
Camera Obscuralaan 280-A is gelegen in de plaats Amstelveen, de gemeente Amstelveen en de provincie Noord-Holland. Het verblijfsobject is vergeleken met het Nederlandse gemiddelde aan de kleine kant: de oppervlakte is 18 m². Het perceel waarop het adres zich bevindt heeft een oppervlakte van 22 m². Het adres is klein vergeleken met andere objecten in de straat. Het grootste object in de straat heeft een oppervlakte van 187 m², het kleinste is 16 m² groot. In Nederland komt het grootste deel van de gebouwen uit de periode 1965-1984. Ook het bouwjaar van Camera Obscuralaan 280-A is afkomstig uit die periode: het betreft namelijk een pand uit 1966. Het nieuwste gebouw in de straat komt uit 1993 en het oudste uit 1964. Dit object is relatief oud. Het verblijfsobject heeft de volgende gebruiksdoelen: 'overige gebruiksfunctie'.
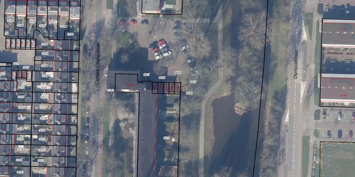
Het adres ligt op het perceel ASV00-I-6607, dat zich in de kadastrale gemeente Amstelveen bevindt. Het perceel is kleiner dan gemiddeld in Amstelveen. Het perceel is 22 m² groot, terwijl het gemiddelde ligt op 1599,01 m². Het grootste perceel in de kadastrale gemeente is 1,78 km². Het kleinste perceel heeft een oppervlakte van 0 m². Op het perceel bevinden zich geen andere adressen. De laatste wijziging in het de Basisregistratie Kadaster (BRK) was op 27-10-2009.
Er is geen energielabel geregistreerd voor het adres. Het hoogste energielabel in de straat is A++; het laagste is G. Het gemiddelde energielabel is er B. Het adres Camera Obscuralaan 280-A heeft als status: 'verblijfsobject in gebruik'. Het pand waarin dit adres ligt heeft als status: 'pand in gebruik'.
Camera Obscuralaan 280-A is een adres gelegen in de gemeente Amstelveen, provincie Noord-Holland. Dit adres is geregistreerd in de Basisregistratie Adressen en Gebouwen (BAG) met als unieke identificatie 0362010002210099.
Het pand op Camera Obscuralaan 280-A is gebouwd in 1966, wat betekent dat het 60 jaar oud is. Dit is een ouder pand. Het pand heeft mogelijk aanzienlijke renovaties nodig om aan de huidige standaarden te voldoen.
De woning op Camera Obscuralaan 280-A heeft een gebruiksoppervlakte van 18 m². Dit is relatief klein vergeleken met de gemiddelde Nederlandse woning, die een oppervlakte heeft van ongeveer 119 m². De gebruiksoppervlakte is de maat die wordt gebruikt in de BAG-registratie, de landelijke registratie van de Nederlandse overheid.
Camera Obscuralaan 280-A heeft als functie: overige doeleinden. Deze gebruiksfunctie(s) zijn vastgelegd in de BAG-registratie en geven aan waarvoor het adres officieel mag worden gebruikt.
Camera Obscuralaan 280-A is gelegen op kadastraal perceel ASV00I6607. Deze kadastrale aanduiding is uniek en wordt gebruikt door het Kadaster om eigendomsrechten en andere zakelijke rechten vast te leggen. Het perceel maakt onderdeel uit van de kadastrale gemeente Amstelveen.
Het perceel waarop Camera Obscuralaan 280-A staat heeft een oppervlakte van 22 m². Dit is een klein perceel. De perceeloppervlakte wordt geregistreerd door het Kadaster. Gedetailleerde informatie over de maten van dit perceel kunt u vinden in het rapport Kadastrale kaart met maatvoering van Camera Obscuralaan 280-A.
De eigenaar van Camera Obscuralaan 280-A is op te vragen op deze pagina.
De informatie over dit adres is afkomstig uit officiële overheidsregistraties, voornamelijk de Basisregistratie Adressen en Gebouwen (BAG) en de Basisregistratie Kadaster (BRK). Deze gegevens worden beheerd door respectievelijk gemeenten en het Kadaster, en worden regelmatig bijgewerkt. Energielabelgegevens komen uit de database van de Rijksdienst voor Ondernemend Nederland (RVO).
