
Het adres Marius Bauerlaan 10 bevindt zich in de plaats Aerdenhout, in de gemeente Aerdenhout en de provincie Noord-Holland. De oppervlakte bedraagt 403 m², waarmee het adres groter dan gemiddeld is. De grootte van het perceel waarop het adres ligt is 2597 m². De oppervlakte van dit adres is groot vergeleken met de oppervlaktes van andere adressen in de straat. De kleinste oppervlakte bedraagt er 218 m², de grootste 452 m². Het adres Marius Bauerlaan 10 ligt in een relatief oud pand uit het jaar 1926. Panden van vóór het jaar 1965 hebben we hier geclassificeerd als oud. In de straat komt het nieuwste gebouw uit het jaar 1976 en het oudste uit 1901. Het bouwjaar van dit object is relatief oud. Het verblijfsobject heeft de volgende gebruiksdoelen: 'woonfunctie'.
Deze woning is voor het laatst verkocht op 1 oktober 2025. Meer informatie over deze transactie? Bestel het Woningtransactierapport om de verkoopprijs en andere informatie te zien.
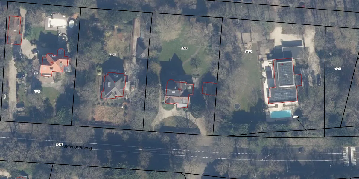
Het adres ligt op het perceel BMD00-B-5124, dat zich in de kadastrale gemeente Bloemendaal bevindt. Het perceel is kleiner dan gemiddeld in Bloemendaal. Het perceel is 2597 m² groot, terwijl het gemiddelde ligt op 5062,91 m². De grootste perceeloppervlakte in de kadastrale gemeente is 5,03 km². De kleinste oppervlakte bedraagt 0 m². Er zijn geen andere adressen aanwezig op het perceel. In de Basisregistratie Kadaster (BRK) werden de grenzen van het perceel geregistreerd op 28-11-1997.
Het adres ligt in een gebouw van het type 'vrijstaande woning'. Bij de laatste meting is voor het adres het energielabel E geregistreerd. Het hoogste energielabel in de straat is A+; het laagste is G. Het gemiddelde energielabel is er D. Het adres Marius Bauerlaan 10 heeft als status: 'verblijfsobject in gebruik'. Het pand waarin dit adres ligt heeft als status: 'pand in gebruik'.
Marius Bauerlaan 10 is een adres gelegen in de gemeente Bloemendaal, provincie Noord-Holland. Dit adres is geregistreerd in de Basisregistratie Adressen en Gebouwen (BAG) met als unieke identificatie 0377010000014682.
Het pand op Marius Bauerlaan 10 is gebouwd in 1926, wat betekent dat het 100 jaar oud is. Dit is een ouder pand. Het pand heeft mogelijk aanzienlijke renovaties nodig om aan de huidige standaarden te voldoen.
De woning op Marius Bauerlaan 10 heeft een gebruiksoppervlakte van 403 m². Dit is ruim vergeleken met de gemiddelde Nederlandse woning, die een oppervlakte heeft van ongeveer 119 m². De gebruiksoppervlakte is de maat die wordt gebruikt in de BAG-registratie, de landelijke registratie van de Nederlandse overheid.
Marius Bauerlaan 10 heeft als functie: wonen. Deze gebruiksfunctie(s) zijn vastgelegd in de BAG-registratie en geven aan waarvoor het adres officieel mag worden gebruikt.
Marius Bauerlaan 10 is gelegen op kadastraal perceel BMD00B5124. Deze kadastrale aanduiding is uniek en wordt gebruikt door het Kadaster om eigendomsrechten en andere zakelijke rechten vast te leggen. Het perceel maakt onderdeel uit van de kadastrale gemeente Bloemendaal.
Het perceel waarop Marius Bauerlaan 10 staat heeft een oppervlakte van 2597 m². Dit is een zeer groot perceel. De perceeloppervlakte wordt geregistreerd door het Kadaster. Gedetailleerde informatie over de maten van dit perceel kunt u vinden in het rapport Kadastrale kaart met maatvoering van Marius Bauerlaan 10.
De eigenaar van Marius Bauerlaan 10 is op te vragen op deze pagina.
De informatie over dit adres is afkomstig uit officiële overheidsregistraties, voornamelijk de Basisregistratie Adressen en Gebouwen (BAG) en de Basisregistratie Kadaster (BRK). Deze gegevens worden beheerd door respectievelijk gemeenten en het Kadaster, en worden regelmatig bijgewerkt. Energielabelgegevens komen uit de database van de Rijksdienst voor Ondernemend Nederland (RVO).
