
Pieter de Hoochstraat 52 is gelegen in de plaats Almelo, de gemeente Almelo en de provincie Overijssel. De oppervlakte van het object bedraagt 71 m². Dat is klein vergeleken met het Nederlandse gemiddelde. Het perceel waarop het adres ligt is 2088 m² groot. De oppervlakte van het adres is klein vergeleken met de andere objecten in de straat. De oppervlakte van het kleinste object in de straat bedraagt 18 m², terwijl het grootste object 131 m² groot is. Het adres Pieter de Hoochstraat 52 ligt in een relatief oud pand uit het jaar 1963. Panden van vóór het jaar 1965 hebben we hier geclassificeerd als oud. In de straat komt het nieuwste gebouw uit het jaar 1964 en het oudste uit 1961. Het bouwjaar van dit object is relatief oud. Voor het verblijfsobject gelden deze gebruiksdoelen: 'woonfunctie'.
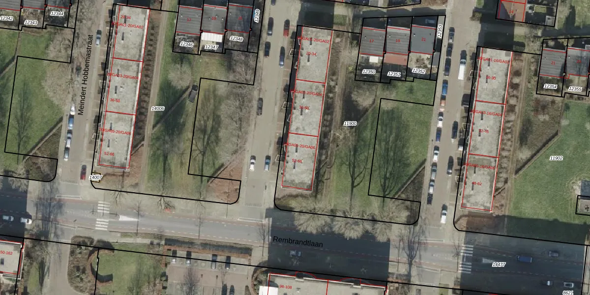
Het adres is gelegen op perceel 11900 in de sectie H en de kadastrale gemeente Ambt-Almelo. De kadastrale aanduiding is aldus AML01-H-11900. Het perceel is met 2088 m² relatief groot. Het gemiddelde ligt in de kadastrale gemeente Ambt-Almelo op 2066,47 m². De grootste perceeloppervlakte in de kadastrale gemeente is 67,4 ha. De kleinste oppervlakte bedraagt 0 m². Op het perceel zijn 30 adressen aanwezig. De laatste wijziging in het de Basisregistratie Kadaster (BRK) was op 26-09-2003.
Het adres ligt in een gebouw van het type 'flatwoning (overig) met het subtype tussenvloer'. Bij de laatste meting is voor het adres het energielabel D geregistreerd. Het hoogste energielabel in de straat is A; het laagste is G. Het gemiddelde energielabel is er D. Het adres Pieter de Hoochstraat 52 heeft als status: 'verblijfsobject in gebruik'. Het pand waarin dit adres ligt heeft als status: 'pand in gebruik'.
Pieter de Hoochstraat 52 is een adres gelegen in de gemeente Almelo, provincie Overijssel. Dit adres is geregistreerd in de Basisregistratie Adressen en Gebouwen (BAG) met als unieke identificatie 0141010000026035.
Het pand op Pieter de Hoochstraat 52 is gebouwd in 1963, wat betekent dat het 63 jaar oud is. Dit is een ouder pand. Het pand heeft mogelijk aanzienlijke renovaties nodig om aan de huidige standaarden te voldoen.
De woning op Pieter de Hoochstraat 52 heeft een gebruiksoppervlakte van 71 m². Dit is relatief klein vergeleken met de gemiddelde Nederlandse woning, die een oppervlakte heeft van ongeveer 119 m². De gebruiksoppervlakte is de maat die wordt gebruikt in de BAG-registratie, de landelijke registratie van de Nederlandse overheid.
Pieter de Hoochstraat 52 heeft als functie: wonen. Deze gebruiksfunctie(s) zijn vastgelegd in de BAG-registratie en geven aan waarvoor het adres officieel mag worden gebruikt.
Pieter de Hoochstraat 52 is gelegen op kadastraal perceel AML01H11900. Deze kadastrale aanduiding is uniek en wordt gebruikt door het Kadaster om eigendomsrechten en andere zakelijke rechten vast te leggen. Het perceel maakt onderdeel uit van de kadastrale gemeente Ambt-Almelo.
Het perceel waarop Pieter de Hoochstraat 52 staat heeft een oppervlakte van 2088 m². Dit is een zeer groot perceel. De perceeloppervlakte wordt geregistreerd door het Kadaster. Gedetailleerde informatie over de maten van dit perceel kunt u vinden in het rapport Kadastrale kaart met maatvoering van Pieter de Hoochstraat 52.
De eigenaar van Pieter de Hoochstraat 52 is op te vragen op deze pagina.
De informatie over dit adres is afkomstig uit officiële overheidsregistraties, voornamelijk de Basisregistratie Adressen en Gebouwen (BAG) en de Basisregistratie Kadaster (BRK). Deze gegevens worden beheerd door respectievelijk gemeenten en het Kadaster, en worden regelmatig bijgewerkt. Energielabelgegevens komen uit de database van de Rijksdienst voor Ondernemend Nederland (RVO).
