
Het adres Helmondseweg 27 bevindt zich in de plaats Aarle-Rixtel, in de gemeente Aarle-Rixtel en de provincie Noord-Brabant. De oppervlakte van het verblijfsobject is met 322 m² aan de grote kant. Het perceel heeft een oppervlakte van 5170 m². De oppervlakte van dit adres is groot vergeleken met de oppervlaktes van andere adressen in de straat. De kleinste oppervlakte bedraagt er 48 m², de grootste 742 m². De meeste Nederlandse gebouwen zijn gebouwd in de periode 1965-1984. Zo ook het pand waarin Helmondseweg 27 ligt, dat gebouwd is in 1973. Het nieuwste gebouw in de straat komt uit 2025 en het oudste uit 1901. Dit object is relatief oud. Het verblijfsobject heeft de volgende gebruiksdoelen: 'woonfunctie'.
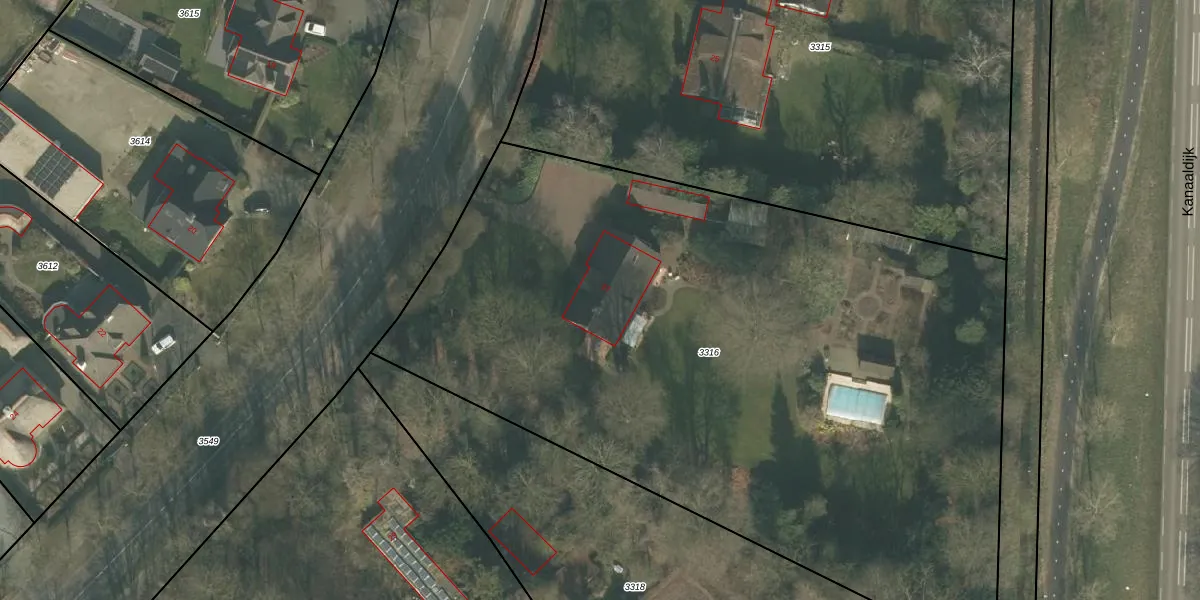
Het adres ligt op het perceel ALE00-C-3316, dat zich in de kadastrale gemeente Aarle-Rixtel bevindt. De gemiddelde perceeloppervlakte in de kadastrale gemeente Aarle-Rixtel is 3891,83 m². Dit perceel is met zijn 5170 m² dus groter dan gemiddeld. De grootste perceeloppervlakte in de kadastrale gemeente is 42,4 ha. De kleinste oppervlakte bedraagt 0 m². Op het perceel bevinden zich geen andere adressen. In de Basisregistratie Kadaster (BRK) werden de grenzen van het perceel geregistreerd op 03-07-2009.
Er is geen energielabel geregistreerd voor het adres. Het hoogste energielabel in de straat is A+; het laagste is G. Het gemiddelde energielabel is er C. Het adres Helmondseweg 27 heeft als status: 'verblijfsobject in gebruik'. Het pand waarin dit adres ligt heeft als status: 'pand in gebruik'.
Helmondseweg 27 is een adres gelegen in de gemeente Laarbeek, provincie Noord-Brabant. Dit adres is geregistreerd in de Basisregistratie Adressen en Gebouwen (BAG) met als unieke identificatie 1659010000004425.
Het pand op Helmondseweg 27 is gebouwd in 1973, wat betekent dat het 53 jaar oud is. Dit is een ouder pand. Het pand heeft mogelijk aanzienlijke renovaties nodig om aan de huidige standaarden te voldoen.
De woning op Helmondseweg 27 heeft een gebruiksoppervlakte van 322 m². Dit is ruim vergeleken met de gemiddelde Nederlandse woning, die een oppervlakte heeft van ongeveer 119 m². De gebruiksoppervlakte is de maat die wordt gebruikt in de BAG-registratie, de landelijke registratie van de Nederlandse overheid.
Helmondseweg 27 heeft als functie: wonen. Deze gebruiksfunctie(s) zijn vastgelegd in de BAG-registratie en geven aan waarvoor het adres officieel mag worden gebruikt.
Helmondseweg 27 is gelegen op kadastraal perceel ALE00C3316. Deze kadastrale aanduiding is uniek en wordt gebruikt door het Kadaster om eigendomsrechten en andere zakelijke rechten vast te leggen. Het perceel maakt onderdeel uit van de kadastrale gemeente Aarle-Rixtel.
Het perceel waarop Helmondseweg 27 staat heeft een oppervlakte van 5170 m². Dit is een zeer groot perceel. De perceeloppervlakte wordt geregistreerd door het Kadaster. Gedetailleerde informatie over de maten van dit perceel kunt u vinden in het rapport Kadastrale kaart met maatvoering van Helmondseweg 27.
De eigenaar van Helmondseweg 27 is op te vragen op deze pagina.
De informatie over dit adres is afkomstig uit officiële overheidsregistraties, voornamelijk de Basisregistratie Adressen en Gebouwen (BAG) en de Basisregistratie Kadaster (BRK). Deze gegevens worden beheerd door respectievelijk gemeenten en het Kadaster, en worden regelmatig bijgewerkt. Energielabelgegevens komen uit de database van de Rijksdienst voor Ondernemend Nederland (RVO).
