
Schutterstraat 18-A is gelegen in de plaats Almere, de gemeente Almere en de provincie Flevoland. Het perceel waarop het adres gelegen is heeft een oppervlakte van 1,4 ha. Het verblijfsobject is met 21 m² relatief klein. Dit is het kleinste object van de straat. De gemiddelde oppervlakte van verblijfsobjecten is er 1076 m². De grootste oppervlakte in de straat is 6235 m². Schutterstraat 18-A ligt in een gebouw uit het jaar 2004. Daarmee behoort het tot de groep panden van na 1984, die we als relatief nieuw bestempelen. Het bouwjaar is oud vergeleken met dat van de andere panden in de straat. Het oudste bouwjaar is er 1987 en de nieuwste is 2009. De volgende gebruiksdoelen zijn geregistreerd voor dit adres: 'winkelfunctie'.
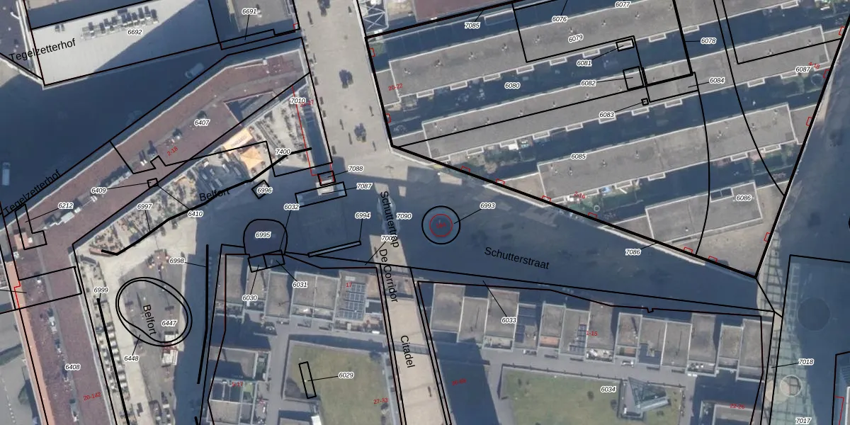
Het adres is gelegen op perceel 7090 in de sectie K en de kadastrale gemeente Almere. De kadastrale aanduiding is aldus AMR04-K-7090. De oppervlakte van het perceel is 1,4 ha. Dat is groter dan gemiddeld in Almere, waar de gemiddelde perceeloppervlakte op 3328,15 m² ligt. Het grootste perceel in de kadastrale gemeente is 32,12 km². Het kleinste perceel heeft een oppervlakte van 0 m². Dit is het enige adres dat aanwezig is op het perceel. De laatste wijziging in het de Basisregistratie Kadaster (BRK) was op 28-10-2020.
Bij de laatste meting is voor het adres het energielabel G geregistreerd. Het hoogste energielabel in de straat is A+++; het laagste is G. Het gemiddelde energielabel is er A++. Het adres Schutterstraat 18-A heeft als status: 'verblijfsobject in gebruik'. Het pand waarin dit adres ligt heeft als status: 'pand in gebruik'.
Schutterstraat 18-A is een adres gelegen in de gemeente Almere, provincie Flevoland. Dit adres is geregistreerd in de Basisregistratie Adressen en Gebouwen (BAG) met als unieke identificatie 0034010000085997.
Het pand op Schutterstraat 18-A is gebouwd in 2004, wat betekent dat het 22 jaar oud is. Dit is een relatief modern pand. Ten opzichte van de nationale woningvoorraad is het pand relatief modern, maar er kunnen enkele verouderde elementen zijn die aandacht nodig hebben.
De woning op Schutterstraat 18-A heeft een gebruiksoppervlakte van 21 m². Dit is relatief klein vergeleken met de gemiddelde Nederlandse woning, die een oppervlakte heeft van ongeveer 119 m². De gebruiksoppervlakte is de maat die wordt gebruikt in de BAG-registratie, de landelijke registratie van de Nederlandse overheid.
Schutterstraat 18-A heeft als functie: winkel/handel. Deze gebruiksfunctie(s) zijn vastgelegd in de BAG-registratie en geven aan waarvoor het adres officieel mag worden gebruikt.
Schutterstraat 18-A is gelegen op kadastraal perceel AMR04K7090. Deze kadastrale aanduiding is uniek en wordt gebruikt door het Kadaster om eigendomsrechten en andere zakelijke rechten vast te leggen. Het perceel maakt onderdeel uit van de kadastrale gemeente Almere.
Het perceel waarop Schutterstraat 18-A staat heeft een oppervlakte van 1,4 ha. Dit is een zeer groot perceel. De perceeloppervlakte wordt geregistreerd door het Kadaster. Gedetailleerde informatie over de maten van dit perceel kunt u vinden in het rapport Kadastrale kaart met maatvoering van Schutterstraat 18-A.
De eigenaar van Schutterstraat 18-A is op te vragen op deze pagina.
De informatie over dit adres is afkomstig uit officiële overheidsregistraties, voornamelijk de Basisregistratie Adressen en Gebouwen (BAG) en de Basisregistratie Kadaster (BRK). Deze gegevens worden beheerd door respectievelijk gemeenten en het Kadaster, en worden regelmatig bijgewerkt. Energielabelgegevens komen uit de database van de Rijksdienst voor Ondernemend Nederland (RVO).
