
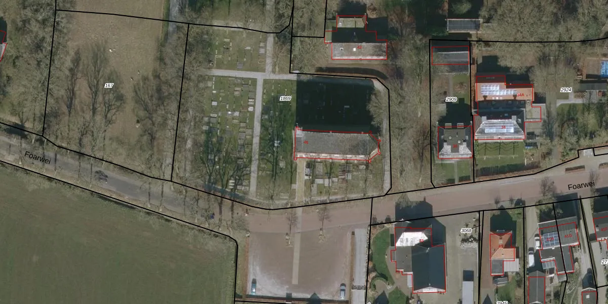
Foarwei 46 is gelegen in de plaats Aldwâld, de gemeente Noardeast-Fryslân en de provincie Friesland. Het object heeft een oppervlakte van 270 m², wat relatief groot is. Het perceel waarop het adres ligt is 3420 m² groot. In vergelijking met de andere adressen in de straat is de oppervlakte van dit object relatief groot. Het grootste verblijfsobject heeft een oppervlakte van 2029 m², de oppervlakte van het kleinste object bedraagt 7 m². Foarwei 46 bevindt zich in een pand uit het jaar 1450. Daarmee behoort het tot de groep relatief oude panden in Nederland die gebouwd zijn vóór 1965. Het gemiddelde bouwjaar in de straat is 1964 en dat van het nieuwste object 2025. In de straat is dit het oudste pand. Het verblijfsobject heeft de volgende gebruiksdoelen: 'bijeenkomstfunctie'.
Het perceel waarop het adres ligt is WTG01-B-1869. De afkorting 'WTG01' staat voor kadastrale gemeente Westergeest. Het perceel is kleiner dan gemiddeld in Westergeest. Het perceel is 3420 m² groot, terwijl het gemiddelde ligt op 8417,21 m². Het grootste perceel in de kadastrale gemeente is 47,5 ha. Het kleinste perceel heeft een oppervlakte van 0 m². Dit is het enige adres dat aanwezig is op het perceel. De laatste wijziging in het de Basisregistratie Kadaster (BRK) was op 01-04-2008.
Er is geen energielabel geregistreerd voor het adres. Het hoogste energielabel in de straat is A+; het laagste is G. Het gemiddelde energielabel is er B. Het adres Foarwei 46 heeft als status: 'verblijfsobject in gebruik'. Het pand waarin dit adres ligt heeft als status: 'pand in gebruik'.
Foarwei 46 is een adres gelegen in de gemeente Noardeast-Fryslân, provincie Friesland. Dit adres is geregistreerd in de Basisregistratie Adressen en Gebouwen (BAG) met als unieke identificatie 0079010000376613.
Het pand op Foarwei 46 is gebouwd in 1450, wat betekent dat het 576 jaar oud is. Dit is een ouder pand. Het pand heeft mogelijk aanzienlijke renovaties nodig om aan de huidige standaarden te voldoen.
De woning op Foarwei 46 heeft een gebruiksoppervlakte van 270 m². Dit is ruim vergeleken met de gemiddelde Nederlandse woning, die een oppervlakte heeft van ongeveer 119 m². De gebruiksoppervlakte is de maat die wordt gebruikt in de BAG-registratie, de landelijke registratie van de Nederlandse overheid.
Foarwei 46 heeft als functie: bijeenkomsten. Deze gebruiksfunctie(s) zijn vastgelegd in de BAG-registratie en geven aan waarvoor het adres officieel mag worden gebruikt.
Foarwei 46 is gelegen op kadastraal perceel WTG01B1869. Deze kadastrale aanduiding is uniek en wordt gebruikt door het Kadaster om eigendomsrechten en andere zakelijke rechten vast te leggen. Het perceel maakt onderdeel uit van de kadastrale gemeente Westergeest.
Het perceel waarop Foarwei 46 staat heeft een oppervlakte van 3420 m². Dit is een zeer groot perceel. De perceeloppervlakte wordt geregistreerd door het Kadaster. Gedetailleerde informatie over de maten van dit perceel kunt u vinden in het rapport Kadastrale kaart met maatvoering van Foarwei 46.
De eigenaar van Foarwei 46 is op te vragen op deze pagina.
De informatie over dit adres is afkomstig uit officiële overheidsregistraties, voornamelijk de Basisregistratie Adressen en Gebouwen (BAG) en de Basisregistratie Kadaster (BRK). Deze gegevens worden beheerd door respectievelijk gemeenten en het Kadaster, en worden regelmatig bijgewerkt. Energielabelgegevens komen uit de database van de Rijksdienst voor Ondernemend Nederland (RVO).
