
Het adres Aaf Bouberstraat 71 bevindt zich in de plaats Amsterdam, in de gemeente Amsterdam en de provincie Noord-Holland. Het verblijfsobject is vergeleken met het Nederlandse gemiddelde aan de kleine kant: de oppervlakte is 52 m². Het perceel waarop het adres zich bevindt heeft een oppervlakte van 793 m². Het object is klein ten opzichte van de andere adressen in de straat. Het grootste verblijfsobject is 114 m² groot en het kleinste is 30 m². De meeste Nederlandse gebouwen zijn gebouwd in de periode 1965-1984. Zo ook het pand waarin Aaf Bouberstraat 71 ligt, dat gebouwd is in 1984. Dit pand is het meest recent exemplaar in de straat. Het oudste object komt er uit 1983 en het gemiddelde bouwjaar is 1983. De volgende gebruiksdoelen zijn geregistreerd voor dit adres: 'woonfunctie'.
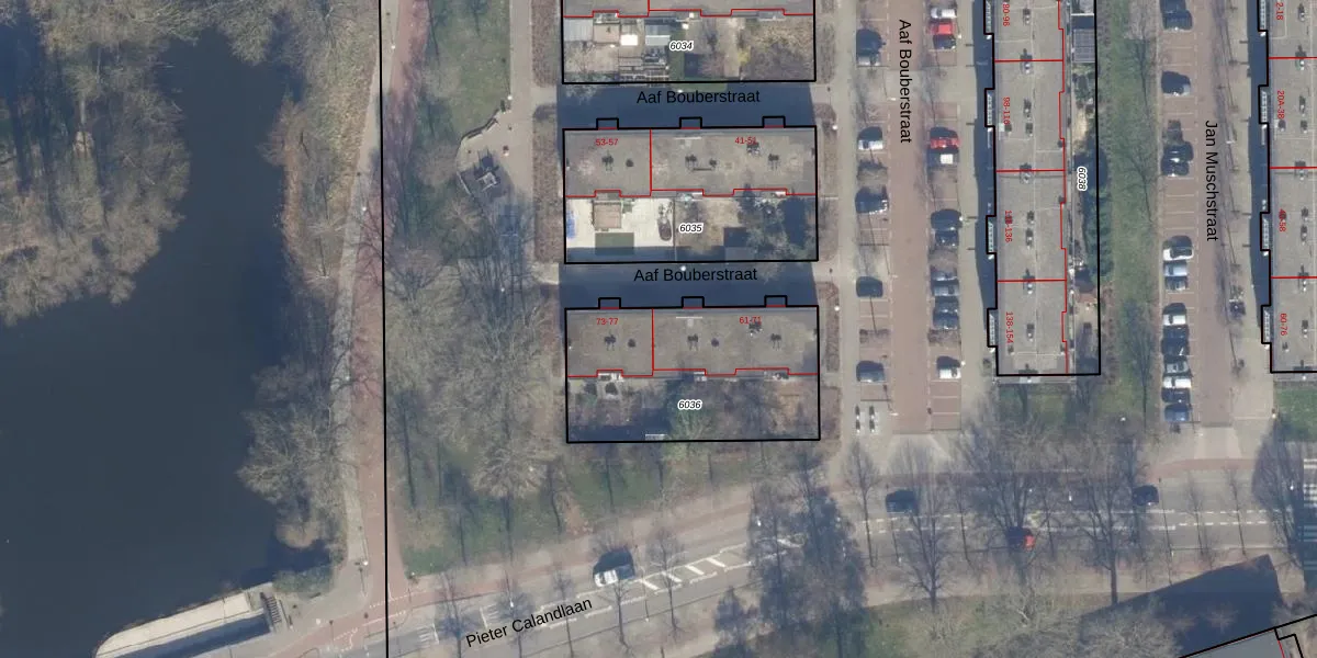
Het perceel waarop het adres ligt is STN02-D-6036. De afkorting 'STN02' staat voor kadastrale gemeente Sloten Noord-Holland. Het perceel is 793 m² groot. Dat is kleiner dan de gemiddelde perceeloppervlakte in Sloten Noord-Holland, dat op 2101,08 m² ligt. De grootste perceeloppervlakte in de kadastrale gemeente is 1,05 km². De kleinste oppervlakte bedraagt 0 m². Op het perceel liggen in totaal 9 adressen. In de Basisregistratie Kadaster (BRK) werden de grenzen van het perceel geregistreerd op 19-05-2010.
Het adres ligt in een gebouw van het type 'appartement met het subtype tussendak'. Bij de laatste meting is voor het adres het energielabel C geregistreerd. Het hoogste energielabel in de straat is A; het laagste is G. Het gemiddelde energielabel is er C. Het adres Aaf Bouberstraat 71 heeft als status: 'verblijfsobject in gebruik'. Het pand waarin dit adres ligt heeft als status: 'pand in gebruik'.
Aaf Bouberstraat 71 is een adres gelegen in de gemeente Amsterdam, provincie Noord-Holland. Dit adres is geregistreerd in de Basisregistratie Adressen en Gebouwen (BAG) met als unieke identificatie 0363010000915722.
Het pand op Aaf Bouberstraat 71 is gebouwd in 1984, wat betekent dat het 42 jaar oud is. Dit is een pand van middelbare leeftijd. Het pand is van gemiddelde leeftijd en zal waarschijnlijk verouderde elementen bevatten.
De woning op Aaf Bouberstraat 71 heeft een gebruiksoppervlakte van 52 m². Dit is relatief klein vergeleken met de gemiddelde Nederlandse woning, die een oppervlakte heeft van ongeveer 119 m². De gebruiksoppervlakte is de maat die wordt gebruikt in de BAG-registratie, de landelijke registratie van de Nederlandse overheid.
Aaf Bouberstraat 71 heeft als functie: wonen. Deze gebruiksfunctie(s) zijn vastgelegd in de BAG-registratie en geven aan waarvoor het adres officieel mag worden gebruikt.
Aaf Bouberstraat 71 is gelegen op kadastraal perceel STN02D6036. Deze kadastrale aanduiding is uniek en wordt gebruikt door het Kadaster om eigendomsrechten en andere zakelijke rechten vast te leggen. Het perceel maakt onderdeel uit van de kadastrale gemeente Sloten Noord-Holland.
Het perceel waarop Aaf Bouberstraat 71 staat heeft een oppervlakte van 793 m². Dit is een groot perceel. De perceeloppervlakte wordt geregistreerd door het Kadaster. Gedetailleerde informatie over de maten van dit perceel kunt u vinden in het rapport Kadastrale kaart met maatvoering van Aaf Bouberstraat 71.
De eigenaar van Aaf Bouberstraat 71 is op te vragen op deze pagina.
De informatie over dit adres is afkomstig uit officiële overheidsregistraties, voornamelijk de Basisregistratie Adressen en Gebouwen (BAG) en de Basisregistratie Kadaster (BRK). Deze gegevens worden beheerd door respectievelijk gemeenten en het Kadaster, en worden regelmatig bijgewerkt. Energielabelgegevens komen uit de database van de Rijksdienst voor Ondernemend Nederland (RVO).
