
Berthold Brechtstraat 407 is gelegen in de plaats Amsterdam, de gemeente Amsterdam en de provincie Noord-Holland. Het verblijfsobject is vergeleken met het Nederlandse gemiddelde aan de kleine kant: de oppervlakte is 53 m². Het perceel waarop het adres zich bevindt heeft een oppervlakte van 2,5 ha. Het adres is klein vergeleken met andere objecten in de straat. Het grootste object in de straat heeft een oppervlakte van 9139 m², het kleinste is 27 m² groot. In Nederland komt het grootste deel van de gebouwen uit de periode 1965-1984. Ook het bouwjaar van Berthold Brechtstraat 407 is afkomstig uit die periode: het betreft namelijk een pand uit 1981. Gemiddeld zijn de gebouwen in de straat gebouwd in 1982. Dit is het oudste pand in de straat. Het meest recente komt uit het jaar 1986. De volgende gebruiksdoelen zijn geregistreerd voor dit adres: 'woonfunctie'.
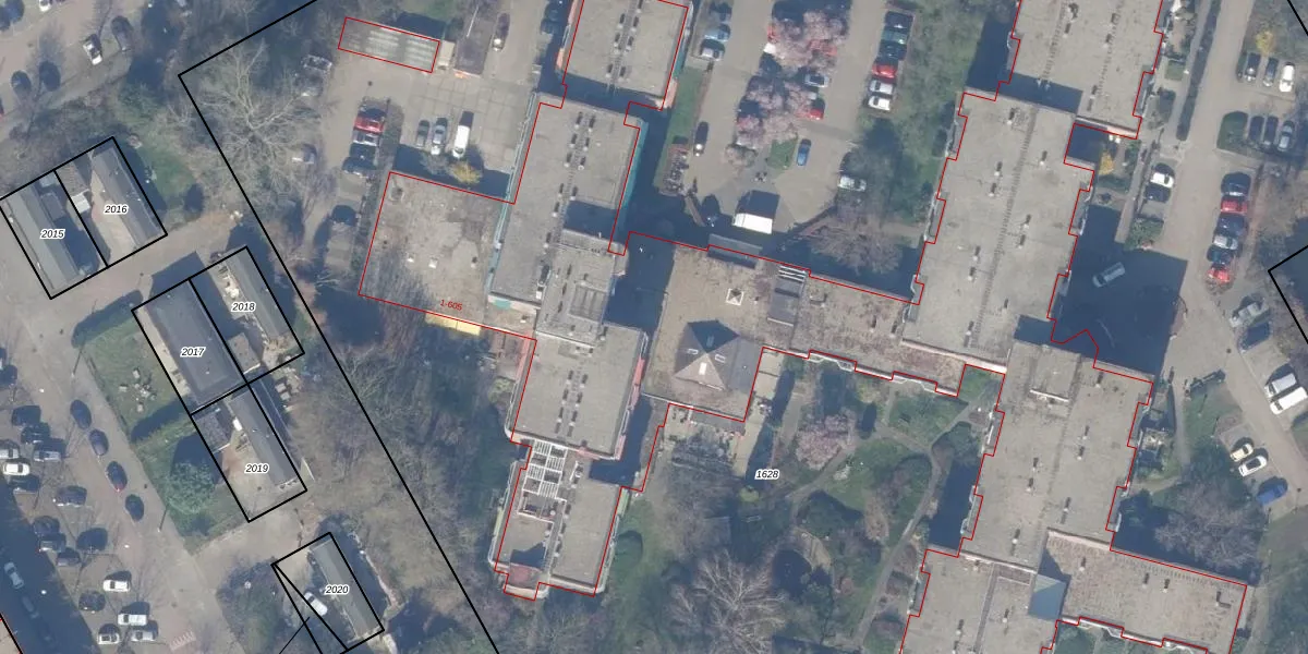
Het adres ligt op het perceel WPK02-A-1628, dat zich in de kadastrale gemeente Weesperkarspel bevindt. De oppervlakte van het perceel is 2,5 ha. Dat is groter dan gemiddeld in Weesperkarspel, waar de gemiddelde perceeloppervlakte op 1744,25 m² ligt. Het grootste perceel in de kadastrale gemeente is 1,04 km². Het kleinste perceel heeft een oppervlakte van 0 m². Op het perceel liggen in totaal 301 adressen. De laatste wijziging in het de Basisregistratie Kadaster (BRK) was op 22-06-2006.
Er is geen energielabel geregistreerd voor het adres. Het hoogste energielabel in de straat is A; het laagste is G. Het gemiddelde energielabel is er C. Het adres Berthold Brechtstraat 407 heeft als status: 'verblijfsobject in gebruik'. Het pand waarin dit adres ligt heeft als status: 'pand in gebruik'.
Berthold Brechtstraat 407 is een adres gelegen in de gemeente Amsterdam, provincie Noord-Holland. Dit adres is geregistreerd in de Basisregistratie Adressen en Gebouwen (BAG) met als unieke identificatie 0363010001015365.
Het pand op Berthold Brechtstraat 407 is gebouwd in 1981, wat betekent dat het 45 jaar oud is. Dit is een pand van middelbare leeftijd. Het pand is van gemiddelde leeftijd en zal waarschijnlijk verouderde elementen bevatten.
De woning op Berthold Brechtstraat 407 heeft een gebruiksoppervlakte van 53 m². Dit is relatief klein vergeleken met de gemiddelde Nederlandse woning, die een oppervlakte heeft van ongeveer 119 m². De gebruiksoppervlakte is de maat die wordt gebruikt in de BAG-registratie, de landelijke registratie van de Nederlandse overheid.
Berthold Brechtstraat 407 heeft als functie: wonen. Deze gebruiksfunctie(s) zijn vastgelegd in de BAG-registratie en geven aan waarvoor het adres officieel mag worden gebruikt.
Berthold Brechtstraat 407 is gelegen op kadastraal perceel WPK02A1628. Deze kadastrale aanduiding is uniek en wordt gebruikt door het Kadaster om eigendomsrechten en andere zakelijke rechten vast te leggen. Het perceel maakt onderdeel uit van de kadastrale gemeente Weesperkarspel.
Het perceel waarop Berthold Brechtstraat 407 staat heeft een oppervlakte van 2,5 ha. Dit is een zeer groot perceel. De perceeloppervlakte wordt geregistreerd door het Kadaster. Gedetailleerde informatie over de maten van dit perceel kunt u vinden in het rapport Kadastrale kaart met maatvoering van Berthold Brechtstraat 407.
De eigenaar van Berthold Brechtstraat 407 is op te vragen op deze pagina.
De informatie over dit adres is afkomstig uit officiële overheidsregistraties, voornamelijk de Basisregistratie Adressen en Gebouwen (BAG) en de Basisregistratie Kadaster (BRK). Deze gegevens worden beheerd door respectievelijk gemeenten en het Kadaster, en worden regelmatig bijgewerkt. Energielabelgegevens komen uit de database van de Rijksdienst voor Ondernemend Nederland (RVO).
