
Bullewijkpad 110 is een adres in Amsterdam, dat zich bevindt binnen de gemeentegrenzen van Amsterdam en de grenzen van de provincie Noord-Holland. Het verblijfsobject is vergeleken met het Nederlandse gemiddelde aan de kleine kant: de oppervlakte is 73 m². Het perceel waarop het adres zich bevindt heeft een oppervlakte van 3773 m². Het adres is klein vergeleken met andere objecten in de straat. Het grootste object in de straat heeft een oppervlakte van 1,9 ha, het kleinste is 1 m² groot. Bullewijkpad 110 ligt in een gebouw uit het jaar 2022. Daarmee behoort het tot de groep panden van na 1984, die we als relatief nieuw bestempelen. Dit pand is het meest recent exemplaar in de straat. Het oudste object komt er uit 1977 en het gemiddelde bouwjaar is 2019. De volgende gebruiksdoelen zijn geregistreerd voor dit adres: 'woonfunctie'.
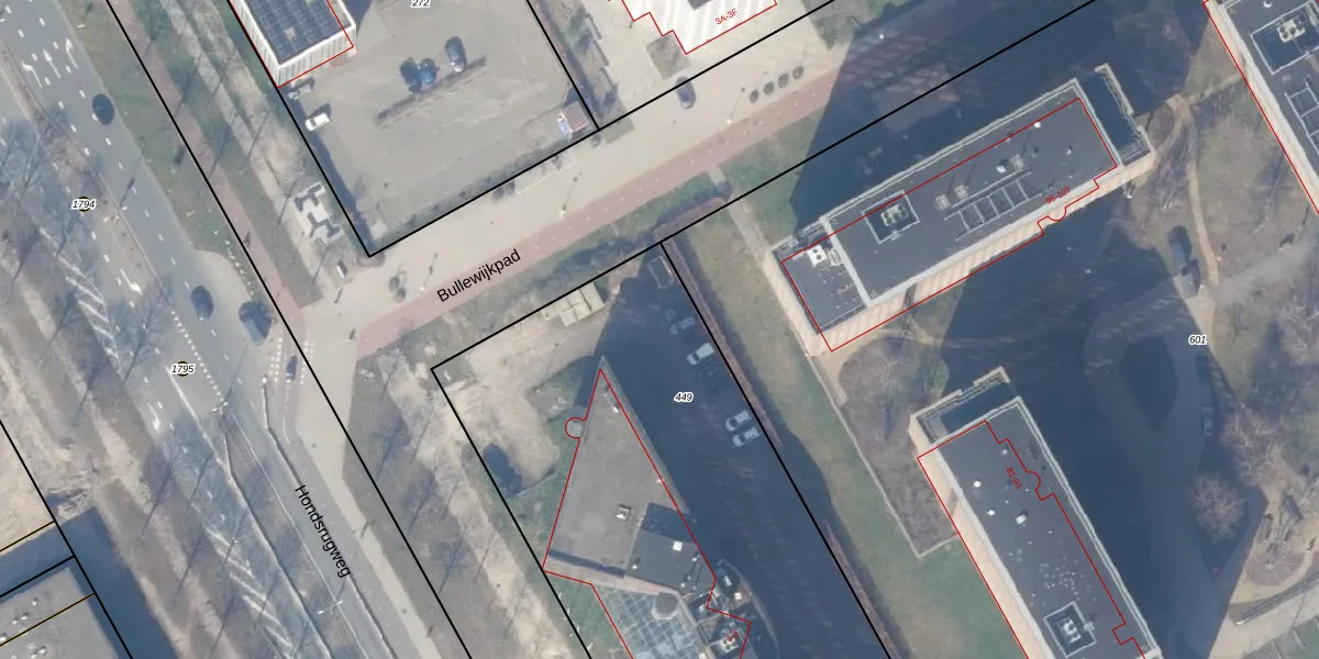
Het adres ligt op het perceel WPK02-M-449, dat zich in de kadastrale gemeente Weesperkarspel bevindt. De oppervlakte van het perceel is 3773 m². Dat is groter dan gemiddeld in Weesperkarspel, waar de gemiddelde perceeloppervlakte op 1744,39 m² ligt. Het grootste perceel in de kadastrale gemeente is 1,04 km². Het kleinste perceel heeft een oppervlakte van 0 m². Op het perceel liggen in totaal 122 adressen. De huidige grenzen van het perceel zijn digitaal in de Basisregistratie Kadaster (BRK) geregistreerd op 26-04-2005.
Er is geen energielabel geregistreerd voor het adres. Het hoogste energielabel in de straat is A++; het laagste is G. Het gemiddelde energielabel is er A+. Het adres Bullewijkpad 110 heeft als status: 'verblijfsobject gevormd'. Het pand waarin dit adres ligt heeft als status: 'bouwvergunning verleend'.
Bullewijkpad 110 is een adres gelegen in de gemeente Amsterdam, provincie Noord-Holland. Dit adres is geregistreerd in de Basisregistratie Adressen en Gebouwen (BAG) met als unieke identificatie 0363010012570025.
Het pand op Bullewijkpad 110 is gebouwd in 2022, wat betekent dat het 4 jaar oud is. Dit is een vrij nieuw pand. Het pand is dus waarschijnlijk goed geïsoleerd, geluidsdicht en voldoet aan de huidige bouwstandaarden. Op korte termijn zijn er waarschijnlijk weinig onderhoudskosten.
De woning op Bullewijkpad 110 heeft een gebruiksoppervlakte van 73 m². Dit is relatief klein vergeleken met de gemiddelde Nederlandse woning, die een oppervlakte heeft van ongeveer 119 m². De gebruiksoppervlakte is de maat die wordt gebruikt in de BAG-registratie, de landelijke registratie van de Nederlandse overheid.
Bullewijkpad 110 heeft als functie: wonen. Deze gebruiksfunctie(s) zijn vastgelegd in de BAG-registratie en geven aan waarvoor het adres officieel mag worden gebruikt.
Bullewijkpad 110 is gelegen op kadastraal perceel WPK02M449. Deze kadastrale aanduiding is uniek en wordt gebruikt door het Kadaster om eigendomsrechten en andere zakelijke rechten vast te leggen. Het perceel maakt onderdeel uit van de kadastrale gemeente Weesperkarspel.
Het perceel waarop Bullewijkpad 110 staat heeft een oppervlakte van 3773 m². Dit is een zeer groot perceel. De perceeloppervlakte wordt geregistreerd door het Kadaster. Gedetailleerde informatie over de maten van dit perceel kunt u vinden in het rapport Kadastrale kaart met maatvoering van Bullewijkpad 110.
De eigenaar van Bullewijkpad 110 is op te vragen op deze pagina.
De informatie over dit adres is afkomstig uit officiële overheidsregistraties, voornamelijk de Basisregistratie Adressen en Gebouwen (BAG) en de Basisregistratie Kadaster (BRK). Deze gegevens worden beheerd door respectievelijk gemeenten en het Kadaster, en worden regelmatig bijgewerkt. Energielabelgegevens komen uit de database van de Rijksdienst voor Ondernemend Nederland (RVO).
