
Darlingstraat 913 is een adres in Amsterdam, dat zich bevindt binnen de gemeentegrenzen van Amsterdam en de grenzen van de provincie Noord-Holland. Het perceel waarop het adres gelegen is heeft een oppervlakte van 875 m². Het verblijfsobject is met 20 m² relatief klein. Het adres is klein vergeleken met andere objecten in de straat. Het grootste object in de straat heeft een oppervlakte van 4938 m², het kleinste is 6 m² groot. Darlingstraat 913 ligt in een gebouw uit het jaar 2015. Daarmee behoort het tot de groep panden van na 1984, die we als relatief nieuw bestempelen. Het bouwjaar is oud vergeleken met dat van de andere panden in de straat. Het oudste bouwjaar is er 2012 en de nieuwste is 2025. De volgende gebruiksdoelen zijn geregistreerd voor dit adres: 'woonfunctie'.
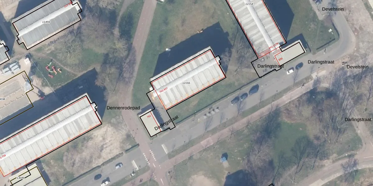
Het adres ligt op het perceel WPK02-L-12155, dat zich in de kadastrale gemeente Weesperkarspel bevindt. Het perceel is 875 m² groot. Dat is kleiner dan de gemiddelde perceeloppervlakte in Weesperkarspel, dat op 1744,25 m² ligt. Het grootste perceel in de kadastrale gemeente is 1,04 km². Het kleinste perceel heeft een oppervlakte van 0 m². Er zijn 89 adressen aanwezig op het perceel. De huidige grenzen van het perceel zijn digitaal in de Basisregistratie Kadaster (BRK) geregistreerd op 28-03-2018.
Het adres ligt in een gebouw van het type 'galerijwoning met het subtype tussendak'. Bij de laatste meting is voor het adres het energielabel A geregistreerd. Het hoogste energielabel in de straat is A++++; het laagste is G. Het gemiddelde energielabel is er A. Het adres Darlingstraat 913 heeft als status: 'verblijfsobject in gebruik'. Het pand waarin dit adres ligt heeft als status: 'pand in gebruik'.
Darlingstraat 913 is een adres gelegen in de gemeente Amsterdam, provincie Noord-Holland. Dit adres is geregistreerd in de Basisregistratie Adressen en Gebouwen (BAG) met als unieke identificatie 0363010012089599.
Het pand op Darlingstraat 913 is gebouwd in 2015, wat betekent dat het 11 jaar oud is. Dit is een relatief modern pand. Ten opzichte van de nationale woningvoorraad is het pand relatief modern, maar er kunnen enkele verouderde elementen zijn die aandacht nodig hebben.
De woning op Darlingstraat 913 heeft een gebruiksoppervlakte van 20 m². Dit is relatief klein vergeleken met de gemiddelde Nederlandse woning, die een oppervlakte heeft van ongeveer 119 m². De gebruiksoppervlakte is de maat die wordt gebruikt in de BAG-registratie, de landelijke registratie van de Nederlandse overheid.
Darlingstraat 913 heeft als functie: wonen. Deze gebruiksfunctie(s) zijn vastgelegd in de BAG-registratie en geven aan waarvoor het adres officieel mag worden gebruikt.
Darlingstraat 913 is gelegen op kadastraal perceel WPK02L12155. Deze kadastrale aanduiding is uniek en wordt gebruikt door het Kadaster om eigendomsrechten en andere zakelijke rechten vast te leggen. Het perceel maakt onderdeel uit van de kadastrale gemeente Weesperkarspel.
Het perceel waarop Darlingstraat 913 staat heeft een oppervlakte van 875 m². Dit is een groot perceel. De perceeloppervlakte wordt geregistreerd door het Kadaster. Gedetailleerde informatie over de maten van dit perceel kunt u vinden in het rapport Kadastrale kaart met maatvoering van Darlingstraat 913.
De eigenaar van Darlingstraat 913 is op te vragen op deze pagina.
De informatie over dit adres is afkomstig uit officiële overheidsregistraties, voornamelijk de Basisregistratie Adressen en Gebouwen (BAG) en de Basisregistratie Kadaster (BRK). Deze gegevens worden beheerd door respectievelijk gemeenten en het Kadaster, en worden regelmatig bijgewerkt. Energielabelgegevens komen uit de database van de Rijksdienst voor Ondernemend Nederland (RVO).
