
Houdringe 13 is gelegen in de plaats Amsterdam, de gemeente Amsterdam en de provincie Noord-Holland. De oppervlakte van het object bedraagt 74 m². Dat is klein vergeleken met het Nederlandse gemiddelde. Het perceel waarop het adres ligt is 762 m² groot. In vergelijking met de andere adressen in de straat is de oppervlakte van dit object relatief groot. Het grootste verblijfsobject heeft een oppervlakte van 1964 m², de oppervlakte van het kleinste object bedraagt 1 m². De meeste Nederlandse gebouwen zijn gebouwd in de periode 1965-1984. Zo ook het pand waarin Houdringe 13 ligt, dat gebouwd is in 1967. Dit is het oudste object in de straat. Het nieuwste pand komt uit 2024 en het gemiddelde bouwjaar in de straat is 1968. Voor het verblijfsobject gelden deze gebruiksdoelen: 'woonfunctie'.
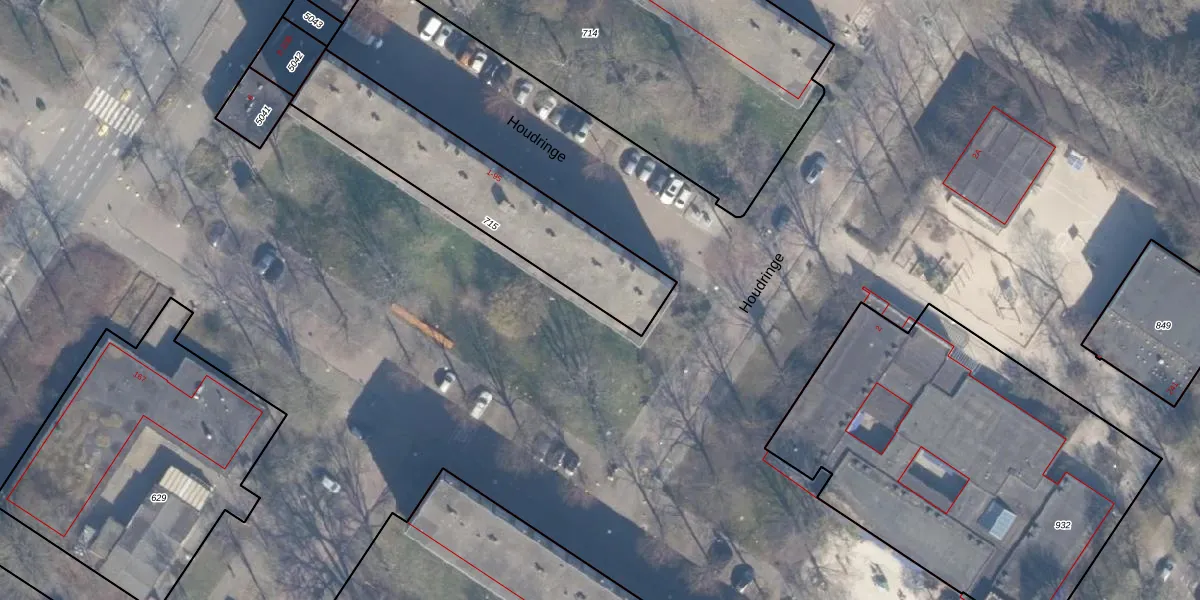
Het perceel waarop het adres ligt is ASD31-AL-715. De afkorting 'ASD31' staat voor kadastrale gemeente Amsterdam. De gemiddelde perceelgrootte in Amsterdam is 1159,38 m². Dit perceel is kleiner: de perceeloppervlakte bedraagt 762 m². De grootste perceeloppervlakte in de kadastrale gemeente is 35,6 ha. De kleinste oppervlakte bedraagt 0 m². Op het perceel zijn 48 adressen aanwezig. De laatste wijziging in het de Basisregistratie Kadaster (BRK) was op 17-08-2010.
Het adres ligt in een gebouw van het type 'appartement met het subtype tussenmidden'. Bij de laatste meting is voor het adres het energielabel F geregistreerd. Het hoogste energielabel in de straat is B; het laagste is G. Het gemiddelde energielabel is er D. Het adres Houdringe 13 heeft als status: 'verblijfsobject in gebruik'. Het pand waarin dit adres ligt heeft als status: 'pand in gebruik'.
Houdringe 13 is een adres gelegen in de gemeente Amsterdam, provincie Noord-Holland. Dit adres is geregistreerd in de Basisregistratie Adressen en Gebouwen (BAG) met als unieke identificatie 0363010000673399.
Het pand op Houdringe 13 is gebouwd in 1967, wat betekent dat het 59 jaar oud is. Dit is een ouder pand. Het pand heeft mogelijk aanzienlijke renovaties nodig om aan de huidige standaarden te voldoen.
De woning op Houdringe 13 heeft een gebruiksoppervlakte van 74 m². Dit is relatief klein vergeleken met de gemiddelde Nederlandse woning, die een oppervlakte heeft van ongeveer 119 m². De gebruiksoppervlakte is de maat die wordt gebruikt in de BAG-registratie, de landelijke registratie van de Nederlandse overheid.
Houdringe 13 heeft als functie: wonen. Deze gebruiksfunctie(s) zijn vastgelegd in de BAG-registratie en geven aan waarvoor het adres officieel mag worden gebruikt.
Houdringe 13 is gelegen op kadastraal perceel ASD31AL715. Deze kadastrale aanduiding is uniek en wordt gebruikt door het Kadaster om eigendomsrechten en andere zakelijke rechten vast te leggen. Het perceel maakt onderdeel uit van de kadastrale gemeente Amsterdam.
Het perceel waarop Houdringe 13 staat heeft een oppervlakte van 762 m². Dit is een groot perceel. De perceeloppervlakte wordt geregistreerd door het Kadaster. Gedetailleerde informatie over de maten van dit perceel kunt u vinden in het rapport Kadastrale kaart met maatvoering van Houdringe 13.
De eigenaar van Houdringe 13 is op te vragen op deze pagina.
De informatie over dit adres is afkomstig uit officiële overheidsregistraties, voornamelijk de Basisregistratie Adressen en Gebouwen (BAG) en de Basisregistratie Kadaster (BRK). Deze gegevens worden beheerd door respectievelijk gemeenten en het Kadaster, en worden regelmatig bijgewerkt. Energielabelgegevens komen uit de database van de Rijksdienst voor Ondernemend Nederland (RVO).
