
Grote Beer 66-A is gelegen in de plaats Amstelveen, de gemeente Amstelveen en de provincie Noord-Holland. De oppervlakte van het object bedraagt 96 m². Dat is klein vergeleken met het Nederlandse gemiddelde. Het perceel waarop het adres ligt is 6,3 ha groot. In vergelijking met de andere adressen in de straat is de oppervlakte van dit object relatief groot. Het grootste verblijfsobject heeft een oppervlakte van 154 m², de oppervlakte van het kleinste object bedraagt 16 m². Het pand waarin Grote Beer 66-A ligt is gebouwd in het jaar 1987. Panden die gebouwd zijn na het jaar 1984 noemen we hier relatief nieuw. Veel andere gebouwen in de straat zijn ouder dan dit pand. Het oudste pand komt uit het jaar 1983 en het nieuwste uit 1989. Voor het verblijfsobject gelden deze gebruiksdoelen: 'industriefunctie'.
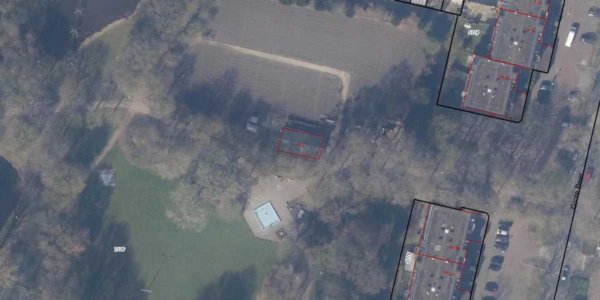
Het perceel waarop het adres ligt is ASV00-M-7126. De afkorting 'ASV00' staat voor kadastrale gemeente Amstelveen. Het perceel is met 6,3 ha relatief groot. Het gemiddelde ligt in de kadastrale gemeente Amstelveen op 1598,49 m². Het kleinste perceel in de kadastrale gemeente is 0 m² groot. De grootste perceeloppervlakte is 1,78 km². Er zijn geen andere adressen aanwezig op het perceel. De laatste wijziging in het de Basisregistratie Kadaster (BRK) was op 10-11-2023.
Bij de laatste meting is voor het adres het energielabel G geregistreerd. Het hoogste energielabel in de straat is A; het laagste is G. Het gemiddelde energielabel is er B. Het adres Grote Beer 66-A heeft als status: 'verblijfsobject in gebruik'. Het pand waarin dit adres ligt heeft als status: 'pand in gebruik'.
Grote Beer 66-A is een adres gelegen in de gemeente Amstelveen, provincie Noord-Holland. Dit adres is geregistreerd in de Basisregistratie Adressen en Gebouwen (BAG) met als unieke identificatie 0362010002011627.
Het pand op Grote Beer 66-A is gebouwd in 1987, wat betekent dat het 39 jaar oud is. Dit is een pand van middelbare leeftijd. Het pand is van gemiddelde leeftijd en zal waarschijnlijk verouderde elementen bevatten.
De woning op Grote Beer 66-A heeft een gebruiksoppervlakte van 96 m². Dit is onder het gemiddelde vergeleken met de gemiddelde Nederlandse woning, die een oppervlakte heeft van ongeveer 119 m². De gebruiksoppervlakte is de maat die wordt gebruikt in de BAG-registratie, de landelijke registratie van de Nederlandse overheid.
Grote Beer 66-A heeft als functie: industrie. Deze gebruiksfunctie(s) zijn vastgelegd in de BAG-registratie en geven aan waarvoor het adres officieel mag worden gebruikt.
Grote Beer 66-A is gelegen op kadastraal perceel ASV00M7126. Deze kadastrale aanduiding is uniek en wordt gebruikt door het Kadaster om eigendomsrechten en andere zakelijke rechten vast te leggen. Het perceel maakt onderdeel uit van de kadastrale gemeente Amstelveen.
Het perceel waarop Grote Beer 66-A staat heeft een oppervlakte van 6,3 ha. Dit is een zeer groot perceel. De perceeloppervlakte wordt geregistreerd door het Kadaster. Gedetailleerde informatie over de maten van dit perceel kunt u vinden in het rapport Kadastrale kaart met maatvoering van Grote Beer 66-A.
De eigenaar van Grote Beer 66-A is op te vragen op deze pagina.
De informatie over dit adres is afkomstig uit officiële overheidsregistraties, voornamelijk de Basisregistratie Adressen en Gebouwen (BAG) en de Basisregistratie Kadaster (BRK). Deze gegevens worden beheerd door respectievelijk gemeenten en het Kadaster, en worden regelmatig bijgewerkt. Energielabelgegevens komen uit de database van de Rijksdienst voor Ondernemend Nederland (RVO).
