
Groetstraat 59 is een adres in Amsterdam, dat zich bevindt binnen de gemeentegrenzen van Amsterdam en de grenzen van de provincie Noord-Holland. Het perceel waarop het adres gelegen is heeft een oppervlakte van 810 m². Het verblijfsobject is met 59 m² relatief klein. De oppervlakte van het adres is klein vergeleken met de andere objecten in de straat. De oppervlakte van het kleinste object in de straat bedraagt 1 m², terwijl het grootste object 103 m² groot is. De gemiddelde bouwperiode van gebouwen in Nederland ligt tussen de jaren 1965-1984. Dat geldt ook voor het bouwjaar van Groetstraat 59: het is gebouwd in het jaar 1966. Het bouwjaar is oud vergeleken met dat van de andere panden in de straat. Het oudste bouwjaar is er 1965 en de nieuwste is 1968. Voor het verblijfsobject gelden deze gebruiksdoelen: 'woonfunctie'.
Deze woning is voor het laatst verkocht op 1 december 2021. Meer informatie over deze transactie? Bestel het Woningtransactierapport om de verkoopprijs en andere informatie te zien.
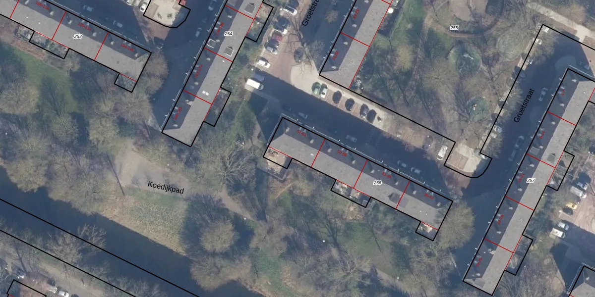
Het adres is gelegen op perceel 256 in de sectie AL en de kadastrale gemeente Amsterdam. De kadastrale aanduiding is aldus ASD31-AL-256. De gemiddelde perceelgrootte in Amsterdam is 1159,38 m². Dit perceel is kleiner: de perceeloppervlakte bedraagt 810 m². Het kleinste perceel in de kadastrale gemeente is 0 m² groot. De grootste perceeloppervlakte is 35,6 ha. Er zijn 28 adressen aanwezig op het perceel. De huidige grenzen van het perceel zijn digitaal in de Basisregistratie Kadaster (BRK) geregistreerd op 02-12-2010.
Het adres ligt in een gebouw van het type 'appartement met het subtype tussendak'. Bij de laatste meting is voor het adres het energielabel E geregistreerd. Het hoogste energielabel in de straat is A; het laagste is G. Het gemiddelde energielabel is er C. Het adres Groetstraat 59 heeft als status: 'verblijfsobject in gebruik'. Het pand waarin dit adres ligt heeft als status: 'pand in gebruik'.
Groetstraat 59 is een adres gelegen in de gemeente Amsterdam, provincie Noord-Holland. Dit adres is geregistreerd in de Basisregistratie Adressen en Gebouwen (BAG) met als unieke identificatie 0363010000652427.
Het pand op Groetstraat 59 is gebouwd in 1966, wat betekent dat het 60 jaar oud is. Dit is een ouder pand. Het pand heeft mogelijk aanzienlijke renovaties nodig om aan de huidige standaarden te voldoen.
De woning op Groetstraat 59 heeft een gebruiksoppervlakte van 59 m². Dit is relatief klein vergeleken met de gemiddelde Nederlandse woning, die een oppervlakte heeft van ongeveer 119 m². De gebruiksoppervlakte is de maat die wordt gebruikt in de BAG-registratie, de landelijke registratie van de Nederlandse overheid.
Groetstraat 59 heeft als functie: wonen. Deze gebruiksfunctie(s) zijn vastgelegd in de BAG-registratie en geven aan waarvoor het adres officieel mag worden gebruikt.
Groetstraat 59 is gelegen op kadastraal perceel ASD31AL256. Deze kadastrale aanduiding is uniek en wordt gebruikt door het Kadaster om eigendomsrechten en andere zakelijke rechten vast te leggen. Het perceel maakt onderdeel uit van de kadastrale gemeente Amsterdam.
Het perceel waarop Groetstraat 59 staat heeft een oppervlakte van 810 m². Dit is een groot perceel. De perceeloppervlakte wordt geregistreerd door het Kadaster. Gedetailleerde informatie over de maten van dit perceel kunt u vinden in het rapport Kadastrale kaart met maatvoering van Groetstraat 59.
De eigenaar van Groetstraat 59 is op te vragen op deze pagina.
De informatie over dit adres is afkomstig uit officiële overheidsregistraties, voornamelijk de Basisregistratie Adressen en Gebouwen (BAG) en de Basisregistratie Kadaster (BRK). Deze gegevens worden beheerd door respectievelijk gemeenten en het Kadaster, en worden regelmatig bijgewerkt. Energielabelgegevens komen uit de database van de Rijksdienst voor Ondernemend Nederland (RVO).
