
Koningin Beatrixplantsoen 2 is een adres in Amersfoort, dat zich bevindt binnen de gemeentegrenzen van Amersfoort en de grenzen van de provincie Utrecht. De oppervlakte bedraagt 206 m², waarmee het adres groter dan gemiddeld is. De grootte van het perceel waarop het adres ligt is 375 m². In vergelijking met de andere adressen in de straat is de oppervlakte van dit object relatief groot. Het grootste verblijfsobject heeft een oppervlakte van 359 m², de oppervlakte van het kleinste object bedraagt 130 m². Koningin Beatrixplantsoen 2 bevindt zich in een pand uit het jaar 1908. Daarmee behoort het tot de groep relatief oude panden in Nederland die gebouwd zijn vóór 1965. In de straat is dit het nieuwste pand en stamt het oudste object uit het jaar 1907. Het gemiddelde bouwjaar in de straat is 1907. De volgende gebruiksdoelen zijn geregistreerd voor dit adres: 'woonfunctie'.
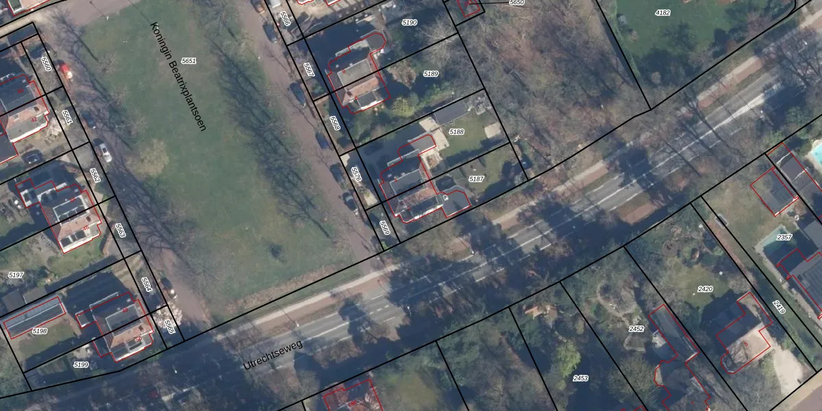
Het perceel waarop het adres ligt is AMF00-C-5187. De afkorting 'AMF00' staat voor kadastrale gemeente Amersfoort. Het perceel is 375 m² groot. Dat is kleiner dan de gemiddelde perceeloppervlakte in Amersfoort, dat op 959,91 m² ligt. Het grootste perceel in de kadastrale gemeente is 1,12 km². Het kleinste perceel heeft een oppervlakte van 0 m². Er zijn geen andere adressen aanwezig op het perceel. De huidige grenzen van het perceel zijn digitaal in de Basisregistratie Kadaster (BRK) geregistreerd op 01-05-2002.
Er is geen energielabel geregistreerd voor het adres. Het hoogste energielabel in de straat is A; het laagste is G. Het gemiddelde energielabel is er D. Het adres Koningin Beatrixplantsoen 2 heeft als status: 'verblijfsobject in gebruik'. Het pand waarin dit adres ligt heeft als status: 'pand in gebruik'.
Koningin Beatrixplantsoen 2 is een adres gelegen in de gemeente Amersfoort, provincie Utrecht. Dit adres is geregistreerd in de Basisregistratie Adressen en Gebouwen (BAG) met als unieke identificatie 0307010000439051.
Het pand op Koningin Beatrixplantsoen 2 is gebouwd in 1908, wat betekent dat het 118 jaar oud is. Dit is een ouder pand. Het pand heeft mogelijk aanzienlijke renovaties nodig om aan de huidige standaarden te voldoen.
De woning op Koningin Beatrixplantsoen 2 heeft een gebruiksoppervlakte van 206 m². Dit is ruim vergeleken met de gemiddelde Nederlandse woning, die een oppervlakte heeft van ongeveer 119 m². De gebruiksoppervlakte is de maat die wordt gebruikt in de BAG-registratie, de landelijke registratie van de Nederlandse overheid.
Koningin Beatrixplantsoen 2 heeft als functie: wonen. Deze gebruiksfunctie(s) zijn vastgelegd in de BAG-registratie en geven aan waarvoor het adres officieel mag worden gebruikt.
Koningin Beatrixplantsoen 2 is gelegen op kadastraal perceel AMF00C5187. Deze kadastrale aanduiding is uniek en wordt gebruikt door het Kadaster om eigendomsrechten en andere zakelijke rechten vast te leggen. Het perceel maakt onderdeel uit van de kadastrale gemeente Amersfoort.
Het perceel waarop Koningin Beatrixplantsoen 2 staat heeft een oppervlakte van 375 m². Dit is een groot perceel. De perceeloppervlakte wordt geregistreerd door het Kadaster. Gedetailleerde informatie over de maten van dit perceel kunt u vinden in het rapport Kadastrale kaart met maatvoering van Koningin Beatrixplantsoen 2.
De eigenaar van Koningin Beatrixplantsoen 2 is op te vragen op deze pagina.
De informatie over dit adres is afkomstig uit officiële overheidsregistraties, voornamelijk de Basisregistratie Adressen en Gebouwen (BAG) en de Basisregistratie Kadaster (BRK). Deze gegevens worden beheerd door respectievelijk gemeenten en het Kadaster, en worden regelmatig bijgewerkt. Energielabelgegevens komen uit de database van de Rijksdienst voor Ondernemend Nederland (RVO).
