
Hilversumstraat 151 is gelegen in de plaats Amsterdam, de gemeente Amsterdam en de provincie Noord-Holland. Het verblijfsobject is vergeleken met het Nederlandse gemiddelde aan de kleine kant: de oppervlakte is 62 m². Het perceel waarop het adres zich bevindt heeft een oppervlakte van 1589 m². Het adres is klein vergeleken met andere objecten in de straat. Het grootste object in de straat heeft een oppervlakte van 836 m², het kleinste is 1 m² groot. De meeste Nederlandse gebouwen zijn gebouwd in de periode 1965-1984. Zo ook het pand waarin Hilversumstraat 151 ligt, dat gebouwd is in 1968. Het nieuwste gebouw in de straat komt uit 1986 en het oudste uit 1964. Dit object is relatief oud. Voor het verblijfsobject gelden deze gebruiksdoelen: 'woonfunctie'.
Deze woning is voor het laatst verkocht op 1 maart 2015. Meer informatie over deze transactie? Bestel het Woningtransactierapport om de verkoopprijs en andere informatie te zien.
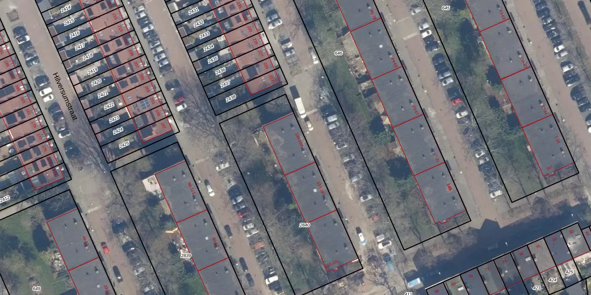
Het adres ligt op het perceel ASD31-AL-2840, dat zich in de kadastrale gemeente Amsterdam bevindt. Het perceel is met 1589 m² relatief groot. Het gemiddelde ligt in de kadastrale gemeente Amsterdam op 1159,38 m². De grootste perceeloppervlakte in de kadastrale gemeente is 35,6 ha. De kleinste oppervlakte bedraagt 0 m². Op het perceel liggen in totaal 25 adressen. De laatste wijziging in het de Basisregistratie Kadaster (BRK) was op 13-01-2010.
Er is geen energielabel geregistreerd voor het adres. Het hoogste energielabel in de straat is A+++; het laagste is G. Het gemiddelde energielabel is er B. Het adres Hilversumstraat 151 heeft als status: 'verblijfsobject in gebruik'. Het pand waarin dit adres ligt heeft als status: 'pand in gebruik'.
Hilversumstraat 151 is een adres gelegen in de gemeente Amsterdam, provincie Noord-Holland. Dit adres is geregistreerd in de Basisregistratie Adressen en Gebouwen (BAG) met als unieke identificatie 0363010000667563.
Het pand op Hilversumstraat 151 is gebouwd in 1968, wat betekent dat het 58 jaar oud is. Dit is een ouder pand. Het pand heeft mogelijk aanzienlijke renovaties nodig om aan de huidige standaarden te voldoen.
De woning op Hilversumstraat 151 heeft een gebruiksoppervlakte van 62 m². Dit is relatief klein vergeleken met de gemiddelde Nederlandse woning, die een oppervlakte heeft van ongeveer 119 m². De gebruiksoppervlakte is de maat die wordt gebruikt in de BAG-registratie, de landelijke registratie van de Nederlandse overheid.
Hilversumstraat 151 heeft als functie: wonen. Deze gebruiksfunctie(s) zijn vastgelegd in de BAG-registratie en geven aan waarvoor het adres officieel mag worden gebruikt.
Hilversumstraat 151 is gelegen op kadastraal perceel ASD31AL2840. Deze kadastrale aanduiding is uniek en wordt gebruikt door het Kadaster om eigendomsrechten en andere zakelijke rechten vast te leggen. Het perceel maakt onderdeel uit van de kadastrale gemeente Amsterdam.
Het perceel waarop Hilversumstraat 151 staat heeft een oppervlakte van 1589 m². Dit is een zeer groot perceel. De perceeloppervlakte wordt geregistreerd door het Kadaster. Gedetailleerde informatie over de maten van dit perceel kunt u vinden in het rapport Kadastrale kaart met maatvoering van Hilversumstraat 151.
De eigenaar van Hilversumstraat 151 is op te vragen op deze pagina.
De informatie over dit adres is afkomstig uit officiële overheidsregistraties, voornamelijk de Basisregistratie Adressen en Gebouwen (BAG) en de Basisregistratie Kadaster (BRK). Deze gegevens worden beheerd door respectievelijk gemeenten en het Kadaster, en worden regelmatig bijgewerkt. Energielabelgegevens komen uit de database van de Rijksdienst voor Ondernemend Nederland (RVO).
