
Het adres Jan Voermanstraat 12-3 bevindt zich in de plaats Amsterdam, in de gemeente Amsterdam en de provincie Noord-Holland. Het verblijfsobject is vergeleken met het Nederlandse gemiddelde aan de kleine kant: de oppervlakte is 73 m². Het perceel waarop het adres zich bevindt heeft een oppervlakte van 848 m². Vergeleken met de andere verblijfsobjecten in de straat is dit object groot. De oppervlakte van het grootste object in de straat is 1315 m², die van het kleinste bedraagt 1 m². Jan Voermanstraat 12-3 bevindt zich in een pand uit het jaar 1960. Daarmee behoort het tot de groep relatief oude panden in Nederland die gebouwd zijn vóór 1965. Het nieuwste gebouw in de straat komt uit 2015 en het oudste uit 1959. Dit object is relatief oud. Het verblijfsobject heeft de volgende gebruiksdoelen: 'woonfunctie'.
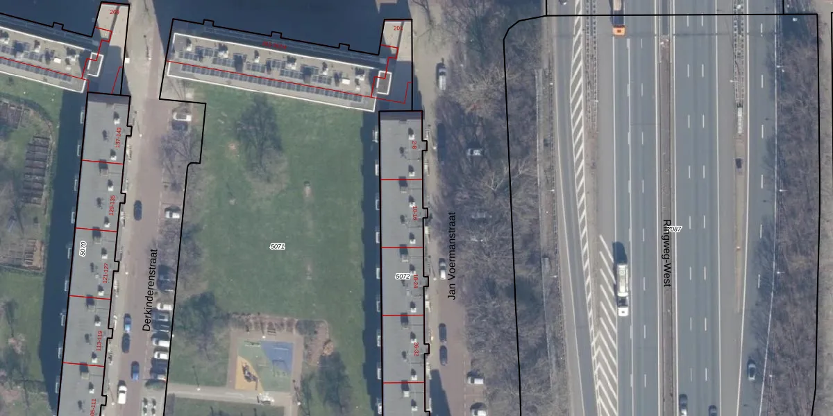
Het adres is gelegen op perceel 5072 in de sectie D en de kadastrale gemeente Sloten Noord-Holland. De kadastrale aanduiding is aldus STN02-D-5072. Het perceel is kleiner dan gemiddeld in Sloten Noord-Holland. Het perceel is 848 m² groot, terwijl het gemiddelde ligt op 2098,84 m². Het grootste perceel in de kadastrale gemeente is 1,05 km². Het kleinste perceel heeft een oppervlakte van 0 m². Op het perceel liggen in totaal 50 adressen. In de Basisregistratie Kadaster (BRK) werden de grenzen van het perceel geregistreerd op 18-03-2008.
Het adres ligt in een gebouw van het type 'appartement met het subtype tussendak'. Bij de laatste meting is voor het adres het energielabel B geregistreerd. Het hoogste energielabel in de straat is A++; het laagste is G. Het gemiddelde energielabel is er B. Het adres Jan Voermanstraat 12-3 heeft als status: 'verblijfsobject in gebruik'. Het pand waarin dit adres ligt heeft als status: 'pand in gebruik'.
Jan Voermanstraat 12-3 is een adres gelegen in de gemeente Amsterdam, provincie Noord-Holland. Dit adres is geregistreerd in de Basisregistratie Adressen en Gebouwen (BAG) met als unieke identificatie 0363010000688103.
Het pand op Jan Voermanstraat 12-3 is gebouwd in 1960, wat betekent dat het 66 jaar oud is. Dit is een ouder pand. Het pand heeft mogelijk aanzienlijke renovaties nodig om aan de huidige standaarden te voldoen.
De woning op Jan Voermanstraat 12-3 heeft een gebruiksoppervlakte van 73 m². Dit is relatief klein vergeleken met de gemiddelde Nederlandse woning, die een oppervlakte heeft van ongeveer 119 m². De gebruiksoppervlakte is de maat die wordt gebruikt in de BAG-registratie, de landelijke registratie van de Nederlandse overheid.
Jan Voermanstraat 12-3 heeft als functie: wonen. Deze gebruiksfunctie(s) zijn vastgelegd in de BAG-registratie en geven aan waarvoor het adres officieel mag worden gebruikt.
Jan Voermanstraat 12-3 is gelegen op kadastraal perceel STN02D5072. Deze kadastrale aanduiding is uniek en wordt gebruikt door het Kadaster om eigendomsrechten en andere zakelijke rechten vast te leggen. Het perceel maakt onderdeel uit van de kadastrale gemeente Sloten Noord-Holland.
Het perceel waarop Jan Voermanstraat 12-3 staat heeft een oppervlakte van 848 m². Dit is een groot perceel. De perceeloppervlakte wordt geregistreerd door het Kadaster. Gedetailleerde informatie over de maten van dit perceel kunt u vinden in het rapport Kadastrale kaart met maatvoering van Jan Voermanstraat 12-3.
De eigenaar van Jan Voermanstraat 12-3 is op te vragen op deze pagina.
De informatie over dit adres is afkomstig uit officiële overheidsregistraties, voornamelijk de Basisregistratie Adressen en Gebouwen (BAG) en de Basisregistratie Kadaster (BRK). Deze gegevens worden beheerd door respectievelijk gemeenten en het Kadaster, en worden regelmatig bijgewerkt. Energielabelgegevens komen uit de database van de Rijksdienst voor Ondernemend Nederland (RVO).
