
Zandbergenlaan 42-1 is gelegen in de plaats Amersfoort, de gemeente Amersfoort en de provincie Utrecht. De oppervlakte van het object bedraagt 10 m². Dat is klein vergeleken met het Nederlandse gemiddelde. Het perceel waarop het adres ligt is 16 m² groot. In de straat is dit het kleinste object. Het grootste verblijfsobject heeft een oppervlakte van 1253 m². De gemiddelde grootte is er 108 m². Het pand waarin Zandbergenlaan 42-1 ligt is gebouwd in het jaar 1985. Panden die gebouwd zijn na het jaar 1984 noemen we hier relatief nieuw. In de straat komt het nieuwste gebouw uit het jaar 2026 en het oudste uit 1963. Het bouwjaar van dit object is relatief oud. Voor het verblijfsobject gelden deze gebruiksdoelen: 'overige gebruiksfunctie'.
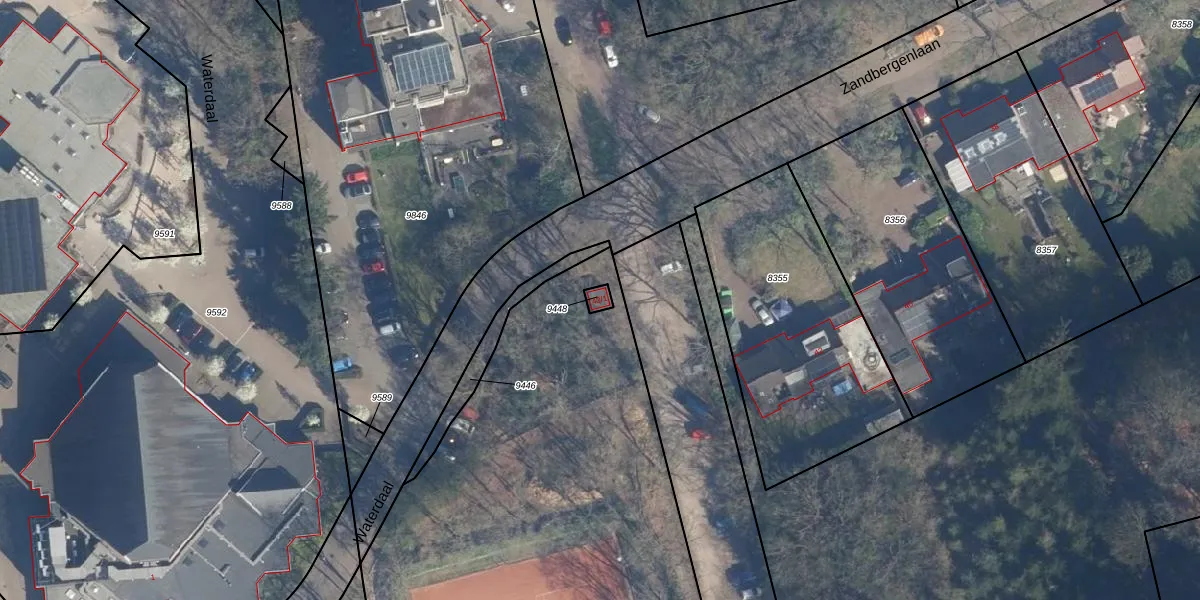
Het perceel waarop het adres ligt is AMF00-B-9448. De afkorting 'AMF00' staat voor kadastrale gemeente Amersfoort. De gemiddelde perceelgrootte in Amersfoort is 959,77 m². Dit perceel is kleiner: de perceeloppervlakte bedraagt 16 m². Het kleinste perceel in de kadastrale gemeente is 0 m² groot. De grootste perceeloppervlakte is 1,12 km². Er zijn geen andere adressen aanwezig op het perceel. De laatste wijziging in het de Basisregistratie Kadaster (BRK) was op 19-09-1997.
Er is geen energielabel geregistreerd voor het adres. Het hoogste energielabel in de straat is A; het laagste is G. Het gemiddelde energielabel is er B. Het adres Zandbergenlaan 42-1 heeft als status: 'verblijfsobject in gebruik'. Het pand waarin dit adres ligt heeft als status: 'pand in gebruik'.
Zandbergenlaan 42-1 is een adres gelegen in de gemeente Amersfoort, provincie Utrecht. Dit adres is geregistreerd in de Basisregistratie Adressen en Gebouwen (BAG) met als unieke identificatie 0307010000468597.
Het pand op Zandbergenlaan 42-1 is gebouwd in 1985, wat betekent dat het 41 jaar oud is. Dit is een pand van middelbare leeftijd. Het pand is van gemiddelde leeftijd en zal waarschijnlijk verouderde elementen bevatten.
De woning op Zandbergenlaan 42-1 heeft een gebruiksoppervlakte van 10 m². Dit is relatief klein vergeleken met de gemiddelde Nederlandse woning, die een oppervlakte heeft van ongeveer 119 m². De gebruiksoppervlakte is de maat die wordt gebruikt in de BAG-registratie, de landelijke registratie van de Nederlandse overheid.
Zandbergenlaan 42-1 heeft als functie: overige doeleinden. Deze gebruiksfunctie(s) zijn vastgelegd in de BAG-registratie en geven aan waarvoor het adres officieel mag worden gebruikt.
Zandbergenlaan 42-1 is gelegen op kadastraal perceel AMF00B9448. Deze kadastrale aanduiding is uniek en wordt gebruikt door het Kadaster om eigendomsrechten en andere zakelijke rechten vast te leggen. Het perceel maakt onderdeel uit van de kadastrale gemeente Amersfoort.
Het perceel waarop Zandbergenlaan 42-1 staat heeft een oppervlakte van 16 m². Dit is een klein perceel. De perceeloppervlakte wordt geregistreerd door het Kadaster. Gedetailleerde informatie over de maten van dit perceel kunt u vinden in het rapport Kadastrale kaart met maatvoering van Zandbergenlaan 42-1.
De eigenaar van Zandbergenlaan 42-1 is op te vragen op deze pagina.
De informatie over dit adres is afkomstig uit officiële overheidsregistraties, voornamelijk de Basisregistratie Adressen en Gebouwen (BAG) en de Basisregistratie Kadaster (BRK). Deze gegevens worden beheerd door respectievelijk gemeenten en het Kadaster, en worden regelmatig bijgewerkt. Energielabelgegevens komen uit de database van de Rijksdienst voor Ondernemend Nederland (RVO).
