
Het adres Diamantweg 18-J bevindt zich in de plaats Amersfoort, in de gemeente Amersfoort en de provincie Utrecht. Het perceel waarop het adres gelegen is heeft een oppervlakte van 8370 m². Het verblijfsobject is met 44 m² relatief klein. Het object is klein ten opzichte van de andere adressen in de straat. Het grootste verblijfsobject is 508 m² groot en het kleinste is 30 m². De meeste Nederlandse gebouwen zijn gebouwd in de periode 1965-1984. Zo ook het pand waarin Diamantweg 18-J ligt, dat gebouwd is in 1972. Het gemiddelde bouwjaar in de straat is 1973 en dat van het nieuwste object 1985. In de straat is dit het oudste pand. Voor het verblijfsobject gelden deze gebruiksdoelen: 'woonfunctie'.
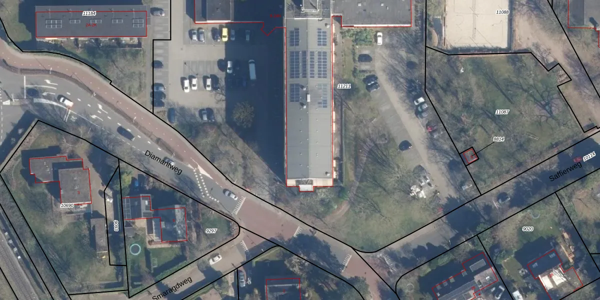
Het perceel waarop het adres ligt is AMF00-B-11211. De afkorting 'AMF00' staat voor kadastrale gemeente Amersfoort. Het perceel is met 8370 m² relatief groot. Het gemiddelde ligt in de kadastrale gemeente Amersfoort op 960,19 m². De grootste perceeloppervlakte in de kadastrale gemeente is 1,12 km². De kleinste oppervlakte bedraagt 0 m². Er zijn 115 adressen aanwezig op het perceel. In de Basisregistratie Kadaster (BRK) werden de grenzen van het perceel geregistreerd op 30-12-2025.
Het adres ligt in een gebouw van het type 'flatwoning (overig) met het subtype tussenmidden'. Bij de laatste meting is voor het adres het energielabel C geregistreerd. Het hoogste energielabel in de straat is A+++; het laagste is G. Het gemiddelde energielabel is er C. Het adres Diamantweg 18-J heeft als status: 'verblijfsobject in gebruik'. Het pand waarin dit adres ligt heeft als status: 'pand in gebruik'.
Diamantweg 18-J is een adres gelegen in de gemeente Amersfoort, provincie Utrecht. Dit adres is geregistreerd in de Basisregistratie Adressen en Gebouwen (BAG) met als unieke identificatie 0307010000559967.
Het pand op Diamantweg 18-J is gebouwd in 1972, wat betekent dat het 54 jaar oud is. Dit is een ouder pand. Het pand heeft mogelijk aanzienlijke renovaties nodig om aan de huidige standaarden te voldoen.
De woning op Diamantweg 18-J heeft een gebruiksoppervlakte van 44 m². Dit is relatief klein vergeleken met de gemiddelde Nederlandse woning, die een oppervlakte heeft van ongeveer 119 m². De gebruiksoppervlakte is de maat die wordt gebruikt in de BAG-registratie, de landelijke registratie van de Nederlandse overheid.
Diamantweg 18-J heeft als functie: wonen. Deze gebruiksfunctie(s) zijn vastgelegd in de BAG-registratie en geven aan waarvoor het adres officieel mag worden gebruikt.
Diamantweg 18-J is gelegen op kadastraal perceel AMF00B11211. Deze kadastrale aanduiding is uniek en wordt gebruikt door het Kadaster om eigendomsrechten en andere zakelijke rechten vast te leggen. Het perceel maakt onderdeel uit van de kadastrale gemeente Amersfoort.
Het perceel waarop Diamantweg 18-J staat heeft een oppervlakte van 8370 m². Dit is een zeer groot perceel. De perceeloppervlakte wordt geregistreerd door het Kadaster. Gedetailleerde informatie over de maten van dit perceel kunt u vinden in het rapport Kadastrale kaart met maatvoering van Diamantweg 18-J.
De eigenaar van Diamantweg 18-J is op te vragen op deze pagina.
De informatie over dit adres is afkomstig uit officiële overheidsregistraties, voornamelijk de Basisregistratie Adressen en Gebouwen (BAG) en de Basisregistratie Kadaster (BRK). Deze gegevens worden beheerd door respectievelijk gemeenten en het Kadaster, en worden regelmatig bijgewerkt. Energielabelgegevens komen uit de database van de Rijksdienst voor Ondernemend Nederland (RVO).
