
Het adres Beethovenstraat 125-2 bevindt zich in de plaats Amsterdam, in de gemeente Amsterdam en de provincie Noord-Holland. Het verblijfsobject is vergeleken met het Nederlandse gemiddelde aan de kleine kant: de oppervlakte is 98 m². Het perceel waarop het adres zich bevindt heeft een oppervlakte van 541 m². De oppervlakte van het adres is klein vergeleken met de andere objecten in de straat. De oppervlakte van het kleinste object in de straat bedraagt 1 m², terwijl het grootste object 1,3 ha groot is. Beethovenstraat 125-2 bevindt zich in een pand uit het jaar 1956. Daarmee behoort het tot de groep relatief oude panden in Nederland die gebouwd zijn vóór 1965. Het nieuwste gebouw in de straat komt uit 2021 en het oudste uit 1927. Dit object is relatief oud. Voor het verblijfsobject gelden deze gebruiksdoelen: 'woonfunctie'.
Deze woning is voor het laatst verkocht op 1 oktober 2016. Meer informatie over deze transactie? Bestel het Woningtransactierapport om de verkoopprijs en andere informatie te zien.
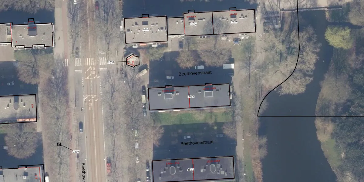
Het adres is gelegen op perceel 1668 in de sectie AB en de kadastrale gemeente Amsterdam. De kadastrale aanduiding is aldus ASD23-AB-1668. De gemiddelde perceelgrootte in Amsterdam is 1139,27 m². Dit perceel is kleiner: de perceeloppervlakte bedraagt 541 m². Het grootste perceel in de kadastrale gemeente is 28,7 ha. Het kleinste perceel heeft een oppervlakte van 0 m². Op het perceel liggen in totaal 20 adressen. In de Basisregistratie Kadaster (BRK) werden de grenzen van het perceel geregistreerd op 15-11-2006.
Het adres ligt in een gebouw van het type 'flatwoning (overig) met het subtype tussenmidden'. Bij de laatste meting is voor het adres het energielabel E geregistreerd. Het hoogste energielabel in de straat is A++++; het laagste is G. Het gemiddelde energielabel is er B. Het adres Beethovenstraat 125-2 heeft als status: 'verblijfsobject in gebruik'. Het pand waarin dit adres ligt heeft als status: 'pand in gebruik'.
Beethovenstraat 125-2 is een adres gelegen in de gemeente Amsterdam, provincie Noord-Holland. Dit adres is geregistreerd in de Basisregistratie Adressen en Gebouwen (BAG) met als unieke identificatie 0363010000579405.
Het pand op Beethovenstraat 125-2 is gebouwd in 1956, wat betekent dat het 70 jaar oud is. Dit is een ouder pand. Het pand heeft mogelijk aanzienlijke renovaties nodig om aan de huidige standaarden te voldoen.
De woning op Beethovenstraat 125-2 heeft een gebruiksoppervlakte van 98 m². Dit is onder het gemiddelde vergeleken met de gemiddelde Nederlandse woning, die een oppervlakte heeft van ongeveer 119 m². De gebruiksoppervlakte is de maat die wordt gebruikt in de BAG-registratie, de landelijke registratie van de Nederlandse overheid.
Beethovenstraat 125-2 heeft als functie: wonen. Deze gebruiksfunctie(s) zijn vastgelegd in de BAG-registratie en geven aan waarvoor het adres officieel mag worden gebruikt.
Beethovenstraat 125-2 is gelegen op kadastraal perceel ASD23AB1668. Deze kadastrale aanduiding is uniek en wordt gebruikt door het Kadaster om eigendomsrechten en andere zakelijke rechten vast te leggen. Het perceel maakt onderdeel uit van de kadastrale gemeente Amsterdam.
Het perceel waarop Beethovenstraat 125-2 staat heeft een oppervlakte van 541 m². Dit is een groot perceel. De perceeloppervlakte wordt geregistreerd door het Kadaster. Gedetailleerde informatie over de maten van dit perceel kunt u vinden in het rapport Kadastrale kaart met maatvoering van Beethovenstraat 125-2.
De eigenaar van Beethovenstraat 125-2 is op te vragen op deze pagina.
De informatie over dit adres is afkomstig uit officiële overheidsregistraties, voornamelijk de Basisregistratie Adressen en Gebouwen (BAG) en de Basisregistratie Kadaster (BRK). Deze gegevens worden beheerd door respectievelijk gemeenten en het Kadaster, en worden regelmatig bijgewerkt. Energielabelgegevens komen uit de database van de Rijksdienst voor Ondernemend Nederland (RVO).
