
Slaadreef 29 is een adres in Aalten, dat zich bevindt binnen de gemeentegrenzen van Aalten en de grenzen van de provincie Gelderland. De oppervlakte van het verblijfsobject is met 167 m² aan de grote kant. Het perceel heeft een oppervlakte van 600 m². Het object is klein ten opzichte van de andere adressen in de straat. Het grootste verblijfsobject is 1646 m² groot en het kleinste is 149 m². Het pand waarin Slaadreef 29 ligt is gebouwd in het jaar 1997. Panden die gebouwd zijn na het jaar 1984 noemen we hier relatief nieuw. Het nieuwste gebouw in de straat komt uit 2017 en het oudste uit 1965. Dit object is relatief oud. Voor het verblijfsobject gelden deze gebruiksdoelen: 'woonfunctie'.
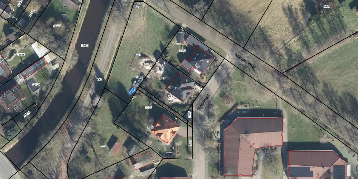
Het perceel waarop het adres ligt is ATN02-R-1030. De afkorting 'ATN02' staat voor kadastrale gemeente Aalten. De gemiddelde perceelgrootte in Aalten is 5780,54 m². Dit perceel is kleiner: de perceeloppervlakte bedraagt 600 m². Het kleinste perceel in de kadastrale gemeente is 0 m² groot. De grootste perceeloppervlakte is 36,2 ha. Op het perceel bevinden zich geen andere adressen. De huidige grenzen van het perceel zijn digitaal in de Basisregistratie Kadaster (BRK) geregistreerd op 29-10-2021.
Er is geen energielabel geregistreerd voor het adres. Het hoogste energielabel in de straat is A; het laagste is G. Het gemiddelde energielabel is er B. Het adres Slaadreef 29 heeft als status: 'verblijfsobject in gebruik'. Het pand waarin dit adres ligt heeft als status: 'pand in gebruik'.
Slaadreef 29 is een adres gelegen in de gemeente Aalten, provincie Gelderland. Dit adres is geregistreerd in de Basisregistratie Adressen en Gebouwen (BAG) met als unieke identificatie 0197010000006990.
Het pand op Slaadreef 29 is gebouwd in 1997, wat betekent dat het 29 jaar oud is. Dit is een pand van middelbare leeftijd. Het pand is van gemiddelde leeftijd en zal waarschijnlijk verouderde elementen bevatten.
De woning op Slaadreef 29 heeft een gebruiksoppervlakte van 167 m². Dit is ruim vergeleken met de gemiddelde Nederlandse woning, die een oppervlakte heeft van ongeveer 119 m². De gebruiksoppervlakte is de maat die wordt gebruikt in de BAG-registratie, de landelijke registratie van de Nederlandse overheid.
Slaadreef 29 heeft als functie: wonen. Deze gebruiksfunctie(s) zijn vastgelegd in de BAG-registratie en geven aan waarvoor het adres officieel mag worden gebruikt.
Slaadreef 29 is gelegen op kadastraal perceel ATN02R1030. Deze kadastrale aanduiding is uniek en wordt gebruikt door het Kadaster om eigendomsrechten en andere zakelijke rechten vast te leggen. Het perceel maakt onderdeel uit van de kadastrale gemeente Aalten.
Het perceel waarop Slaadreef 29 staat heeft een oppervlakte van 600 m². Dit is een groot perceel. De perceeloppervlakte wordt geregistreerd door het Kadaster. Gedetailleerde informatie over de maten van dit perceel kunt u vinden in het rapport Kadastrale kaart met maatvoering van Slaadreef 29.
De eigenaar van Slaadreef 29 is op te vragen op deze pagina.
De informatie over dit adres is afkomstig uit officiële overheidsregistraties, voornamelijk de Basisregistratie Adressen en Gebouwen (BAG) en de Basisregistratie Kadaster (BRK). Deze gegevens worden beheerd door respectievelijk gemeenten en het Kadaster, en worden regelmatig bijgewerkt. Energielabelgegevens komen uit de database van de Rijksdienst voor Ondernemend Nederland (RVO).
