
Beuningsestraat 9 is gelegen in de plaats Aerdt, de gemeente Zevenaar en de provincie Gelderland. De oppervlakte bedraagt 255 m², waarmee het adres groter dan gemiddeld is. De grootte van het perceel waarop het adres ligt is 3214 m². Het object is klein ten opzichte van de andere adressen in de straat. Het grootste verblijfsobject is 742 m² groot en het kleinste is 9 m². De meeste Nederlandse gebouwen zijn gebouwd in de periode 1965-1984. Zo ook het pand waarin Beuningsestraat 9 ligt, dat gebouwd is in 1969. Veel andere gebouwen in de straat zijn ouder dan dit pand. Het oudste pand komt uit het jaar 1910 en het nieuwste uit 2019. Het verblijfsobject heeft de volgende gebruiksdoelen: 'woonfunctie' en 'kantoorfunctie'.
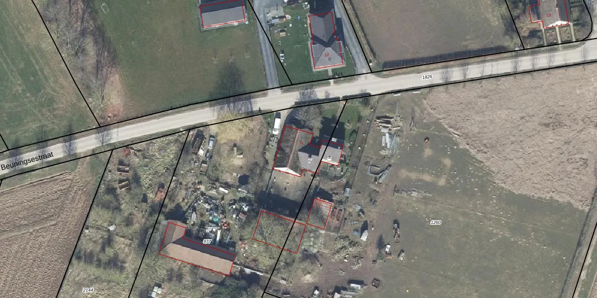
Het perceel waarop het adres ligt is AER00-B-977. De afkorting 'AER00' staat voor kadastrale gemeente Aerdt. Het perceel is kleiner dan gemiddeld in Aerdt. Het perceel is 3214 m² groot, terwijl het gemiddelde ligt op 8670,44 m². De grootste perceeloppervlakte in de kadastrale gemeente is 19,1 ha. De kleinste oppervlakte bedraagt 2 m². Er zijn geen andere adressen aanwezig op het perceel. De laatste wijziging in het de Basisregistratie Kadaster (BRK) was op 20-09-2004.
Er is geen energielabel geregistreerd voor het adres. Het hoogste energielabel in de straat is A; het laagste is G. Het gemiddelde energielabel is er C. Het adres Beuningsestraat 9 heeft als status: 'verblijfsobject in gebruik'. Het pand waarin dit adres ligt heeft als status: 'pand in gebruik'.
Beuningsestraat 9 is een adres gelegen in de gemeente Zevenaar, provincie Gelderland. Dit adres is geregistreerd in de Basisregistratie Adressen en Gebouwen (BAG) met als unieke identificatie 0196010000343510.
Het pand op Beuningsestraat 9 is gebouwd in 1969, wat betekent dat het 57 jaar oud is. Dit is een ouder pand. Het pand heeft mogelijk aanzienlijke renovaties nodig om aan de huidige standaarden te voldoen.
De woning op Beuningsestraat 9 heeft een gebruiksoppervlakte van 255 m². Dit is ruim vergeleken met de gemiddelde Nederlandse woning, die een oppervlakte heeft van ongeveer 119 m². De gebruiksoppervlakte is de maat die wordt gebruikt in de BAG-registratie, de landelijke registratie van de Nederlandse overheid.
Beuningsestraat 9 heeft als functie: wonen en kantoor. Deze gebruiksfunctie(s) zijn vastgelegd in de BAG-registratie en geven aan waarvoor het adres officieel mag worden gebruikt.
Beuningsestraat 9 is gelegen op kadastraal perceel AER00B977. Deze kadastrale aanduiding is uniek en wordt gebruikt door het Kadaster om eigendomsrechten en andere zakelijke rechten vast te leggen. Het perceel maakt onderdeel uit van de kadastrale gemeente Aerdt.
Het perceel waarop Beuningsestraat 9 staat heeft een oppervlakte van 3214 m². Dit is een zeer groot perceel. De perceeloppervlakte wordt geregistreerd door het Kadaster. Gedetailleerde informatie over de maten van dit perceel kunt u vinden in het rapport Kadastrale kaart met maatvoering van Beuningsestraat 9.
De eigenaar van Beuningsestraat 9 is op te vragen op deze pagina.
De informatie over dit adres is afkomstig uit officiële overheidsregistraties, voornamelijk de Basisregistratie Adressen en Gebouwen (BAG) en de Basisregistratie Kadaster (BRK). Deze gegevens worden beheerd door respectievelijk gemeenten en het Kadaster, en worden regelmatig bijgewerkt. Energielabelgegevens komen uit de database van de Rijksdienst voor Ondernemend Nederland (RVO).
