
Kleiburg 615 is gelegen in de plaats Amsterdam, de gemeente Amsterdam en de provincie Noord-Holland. Het verblijfsobject is vergeleken met het Nederlandse gemiddelde aan de kleine kant: de oppervlakte is 68 m². Het perceel waarop het adres zich bevindt heeft een oppervlakte van 1510 m². De oppervlakte van het adres is klein vergeleken met de andere objecten in de straat. De oppervlakte van het kleinste object in de straat bedraagt 1 m², terwijl het grootste object 222 m² groot is. De meeste Nederlandse gebouwen zijn gebouwd in de periode 1965-1984. Zo ook het pand waarin Kleiburg 615 ligt, dat gebouwd is in 1972. Dit pand is het meest recent exemplaar in de straat. Het oudste object komt er uit 1971 en het gemiddelde bouwjaar is 1972. Het verblijfsobject heeft de volgende gebruiksdoelen: 'woonfunctie'.
Deze woning is voor het laatst verkocht op 1 september 2025. Meer informatie over deze transactie? Bestel het Woningtransactierapport om de verkoopprijs en andere informatie te zien.
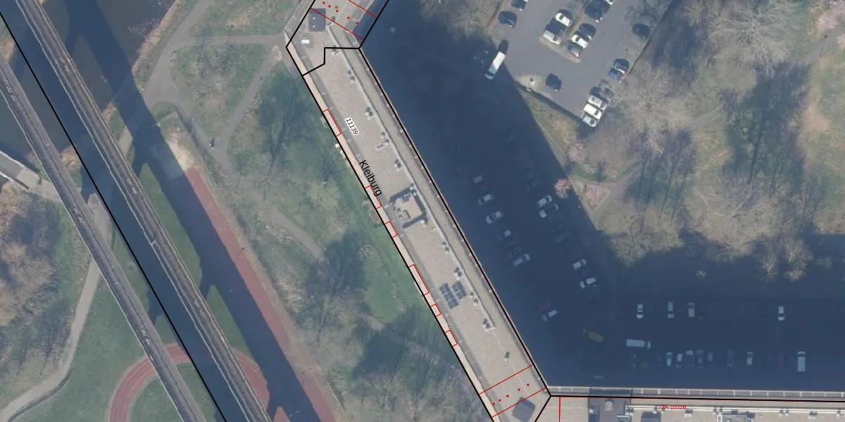
Het adres is gelegen op perceel 11139 in de sectie L en de kadastrale gemeente Weesperkarspel. De kadastrale aanduiding is aldus WPK02-L-11139. Het perceel is kleiner dan gemiddeld in Weesperkarspel. Het perceel is 1510 m² groot, terwijl het gemiddelde ligt op 1744,39 m². De grootste perceeloppervlakte in de kadastrale gemeente is 1,04 km². De kleinste oppervlakte bedraagt 0 m². Op het perceel liggen in totaal 125 adressen. De laatste wijziging in het de Basisregistratie Kadaster (BRK) was op 14-03-2018.
Het adres ligt in een gebouw van het type 'appartement met het subtype tussenmidden'. Bij de laatste meting is voor het adres het energielabel B geregistreerd. Het hoogste energielabel in de straat is A++; het laagste is G. Het gemiddelde energielabel is er B. Het adres Kleiburg 615 heeft als status: 'verblijfsobject in gebruik'. Het pand waarin dit adres ligt heeft als status: 'pand in gebruik'.
Kleiburg 615 is een adres gelegen in de gemeente Amsterdam, provincie Noord-Holland. Dit adres is geregistreerd in de Basisregistratie Adressen en Gebouwen (BAG) met als unieke identificatie 0363010012081550.
Het pand op Kleiburg 615 is gebouwd in 1972, wat betekent dat het 54 jaar oud is. Dit is een ouder pand. Het pand heeft mogelijk aanzienlijke renovaties nodig om aan de huidige standaarden te voldoen.
De woning op Kleiburg 615 heeft een gebruiksoppervlakte van 68 m². Dit is relatief klein vergeleken met de gemiddelde Nederlandse woning, die een oppervlakte heeft van ongeveer 119 m². De gebruiksoppervlakte is de maat die wordt gebruikt in de BAG-registratie, de landelijke registratie van de Nederlandse overheid.
Kleiburg 615 heeft als functie: wonen. Deze gebruiksfunctie(s) zijn vastgelegd in de BAG-registratie en geven aan waarvoor het adres officieel mag worden gebruikt.
Kleiburg 615 is gelegen op kadastraal perceel WPK02L11139. Deze kadastrale aanduiding is uniek en wordt gebruikt door het Kadaster om eigendomsrechten en andere zakelijke rechten vast te leggen. Het perceel maakt onderdeel uit van de kadastrale gemeente Weesperkarspel.
Het perceel waarop Kleiburg 615 staat heeft een oppervlakte van 1510 m². Dit is een zeer groot perceel. De perceeloppervlakte wordt geregistreerd door het Kadaster. Gedetailleerde informatie over de maten van dit perceel kunt u vinden in het rapport Kadastrale kaart met maatvoering van Kleiburg 615.
De eigenaar van Kleiburg 615 is op te vragen op deze pagina.
De informatie over dit adres is afkomstig uit officiële overheidsregistraties, voornamelijk de Basisregistratie Adressen en Gebouwen (BAG) en de Basisregistratie Kadaster (BRK). Deze gegevens worden beheerd door respectievelijk gemeenten en het Kadaster, en worden regelmatig bijgewerkt. Energielabelgegevens komen uit de database van de Rijksdienst voor Ondernemend Nederland (RVO).
