
Oostelijk Halfrond 111 is een adres in Amstelveen, dat zich bevindt binnen de gemeentegrenzen van Amstelveen en de grenzen van de provincie Noord-Holland. Het perceel waarop het verblijfsobject staat is 1320 m² groot. De oppervlakte van het adres is 100 m², wat zich rond het Nederlandse gemiddelde van 119 m² bevindt. Vergeleken met de andere verblijfsobjecten in de straat is dit object groot. De oppervlakte van het grootste object in de straat is 1398 m², die van het kleinste bedraagt 15 m². De meeste Nederlandse gebouwen zijn gebouwd in de periode 1965-1984. Zo ook het pand waarin Oostelijk Halfrond 111 ligt, dat gebouwd is in 1966. Dit is het oudste object in de straat. Het nieuwste pand komt uit 2014 en het gemiddelde bouwjaar in de straat is 1967. Het verblijfsobject heeft de volgende gebruiksdoelen: 'woonfunctie'.
Deze woning is voor het laatst verkocht op 1 januari 2023. Meer informatie over deze transactie? Bestel het Woningtransactierapport om de verkoopprijs en andere informatie te zien.
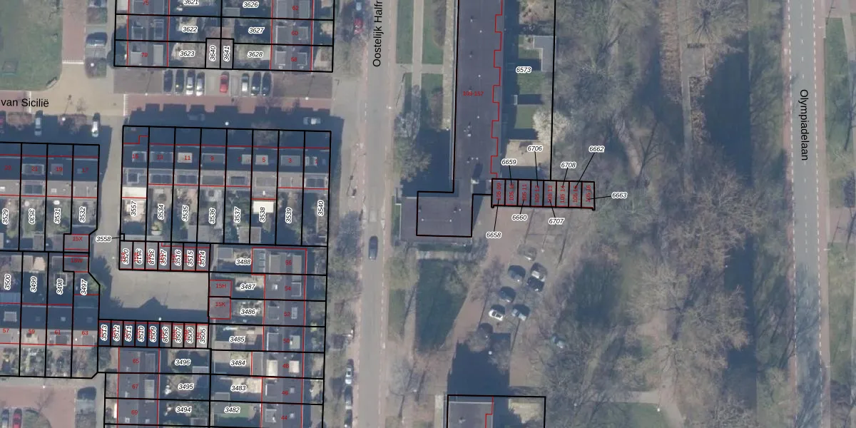
Het adres is gelegen op perceel 6573 in de sectie I en de kadastrale gemeente Amstelveen. De kadastrale aanduiding is aldus ASV00-I-6573. Het perceel is kleiner dan gemiddeld in Amstelveen. Het perceel is 1320 m² groot, terwijl het gemiddelde ligt op 1598,78 m². De grootste perceeloppervlakte in de kadastrale gemeente is 1,78 km². De kleinste oppervlakte bedraagt 0 m². Op het perceel zijn 27 adressen aanwezig. De huidige grenzen van het perceel zijn digitaal in de Basisregistratie Kadaster (BRK) geregistreerd op 15-10-2010.
Het adres ligt in een gebouw van het type 'appartement met het subtype tussenvloer'. Bij de laatste meting is voor het adres het energielabel C geregistreerd. Het hoogste energielabel in de straat is A+; het laagste is G. Het gemiddelde energielabel is er B. Het adres Oostelijk Halfrond 111 heeft als status: 'verblijfsobject in gebruik'. Het pand waarin dit adres ligt heeft als status: 'pand in gebruik'.
Oostelijk Halfrond 111 is een adres gelegen in de gemeente Amstelveen, provincie Noord-Holland. Dit adres is geregistreerd in de Basisregistratie Adressen en Gebouwen (BAG) met als unieke identificatie 0362010002025023.
Het pand op Oostelijk Halfrond 111 is gebouwd in 1966, wat betekent dat het 60 jaar oud is. Dit is een ouder pand. Het pand heeft mogelijk aanzienlijke renovaties nodig om aan de huidige standaarden te voldoen.
De woning op Oostelijk Halfrond 111 heeft een gebruiksoppervlakte van 100 m². Dit is onder het gemiddelde vergeleken met de gemiddelde Nederlandse woning, die een oppervlakte heeft van ongeveer 119 m². De gebruiksoppervlakte is de maat die wordt gebruikt in de BAG-registratie, de landelijke registratie van de Nederlandse overheid.
Oostelijk Halfrond 111 heeft als functie: wonen. Deze gebruiksfunctie(s) zijn vastgelegd in de BAG-registratie en geven aan waarvoor het adres officieel mag worden gebruikt.
Oostelijk Halfrond 111 is gelegen op kadastraal perceel ASV00I6573. Deze kadastrale aanduiding is uniek en wordt gebruikt door het Kadaster om eigendomsrechten en andere zakelijke rechten vast te leggen. Het perceel maakt onderdeel uit van de kadastrale gemeente Amstelveen.
Het perceel waarop Oostelijk Halfrond 111 staat heeft een oppervlakte van 1320 m². Dit is een zeer groot perceel. De perceeloppervlakte wordt geregistreerd door het Kadaster. Gedetailleerde informatie over de maten van dit perceel kunt u vinden in het rapport Kadastrale kaart met maatvoering van Oostelijk Halfrond 111.
De eigenaar van Oostelijk Halfrond 111 is op te vragen op deze pagina.
De informatie over dit adres is afkomstig uit officiële overheidsregistraties, voornamelijk de Basisregistratie Adressen en Gebouwen (BAG) en de Basisregistratie Kadaster (BRK). Deze gegevens worden beheerd door respectievelijk gemeenten en het Kadaster, en worden regelmatig bijgewerkt. Energielabelgegevens komen uit de database van de Rijksdienst voor Ondernemend Nederland (RVO).
