
Maarten Lutherweg 164 is gelegen in de plaats Amstelveen, de gemeente Amstelveen en de provincie Noord-Holland. Het perceel waarop het adres gelegen is heeft een oppervlakte van 318 m². Het verblijfsobject is met 65 m² relatief klein. De oppervlakte van het adres is klein vergeleken met de andere objecten in de straat. De oppervlakte van het kleinste object in de straat bedraagt 17 m², terwijl het grootste object 302 m² groot is. In Nederland komt het grootste deel van de gebouwen uit de periode 1965-1984. Ook het bouwjaar van Maarten Lutherweg 164 is afkomstig uit die periode: het betreft namelijk een pand uit 1970. Vergeleken met de andere panden in de straat is dit gebouw nieuw. Het vroegste bouwjaar is er 1960 en het laatste is 1978. Voor het verblijfsobject gelden deze gebruiksdoelen: 'woonfunctie'.
Deze woning is voor het laatst verkocht op 1 april 2021. Meer informatie over deze transactie? Bestel het Woningtransactierapport om de verkoopprijs en andere informatie te zien.
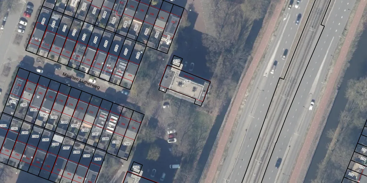
Het adres is gelegen op perceel 3180 in de sectie M en de kadastrale gemeente Amstelveen. De kadastrale aanduiding is aldus ASV00-M-3180. De gemiddelde perceelgrootte in Amstelveen is 1598,55 m². Dit perceel is kleiner: de perceeloppervlakte bedraagt 318 m². Het grootste perceel in de kadastrale gemeente is 1,78 km². Het kleinste perceel heeft een oppervlakte van 0 m². Er zijn 15 adressen aanwezig op het perceel. De laatste wijziging in het de Basisregistratie Kadaster (BRK) was op 21-01-2010.
Het adres ligt in een gebouw van het type 'appartement met het subtype hoekvloer'. Bij de laatste meting is voor het adres het energielabel A geregistreerd. Het hoogste energielabel in de straat is A+; het laagste is G. Het gemiddelde energielabel is er C. Het adres Maarten Lutherweg 164 heeft als status: 'verblijfsobject in gebruik'. Het pand waarin dit adres ligt heeft als status: 'pand in gebruik'.
Maarten Lutherweg 164 is een adres gelegen in de gemeente Amstelveen, provincie Noord-Holland. Dit adres is geregistreerd in de Basisregistratie Adressen en Gebouwen (BAG) met als unieke identificatie 0362010002020375.
Het pand op Maarten Lutherweg 164 is gebouwd in 1970, wat betekent dat het 56 jaar oud is. Dit is een ouder pand. Het pand heeft mogelijk aanzienlijke renovaties nodig om aan de huidige standaarden te voldoen.
De woning op Maarten Lutherweg 164 heeft een gebruiksoppervlakte van 65 m². Dit is relatief klein vergeleken met de gemiddelde Nederlandse woning, die een oppervlakte heeft van ongeveer 119 m². De gebruiksoppervlakte is de maat die wordt gebruikt in de BAG-registratie, de landelijke registratie van de Nederlandse overheid.
Maarten Lutherweg 164 heeft als functie: wonen. Deze gebruiksfunctie(s) zijn vastgelegd in de BAG-registratie en geven aan waarvoor het adres officieel mag worden gebruikt.
Maarten Lutherweg 164 is gelegen op kadastraal perceel ASV00M3180. Deze kadastrale aanduiding is uniek en wordt gebruikt door het Kadaster om eigendomsrechten en andere zakelijke rechten vast te leggen. Het perceel maakt onderdeel uit van de kadastrale gemeente Amstelveen.
Het perceel waarop Maarten Lutherweg 164 staat heeft een oppervlakte van 318 m². Dit is een groot perceel. De perceeloppervlakte wordt geregistreerd door het Kadaster. Gedetailleerde informatie over de maten van dit perceel kunt u vinden in het rapport Kadastrale kaart met maatvoering van Maarten Lutherweg 164.
De eigenaar van Maarten Lutherweg 164 is op te vragen op deze pagina.
De informatie over dit adres is afkomstig uit officiële overheidsregistraties, voornamelijk de Basisregistratie Adressen en Gebouwen (BAG) en de Basisregistratie Kadaster (BRK). Deze gegevens worden beheerd door respectievelijk gemeenten en het Kadaster, en worden regelmatig bijgewerkt. Energielabelgegevens komen uit de database van de Rijksdienst voor Ondernemend Nederland (RVO).
