
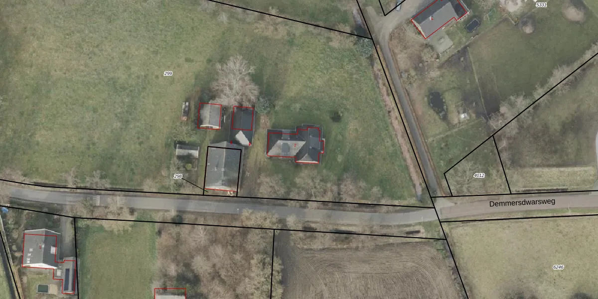
Demmersdwarsweg 2 is gelegen in de plaats Almelo, de gemeente Almelo en de provincie Overijssel. De oppervlakte van het verblijfsobject is met 256 m² aan de grote kant. Het perceel heeft een oppervlakte van 8933 m². Dit is het adres met de grootste oppervlakte van alle adressen in de straat. Gemiddeld hebben de objecten in de straat een oppervlakte van 245 m². De kleinste oppervlakte is er 234 m². Het gebouw waarin Demmersdwarsweg 2 ligt komt uit het jaar 1890. Objecten die gebouwd zijn vóór 1965 classificeren we hier als oud. Gemiddeld zijn de gebouwen in de straat gebouwd in 1909. Dit is het oudste pand in de straat. Het meest recente komt uit het jaar 1928. Het verblijfsobject heeft de volgende gebruiksdoelen: 'woonfunctie'.
Het adres ligt op het perceel AML01-C-299, dat zich in de kadastrale gemeente Ambt-Almelo bevindt. De gemiddelde perceeloppervlakte in de kadastrale gemeente Ambt-Almelo is 2066,72 m². Dit perceel is met zijn 8933 m² dus groter dan gemiddeld. Het kleinste perceel in de kadastrale gemeente is 0 m² groot. De grootste perceeloppervlakte is 67,4 ha. Op het perceel bevinden zich geen andere adressen. De laatste wijziging in het de Basisregistratie Kadaster (BRK) was op 13-12-2002.
Er is geen energielabel geregistreerd voor het adres. Het hoogste energielabel in de straat is C; het laagste is G. Het gemiddelde energielabel is er C. Het adres Demmersdwarsweg 2 heeft als status: 'verblijfsobject in gebruik'. Het pand waarin dit adres ligt heeft als status: 'pand in gebruik'.
Demmersdwarsweg 2 is een adres gelegen in de gemeente Almelo, provincie Overijssel. Dit adres is geregistreerd in de Basisregistratie Adressen en Gebouwen (BAG) met als unieke identificatie 0141010000014984.
Het pand op Demmersdwarsweg 2 is gebouwd in 1890, wat betekent dat het 136 jaar oud is. Dit is een ouder pand. Het pand heeft mogelijk aanzienlijke renovaties nodig om aan de huidige standaarden te voldoen.
De woning op Demmersdwarsweg 2 heeft een gebruiksoppervlakte van 256 m². Dit is ruim vergeleken met de gemiddelde Nederlandse woning, die een oppervlakte heeft van ongeveer 119 m². De gebruiksoppervlakte is de maat die wordt gebruikt in de BAG-registratie, de landelijke registratie van de Nederlandse overheid.
Demmersdwarsweg 2 heeft als functie: wonen. Deze gebruiksfunctie(s) zijn vastgelegd in de BAG-registratie en geven aan waarvoor het adres officieel mag worden gebruikt.
Demmersdwarsweg 2 is gelegen op kadastraal perceel AML01C299. Deze kadastrale aanduiding is uniek en wordt gebruikt door het Kadaster om eigendomsrechten en andere zakelijke rechten vast te leggen. Het perceel maakt onderdeel uit van de kadastrale gemeente Ambt-Almelo.
Het perceel waarop Demmersdwarsweg 2 staat heeft een oppervlakte van 8933 m². Dit is een zeer groot perceel. De perceeloppervlakte wordt geregistreerd door het Kadaster. Gedetailleerde informatie over de maten van dit perceel kunt u vinden in het rapport Kadastrale kaart met maatvoering van Demmersdwarsweg 2.
De eigenaar van Demmersdwarsweg 2 is op te vragen op deze pagina.
De informatie over dit adres is afkomstig uit officiële overheidsregistraties, voornamelijk de Basisregistratie Adressen en Gebouwen (BAG) en de Basisregistratie Kadaster (BRK). Deze gegevens worden beheerd door respectievelijk gemeenten en het Kadaster, en worden regelmatig bijgewerkt. Energielabelgegevens komen uit de database van de Rijksdienst voor Ondernemend Nederland (RVO).
