
Oudestraat 1 is een adres in Amstenrade, dat zich bevindt binnen de gemeentegrenzen van Amstenrade en de grenzen van de provincie Limburg. De oppervlakte bedraagt 246 m², waarmee het adres groter dan gemiddeld is. De grootte van het perceel waarop het adres ligt is 1760 m². Het adres is klein vergeleken met andere objecten in de straat. Het grootste object in de straat heeft een oppervlakte van 572 m², het kleinste is 120 m² groot. Het gebouw waarin Oudestraat 1 ligt komt uit het jaar 1900. Objecten die gebouwd zijn vóór 1965 classificeren we hier als oud. Veel andere gebouwen in de straat zijn ouder dan dit pand. Het oudste pand komt uit het jaar 1774 en het nieuwste uit 1961. De volgende gebruiksdoelen zijn geregistreerd voor dit adres: 'woonfunctie'.
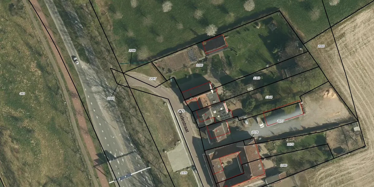
Het adres ligt op het perceel ASR00-B-2096, dat zich in de kadastrale gemeente Amstenrade bevindt. Het perceel is 1760 m² groot. Dat is kleiner dan de gemiddelde perceeloppervlakte in Amstenrade, dat op 1781,98 m² ligt. Het kleinste perceel in de kadastrale gemeente is 0 m² groot. De grootste perceeloppervlakte is 20,9 ha. Er zijn geen andere adressen aanwezig op het perceel. De huidige grenzen van het perceel zijn digitaal in de Basisregistratie Kadaster (BRK) geregistreerd op 13-07-2017.
Er is geen energielabel geregistreerd voor het adres. Het hoogste energielabel in de straat is D; het laagste is G. Het gemiddelde energielabel is er E. Het adres Oudestraat 1 heeft als status: 'verblijfsobject in gebruik'. Het pand waarin dit adres ligt heeft als status: 'pand in gebruik'.
Oudestraat 1 is een adres gelegen in de gemeente Beekdaelen, provincie Limburg. Dit adres is geregistreerd in de Basisregistratie Adressen en Gebouwen (BAG) met als unieke identificatie 0962010000212806.
Het pand op Oudestraat 1 is gebouwd in 1900, wat betekent dat het 126 jaar oud is. Dit is een ouder pand. Het pand heeft mogelijk aanzienlijke renovaties nodig om aan de huidige standaarden te voldoen.
De woning op Oudestraat 1 heeft een gebruiksoppervlakte van 246 m². Dit is ruim vergeleken met de gemiddelde Nederlandse woning, die een oppervlakte heeft van ongeveer 119 m². De gebruiksoppervlakte is de maat die wordt gebruikt in de BAG-registratie, de landelijke registratie van de Nederlandse overheid.
Oudestraat 1 heeft als functie: wonen. Deze gebruiksfunctie(s) zijn vastgelegd in de BAG-registratie en geven aan waarvoor het adres officieel mag worden gebruikt.
Oudestraat 1 is gelegen op kadastraal perceel ASR00B2096. Deze kadastrale aanduiding is uniek en wordt gebruikt door het Kadaster om eigendomsrechten en andere zakelijke rechten vast te leggen. Het perceel maakt onderdeel uit van de kadastrale gemeente Amstenrade.
Het perceel waarop Oudestraat 1 staat heeft een oppervlakte van 1760 m². Dit is een zeer groot perceel. De perceeloppervlakte wordt geregistreerd door het Kadaster. Gedetailleerde informatie over de maten van dit perceel kunt u vinden in het rapport Kadastrale kaart met maatvoering van Oudestraat 1.
De eigenaar van Oudestraat 1 is op te vragen op deze pagina.
De informatie over dit adres is afkomstig uit officiële overheidsregistraties, voornamelijk de Basisregistratie Adressen en Gebouwen (BAG) en de Basisregistratie Kadaster (BRK). Deze gegevens worden beheerd door respectievelijk gemeenten en het Kadaster, en worden regelmatig bijgewerkt. Energielabelgegevens komen uit de database van de Rijksdienst voor Ondernemend Nederland (RVO).
