
Amerbos 410 is een adres in Amsterdam, dat zich bevindt binnen de gemeentegrenzen van Amsterdam en de grenzen van de provincie Noord-Holland. Het verblijfsobject is vergeleken met het Nederlandse gemiddelde aan de kleine kant: de oppervlakte is 1 m². Het perceel waarop het adres zich bevindt heeft een oppervlakte van 1049 m². Dit is het kleinste object van de straat. De gemiddelde oppervlakte van verblijfsobjecten is er 71 m². De grootste oppervlakte in de straat is 5117 m². De gemiddelde bouwperiode van gebouwen in Nederland ligt tussen de jaren 1965-1984. Dat geldt ook voor het bouwjaar van Amerbos 410: het is gebouwd in het jaar 1967. Het nieuwste gebouw in de straat komt uit 1996 en het oudste uit 1966. Dit object is relatief oud. Voor het verblijfsobject gelden deze gebruiksdoelen: 'overige gebruiksfunctie'.
Deze woning is voor het laatst verkocht op 1 mei 1996. Meer informatie over deze transactie? Bestel het Woningtransactierapport om de verkoopprijs en andere informatie te zien.
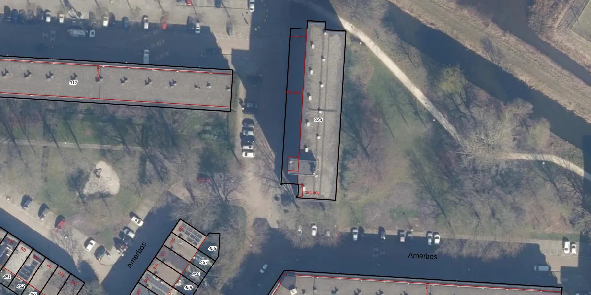
Het adres is gelegen op perceel 233 in de sectie AL en de kadastrale gemeente Amsterdam. De kadastrale aanduiding is aldus ASD31-AL-233. De gemiddelde perceelgrootte in Amsterdam is 1159,38 m². Dit perceel is kleiner: de perceeloppervlakte bedraagt 1049 m². Het kleinste perceel in de kadastrale gemeente is 0 m² groot. De grootste perceeloppervlakte is 35,6 ha. Op het perceel liggen in totaal 71 adressen. De huidige grenzen van het perceel zijn digitaal in de Basisregistratie Kadaster (BRK) geregistreerd op 20-02-2008.
Er is geen energielabel geregistreerd voor het adres. Het hoogste energielabel in de straat is A+; het laagste is G. Het gemiddelde energielabel is er C. Het adres Amerbos 410 heeft als status: 'verblijfsobject in gebruik'. Het pand waarin dit adres ligt heeft als status: 'pand in gebruik'.
Amerbos 410 is een adres gelegen in de gemeente Amsterdam, provincie Noord-Holland. Dit adres is geregistreerd in de Basisregistratie Adressen en Gebouwen (BAG) met als unieke identificatie 0363010000566370.
Het pand op Amerbos 410 is gebouwd in 1967, wat betekent dat het 59 jaar oud is. Dit is een ouder pand. Het pand heeft mogelijk aanzienlijke renovaties nodig om aan de huidige standaarden te voldoen.
De woning op Amerbos 410 heeft een gebruiksoppervlakte van 1 m². Dit is relatief klein vergeleken met de gemiddelde Nederlandse woning, die een oppervlakte heeft van ongeveer 119 m². De gebruiksoppervlakte is de maat die wordt gebruikt in de BAG-registratie, de landelijke registratie van de Nederlandse overheid.
Amerbos 410 heeft als functie: overige doeleinden. Deze gebruiksfunctie(s) zijn vastgelegd in de BAG-registratie en geven aan waarvoor het adres officieel mag worden gebruikt.
Amerbos 410 is gelegen op kadastraal perceel ASD31AL233. Deze kadastrale aanduiding is uniek en wordt gebruikt door het Kadaster om eigendomsrechten en andere zakelijke rechten vast te leggen. Het perceel maakt onderdeel uit van de kadastrale gemeente Amsterdam.
Het perceel waarop Amerbos 410 staat heeft een oppervlakte van 1049 m². Dit is een zeer groot perceel. De perceeloppervlakte wordt geregistreerd door het Kadaster. Gedetailleerde informatie over de maten van dit perceel kunt u vinden in het rapport Kadastrale kaart met maatvoering van Amerbos 410.
De eigenaar van Amerbos 410 is op te vragen op deze pagina.
De informatie over dit adres is afkomstig uit officiële overheidsregistraties, voornamelijk de Basisregistratie Adressen en Gebouwen (BAG) en de Basisregistratie Kadaster (BRK). Deze gegevens worden beheerd door respectievelijk gemeenten en het Kadaster, en worden regelmatig bijgewerkt. Energielabelgegevens komen uit de database van de Rijksdienst voor Ondernemend Nederland (RVO).
