
Het adres Achterveldseweg 45-01 bevindt zich in de plaats Achterveld, in de gemeente Achterveld en de provincie Gelderland. Het object heeft een oppervlakte van 191 m², wat relatief groot is. Het perceel waarop het adres ligt is 580 m² groot. Het object is klein ten opzichte van de andere adressen in de straat. Het grootste verblijfsobject is 459 m² groot en het kleinste is 40 m². De meeste Nederlandse gebouwen zijn gebouwd in de periode 1965-1984. Zo ook het pand waarin Achterveldseweg 45-01 ligt, dat gebouwd is in 1984. Vergeleken met de andere panden in de straat is dit gebouw nieuw. Het vroegste bouwjaar is er 1693 en het laatste is 2024. Voor het verblijfsobject gelden deze gebruiksdoelen: 'woonfunctie'.
Deze woning is voor het laatst verkocht op 1 september 2016. Meer informatie over deze transactie? Bestel het Woningtransactierapport om de verkoopprijs en andere informatie te zien.
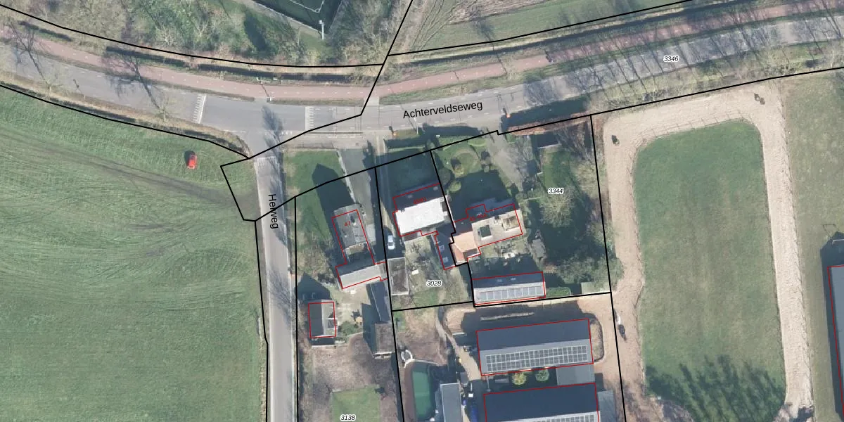
Het perceel waarop het adres ligt is BNV00-E-3028. De afkorting 'BNV00' staat voor kadastrale gemeente Barneveld. De gemiddelde perceelgrootte in Barneveld is 3129,77 m². Dit perceel is kleiner: de perceeloppervlakte bedraagt 580 m². De grootste perceeloppervlakte in de kadastrale gemeente is 23,8 ha. De kleinste oppervlakte bedraagt 0 m². Dit is het enige adres dat aanwezig is op het perceel. In de Basisregistratie Kadaster (BRK) werden de grenzen van het perceel geregistreerd op 23-11-2004.
Het adres ligt in een gebouw van het type 'vrijstaande woning'. Bij de laatste meting is voor het adres het energielabel C geregistreerd. Het hoogste energielabel in de straat is A++; het laagste is G. Het gemiddelde energielabel is er C. Het adres Achterveldseweg 45-01 heeft als status: 'verblijfsobject in gebruik'. Het pand waarin dit adres ligt heeft als status: 'pand in gebruik'.
Achterveldseweg 45-01 is een adres gelegen in de gemeente Barneveld, provincie Gelderland. Dit adres is geregistreerd in de Basisregistratie Adressen en Gebouwen (BAG) met als unieke identificatie 0203010000377735.
Het pand op Achterveldseweg 45-01 is gebouwd in 1984, wat betekent dat het 42 jaar oud is. Dit is een pand van middelbare leeftijd. Het pand is van gemiddelde leeftijd en zal waarschijnlijk verouderde elementen bevatten.
De woning op Achterveldseweg 45-01 heeft een gebruiksoppervlakte van 191 m². Dit is ruim vergeleken met de gemiddelde Nederlandse woning, die een oppervlakte heeft van ongeveer 119 m². De gebruiksoppervlakte is de maat die wordt gebruikt in de BAG-registratie, de landelijke registratie van de Nederlandse overheid.
Achterveldseweg 45-01 heeft als functie: wonen. Deze gebruiksfunctie(s) zijn vastgelegd in de BAG-registratie en geven aan waarvoor het adres officieel mag worden gebruikt.
Achterveldseweg 45-01 is gelegen op kadastraal perceel BNV00E3028. Deze kadastrale aanduiding is uniek en wordt gebruikt door het Kadaster om eigendomsrechten en andere zakelijke rechten vast te leggen. Het perceel maakt onderdeel uit van de kadastrale gemeente Barneveld.
Het perceel waarop Achterveldseweg 45-01 staat heeft een oppervlakte van 580 m². Dit is een groot perceel. De perceeloppervlakte wordt geregistreerd door het Kadaster. Gedetailleerde informatie over de maten van dit perceel kunt u vinden in het rapport Kadastrale kaart met maatvoering van Achterveldseweg 45-01.
De eigenaar van Achterveldseweg 45-01 is op te vragen op deze pagina.
De informatie over dit adres is afkomstig uit officiële overheidsregistraties, voornamelijk de Basisregistratie Adressen en Gebouwen (BAG) en de Basisregistratie Kadaster (BRK). Deze gegevens worden beheerd door respectievelijk gemeenten en het Kadaster, en worden regelmatig bijgewerkt. Energielabelgegevens komen uit de database van de Rijksdienst voor Ondernemend Nederland (RVO).
