is dit het adres met de grootste oppervlakte. De objecten in de straat zijn gemiddeld 255 m² groot. Het kleinste verblijfsobject heeft een oppervlakte van 187 m². Het gebouw waarin Ligterinkweg 1 ligt komt uit het jaar 1903. Objecten die gebouwd zijn vóór 1965 classificeren we hier als oud. In de straat is dit het nieuwste pand en stamt het oudste object uit het jaar 1812. Het gemiddelde bouwjaar in de straat is 1869. Voor het verblijfsobject gelden deze gebruiksdoelen: 'woonfunctie'.
Deze woning is voor het laatst verkocht op 1 mei 2003. Meer informatie over deze transactie? Bestel het Woningtransactierapport om de verkoopprijs en andere informatie te zien.
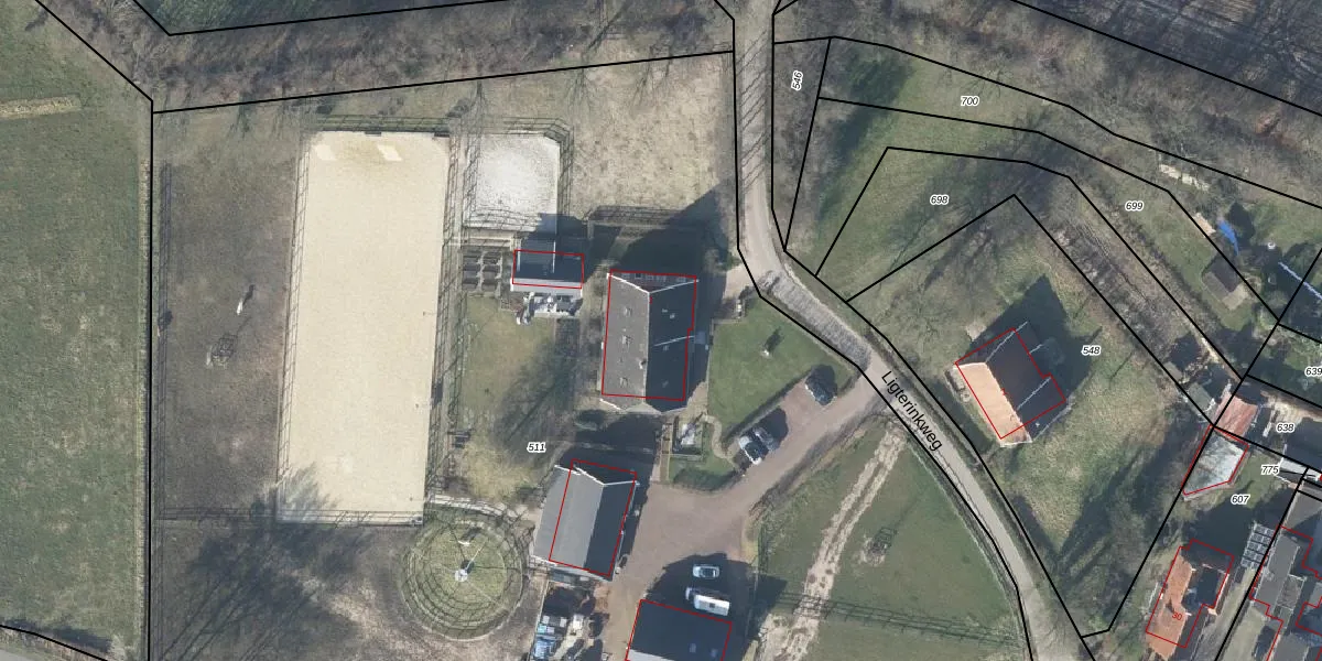
Het perceel waarop het adres ligt is ATN02-N-511. De afkorting 'ATN02' staat voor kadastrale gemeente Aalten. Het perceel is met 1,1 ha relatief groot. Het gemiddelde ligt in de kadastrale gemeente Aalten op 5773,68 m². Het kleinste perceel in de kadastrale gemeente is 0 m² groot. De grootste perceeloppervlakte is 36,2 ha. Er zijn geen andere adressen aanwezig op het perceel. De huidige grenzen van het perceel zijn digitaal in de Basisregistratie Kadaster (BRK) geregistreerd op 22-01-1998.
Er is geen energielabel geregistreerd voor het adres. Het hoogste energielabel in de straat is G; het laagste is G. Het gemiddelde energielabel is er G. Het adres Ligterinkweg 1 heeft als status: 'verblijfsobject in gebruik'. Het pand waarin dit adres ligt heeft als status: 'pand in gebruik'.
Ligterinkweg 1 is een adres gelegen in de gemeente Aalten, provincie Gelderland. Dit adres is geregistreerd in de Basisregistratie Adressen en Gebouwen (BAG) met als unieke identificatie 0197010000000552.
Het pand op Ligterinkweg 1 is gebouwd in 1903, wat betekent dat het 123 jaar oud is. Dit is een ouder pand. Het pand heeft mogelijk aanzienlijke renovaties nodig om aan de huidige standaarden te voldoen.
De woning op Ligterinkweg 1 heeft een gebruiksoppervlakte van 376 m². Dit is ruim vergeleken met de gemiddelde Nederlandse woning, die een oppervlakte heeft van ongeveer 119 m². De gebruiksoppervlakte is de maat die wordt gebruikt in de BAG-registratie, de landelijke registratie van de Nederlandse overheid.
Ligterinkweg 1 heeft als functie: wonen. Deze gebruiksfunctie(s) zijn vastgelegd in de BAG-registratie en geven aan waarvoor het adres officieel mag worden gebruikt.
Ligterinkweg 1 is gelegen op kadastraal perceel ATN02N511. Deze kadastrale aanduiding is uniek en wordt gebruikt door het Kadaster om eigendomsrechten en andere zakelijke rechten vast te leggen. Het perceel maakt onderdeel uit van de kadastrale gemeente Aalten.
Het perceel waarop Ligterinkweg 1 staat heeft een oppervlakte van 1,1 ha. Dit is een zeer groot perceel. De perceeloppervlakte wordt geregistreerd door het Kadaster. Gedetailleerde informatie over de maten van dit perceel kunt u vinden in het rapport Kadastrale kaart met maatvoering van Ligterinkweg 1.
De eigenaar van Ligterinkweg 1 is op te vragen op deze pagina.
De informatie over dit adres is afkomstig uit officiële overheidsregistraties, voornamelijk de Basisregistratie Adressen en Gebouwen (BAG) en de Basisregistratie Kadaster (BRK). Deze gegevens worden beheerd door respectievelijk gemeenten en het Kadaster, en worden regelmatig bijgewerkt. Energielabelgegevens komen uit de database van de Rijksdienst voor Ondernemend Nederland (RVO).
