
Clemenceaustraat 109 is een adres in Almere, dat zich bevindt binnen de gemeentegrenzen van Almere en de grenzen van de provincie Flevoland. Het perceel waarop het adres gelegen is heeft een oppervlakte van 8761 m². Het verblijfsobject is met 80 m² relatief klein. Het adres is klein vergeleken met andere objecten in de straat. Het grootste object in de straat heeft een oppervlakte van 710 m², het kleinste is 18 m² groot. Clemenceaustraat 109 ligt in een gebouw uit het jaar 1987. Daarmee behoort het tot de groep panden van na 1984, die we als relatief nieuw bestempelen. Het bouwjaar is oud vergeleken met dat van de andere panden in de straat. Het oudste bouwjaar is er 1986 en de nieuwste is 2007. De volgende gebruiksdoelen zijn geregistreerd voor dit adres: 'woonfunctie'.
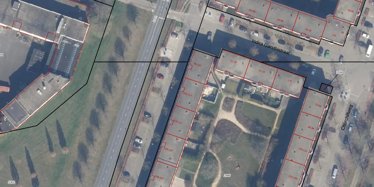
Het adres ligt op het perceel AMR04-O-2948, dat zich in de kadastrale gemeente Almere bevindt. De oppervlakte van het perceel is 8761 m². Dat is groter dan gemiddeld in Almere, waar de gemiddelde perceeloppervlakte op 3328,33 m² ligt. Het grootste perceel in de kadastrale gemeente is 32,12 km². Het kleinste perceel heeft een oppervlakte van 0 m². Er zijn 116 adressen aanwezig op het perceel. De huidige grenzen van het perceel zijn digitaal in de Basisregistratie Kadaster (BRK) geregistreerd op 26-07-2006.
Het adres ligt in een gebouw van het type 'flatwoning (overig) met het subtype tussenvloer'. Bij de laatste meting is voor het adres het energielabel B geregistreerd. Het hoogste energielabel in de straat is A; het laagste is G. Het gemiddelde energielabel is er B. Het adres Clemenceaustraat 109 heeft als status: 'verblijfsobject in gebruik'. Het pand waarin dit adres ligt heeft als status: 'pand in gebruik'.
Clemenceaustraat 109 is een adres gelegen in de gemeente Almere, provincie Flevoland. Dit adres is geregistreerd in de Basisregistratie Adressen en Gebouwen (BAG) met als unieke identificatie 0034010000028070.
Het pand op Clemenceaustraat 109 is gebouwd in 1987, wat betekent dat het 39 jaar oud is. Dit is een pand van middelbare leeftijd. Het pand is van gemiddelde leeftijd en zal waarschijnlijk verouderde elementen bevatten.
De woning op Clemenceaustraat 109 heeft een gebruiksoppervlakte van 80 m². Dit is onder het gemiddelde vergeleken met de gemiddelde Nederlandse woning, die een oppervlakte heeft van ongeveer 119 m². De gebruiksoppervlakte is de maat die wordt gebruikt in de BAG-registratie, de landelijke registratie van de Nederlandse overheid.
Clemenceaustraat 109 heeft als functie: wonen. Deze gebruiksfunctie(s) zijn vastgelegd in de BAG-registratie en geven aan waarvoor het adres officieel mag worden gebruikt.
Clemenceaustraat 109 is gelegen op kadastraal perceel AMR04O2948. Deze kadastrale aanduiding is uniek en wordt gebruikt door het Kadaster om eigendomsrechten en andere zakelijke rechten vast te leggen. Het perceel maakt onderdeel uit van de kadastrale gemeente Almere.
Het perceel waarop Clemenceaustraat 109 staat heeft een oppervlakte van 8761 m². Dit is een zeer groot perceel. De perceeloppervlakte wordt geregistreerd door het Kadaster. Gedetailleerde informatie over de maten van dit perceel kunt u vinden in het rapport Kadastrale kaart met maatvoering van Clemenceaustraat 109.
De eigenaar van Clemenceaustraat 109 is op te vragen op deze pagina.
De informatie over dit adres is afkomstig uit officiële overheidsregistraties, voornamelijk de Basisregistratie Adressen en Gebouwen (BAG) en de Basisregistratie Kadaster (BRK). Deze gegevens worden beheerd door respectievelijk gemeenten en het Kadaster, en worden regelmatig bijgewerkt. Energielabelgegevens komen uit de database van de Rijksdienst voor Ondernemend Nederland (RVO).
