
Sluiskade Noordzijde 210 is gelegen in de plaats Almelo, de gemeente Almelo en de provincie Overijssel. Het verblijfsobject is 100 m² groot en bevindt zich op een perceel met een oppervlakte van 440 m². Gemiddeld hebben adressen in Nederland een oppervlakte van 119 m². In de straat is dit het kleinste object. Het grootste verblijfsobject heeft een oppervlakte van 1,3 ha. De gemiddelde grootte is er 538 m². De gemiddelde bouwperiode van gebouwen in Nederland ligt tussen de jaren 1965-1984. Dat geldt ook voor het bouwjaar van Sluiskade Noordzijde 210: het is gebouwd in het jaar 1965. Vergeleken met de andere panden in de straat is dit gebouw nieuw. Het vroegste bouwjaar is er 1898 en het laatste is 2025. De volgende gebruiksdoelen zijn geregistreerd voor dit adres: 'overige gebruiksfunctie'.
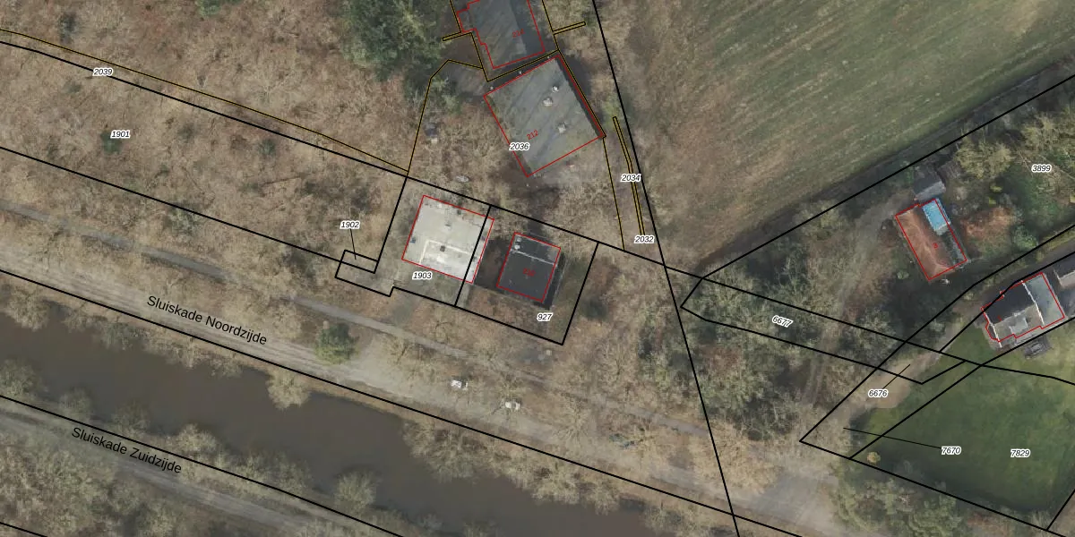
Het perceel waarop het adres ligt is AML01-D-927. De afkorting 'AML01' staat voor kadastrale gemeente Ambt-Almelo. Het perceel is 440 m² groot. Dat is kleiner dan de gemiddelde perceeloppervlakte in Ambt-Almelo, dat op 2066,72 m² ligt. Het kleinste perceel in de kadastrale gemeente is 0 m² groot. De grootste perceeloppervlakte is 67,4 ha. Dit is het enige adres dat aanwezig is op het perceel. De laatste wijziging in het de Basisregistratie Kadaster (BRK) was op 18-08-2014.
Er is geen energielabel geregistreerd voor het adres. Het hoogste energielabel in de straat is A+; het laagste is G. Het gemiddelde energielabel is er D. Het adres Sluiskade Noordzijde 210 heeft als status: 'verblijfsobject in gebruik'. Het pand waarin dit adres ligt heeft als status: 'pand in gebruik'.
Sluiskade Noordzijde 210 is een adres gelegen in de gemeente Almelo, provincie Overijssel. Dit adres is geregistreerd in de Basisregistratie Adressen en Gebouwen (BAG) met als unieke identificatie 0141010000029678.
Het pand op Sluiskade Noordzijde 210 is gebouwd in 1965, wat betekent dat het 61 jaar oud is. Dit is een ouder pand. Het pand heeft mogelijk aanzienlijke renovaties nodig om aan de huidige standaarden te voldoen.
De woning op Sluiskade Noordzijde 210 heeft een gebruiksoppervlakte van 100 m². Dit is onder het gemiddelde vergeleken met de gemiddelde Nederlandse woning, die een oppervlakte heeft van ongeveer 119 m². De gebruiksoppervlakte is de maat die wordt gebruikt in de BAG-registratie, de landelijke registratie van de Nederlandse overheid.
Sluiskade Noordzijde 210 heeft als functie: overige doeleinden. Deze gebruiksfunctie(s) zijn vastgelegd in de BAG-registratie en geven aan waarvoor het adres officieel mag worden gebruikt.
Sluiskade Noordzijde 210 is gelegen op kadastraal perceel AML01D927. Deze kadastrale aanduiding is uniek en wordt gebruikt door het Kadaster om eigendomsrechten en andere zakelijke rechten vast te leggen. Het perceel maakt onderdeel uit van de kadastrale gemeente Ambt-Almelo.
Het perceel waarop Sluiskade Noordzijde 210 staat heeft een oppervlakte van 440 m². Dit is een groot perceel. De perceeloppervlakte wordt geregistreerd door het Kadaster. Gedetailleerde informatie over de maten van dit perceel kunt u vinden in het rapport Kadastrale kaart met maatvoering van Sluiskade Noordzijde 210.
De eigenaar van Sluiskade Noordzijde 210 is op te vragen op deze pagina.
De informatie over dit adres is afkomstig uit officiële overheidsregistraties, voornamelijk de Basisregistratie Adressen en Gebouwen (BAG) en de Basisregistratie Kadaster (BRK). Deze gegevens worden beheerd door respectievelijk gemeenten en het Kadaster, en worden regelmatig bijgewerkt. Energielabelgegevens komen uit de database van de Rijksdienst voor Ondernemend Nederland (RVO).
