
Het adres Kelvinstraat 15-B bevindt zich in de plaats Amersfoort, in de gemeente Amersfoort en de provincie Utrecht. Het verblijfsobject is vergeleken met het Nederlandse gemiddelde aan de kleine kant: de oppervlakte is 66 m². Het perceel waarop het adres zich bevindt heeft een oppervlakte van 1310 m². Dit is het kleinste object van de straat. De gemiddelde oppervlakte van verblijfsobjecten is er 73 m². De grootste oppervlakte in de straat is 96 m². Het adres Kelvinstraat 15-B ligt in een relatief oud pand uit het jaar 1955. Panden van vóór het jaar 1965 hebben we hier geclassificeerd als oud. Dit pand is het meest recent exemplaar in de straat. Het oudste object komt er uit 1955 en het gemiddelde bouwjaar is 1955. De volgende gebruiksdoelen zijn geregistreerd voor dit adres: 'woonfunctie'.
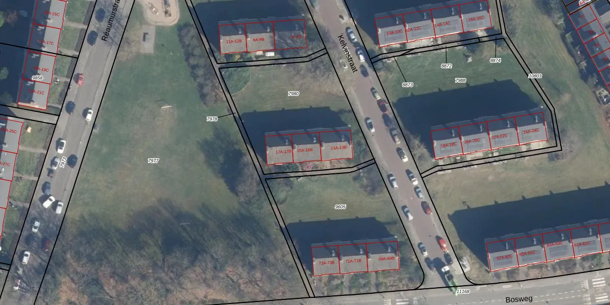
Het adres is gelegen op perceel 7980 in de sectie B en de kadastrale gemeente Amersfoort. De kadastrale aanduiding is aldus AMF00-B-7980. De oppervlakte van het perceel is 1310 m². Dat is groter dan gemiddeld in Amersfoort, waar de gemiddelde perceeloppervlakte op 959,8 m² ligt. De grootste perceeloppervlakte in de kadastrale gemeente is 1,12 km². De kleinste oppervlakte bedraagt 0 m². Op het perceel liggen in totaal 6 adressen. In de Basisregistratie Kadaster (BRK) werden de grenzen van het perceel geregistreerd op 19-09-1997.
Het adres ligt in een gebouw van het type 'appartement met het subtype tussendak'. Bij de laatste meting is voor het adres het energielabel E geregistreerd. Het hoogste energielabel in de straat is A+; het laagste is G. Het gemiddelde energielabel is er B. Het adres Kelvinstraat 15-B heeft als status: 'verblijfsobject in gebruik'. Het pand waarin dit adres ligt heeft als status: 'pand in gebruik'.
Kelvinstraat 15-B is een adres gelegen in de gemeente Amersfoort, provincie Utrecht. Dit adres is geregistreerd in de Basisregistratie Adressen en Gebouwen (BAG) met als unieke identificatie 0307010000412392.
Het pand op Kelvinstraat 15-B is gebouwd in 1955, wat betekent dat het 71 jaar oud is. Dit is een ouder pand. Het pand heeft mogelijk aanzienlijke renovaties nodig om aan de huidige standaarden te voldoen.
De woning op Kelvinstraat 15-B heeft een gebruiksoppervlakte van 66 m². Dit is relatief klein vergeleken met de gemiddelde Nederlandse woning, die een oppervlakte heeft van ongeveer 119 m². De gebruiksoppervlakte is de maat die wordt gebruikt in de BAG-registratie, de landelijke registratie van de Nederlandse overheid.
Kelvinstraat 15-B heeft als functie: wonen. Deze gebruiksfunctie(s) zijn vastgelegd in de BAG-registratie en geven aan waarvoor het adres officieel mag worden gebruikt.
Kelvinstraat 15-B is gelegen op kadastraal perceel AMF00B7980. Deze kadastrale aanduiding is uniek en wordt gebruikt door het Kadaster om eigendomsrechten en andere zakelijke rechten vast te leggen. Het perceel maakt onderdeel uit van de kadastrale gemeente Amersfoort.
Het perceel waarop Kelvinstraat 15-B staat heeft een oppervlakte van 1310 m². Dit is een zeer groot perceel. De perceeloppervlakte wordt geregistreerd door het Kadaster. Gedetailleerde informatie over de maten van dit perceel kunt u vinden in het rapport Kadastrale kaart met maatvoering van Kelvinstraat 15-B.
De eigenaar van Kelvinstraat 15-B is op te vragen op deze pagina.
De informatie over dit adres is afkomstig uit officiële overheidsregistraties, voornamelijk de Basisregistratie Adressen en Gebouwen (BAG) en de Basisregistratie Kadaster (BRK). Deze gegevens worden beheerd door respectievelijk gemeenten en het Kadaster, en worden regelmatig bijgewerkt. Energielabelgegevens komen uit de database van de Rijksdienst voor Ondernemend Nederland (RVO).
