
Koornhorst 163 is gelegen in de plaats Amsterdam, de gemeente Amsterdam en de provincie Noord-Holland. Het verblijfsobject is vergeleken met het Nederlandse gemiddelde aan de kleine kant: de oppervlakte is 46 m². Het perceel waarop het adres zich bevindt heeft een oppervlakte van 5615 m². Het object is klein ten opzichte van de andere adressen in de straat. Het grootste verblijfsobject is 890 m² groot en het kleinste is 1 m². In Nederland komt het grootste deel van de gebouwen uit de periode 1965-1984. Ook het bouwjaar van Koornhorst 163 is afkomstig uit die periode: het betreft namelijk een pand uit 1973. Dit pand is het meest recent exemplaar in de straat. Het oudste object komt er uit 1973 en het gemiddelde bouwjaar is 1973. Het verblijfsobject heeft de volgende gebruiksdoelen: 'woonfunctie'.
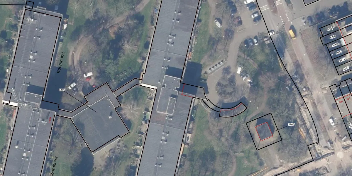
Het perceel waarop het adres ligt is WPK02-L-5105. De afkorting 'WPK02' staat voor kadastrale gemeente Weesperkarspel. De gemiddelde perceeloppervlakte in de kadastrale gemeente Weesperkarspel is 1744,39 m². Dit perceel is met zijn 5615 m² dus groter dan gemiddeld. Het grootste perceel in de kadastrale gemeente is 1,04 km². Het kleinste perceel heeft een oppervlakte van 0 m². Op het perceel liggen in totaal 368 adressen. De laatste wijziging in het de Basisregistratie Kadaster (BRK) was op 04-02-2011.
Het adres ligt in een gebouw van het type 'appartement met het subtype hoekmidden'. Bij de laatste meting is voor het adres het energielabel E geregistreerd. Het hoogste energielabel in de straat is A; het laagste is G. Het gemiddelde energielabel is er C. Het adres Koornhorst 163 heeft als status: 'verblijfsobject in gebruik'. Het pand waarin dit adres ligt heeft als status: 'pand in gebruik'.
Koornhorst 163 is een adres gelegen in de gemeente Amsterdam, provincie Noord-Holland. Dit adres is geregistreerd in de Basisregistratie Adressen en Gebouwen (BAG) met als unieke identificatie 0363010000888788.
Het pand op Koornhorst 163 is gebouwd in 1973, wat betekent dat het 53 jaar oud is. Dit is een ouder pand. Het pand heeft mogelijk aanzienlijke renovaties nodig om aan de huidige standaarden te voldoen.
De woning op Koornhorst 163 heeft een gebruiksoppervlakte van 46 m². Dit is relatief klein vergeleken met de gemiddelde Nederlandse woning, die een oppervlakte heeft van ongeveer 119 m². De gebruiksoppervlakte is de maat die wordt gebruikt in de BAG-registratie, de landelijke registratie van de Nederlandse overheid.
Koornhorst 163 heeft als functie: wonen. Deze gebruiksfunctie(s) zijn vastgelegd in de BAG-registratie en geven aan waarvoor het adres officieel mag worden gebruikt.
Koornhorst 163 is gelegen op kadastraal perceel WPK02L5105. Deze kadastrale aanduiding is uniek en wordt gebruikt door het Kadaster om eigendomsrechten en andere zakelijke rechten vast te leggen. Het perceel maakt onderdeel uit van de kadastrale gemeente Weesperkarspel.
Het perceel waarop Koornhorst 163 staat heeft een oppervlakte van 5615 m². Dit is een zeer groot perceel. De perceeloppervlakte wordt geregistreerd door het Kadaster. Gedetailleerde informatie over de maten van dit perceel kunt u vinden in het rapport Kadastrale kaart met maatvoering van Koornhorst 163.
De eigenaar van Koornhorst 163 is op te vragen op deze pagina.
De informatie over dit adres is afkomstig uit officiële overheidsregistraties, voornamelijk de Basisregistratie Adressen en Gebouwen (BAG) en de Basisregistratie Kadaster (BRK). Deze gegevens worden beheerd door respectievelijk gemeenten en het Kadaster, en worden regelmatig bijgewerkt. Energielabelgegevens komen uit de database van de Rijksdienst voor Ondernemend Nederland (RVO).
