
Leerdamhof 177 is gelegen in de plaats Amsterdam, de gemeente Amsterdam en de provincie Noord-Holland. Het verblijfsobject is vergeleken met het Nederlandse gemiddelde aan de kleine kant: de oppervlakte is 95 m². Het perceel waarop het adres zich bevindt heeft een oppervlakte van 2525 m². Vergeleken met de andere verblijfsobjecten in de straat is dit object groot. De oppervlakte van het grootste object in de straat is 198 m², die van het kleinste bedraagt 1 m². De gemiddelde bouwperiode van gebouwen in Nederland ligt tussen de jaren 1965-1984. Dat geldt ook voor het bouwjaar van Leerdamhof 177: het is gebouwd in het jaar 1980. Gemiddeld zijn de gebouwen in de straat gebouwd in 1980. Dit is het oudste pand in de straat. Het meest recente komt uit het jaar 1984. Het verblijfsobject heeft de volgende gebruiksdoelen: 'woonfunctie'.
Deze woning is voor het laatst verkocht op 1 september 2021. Meer informatie over deze transactie? Bestel het Woningtransactierapport om de verkoopprijs en andere informatie te zien.
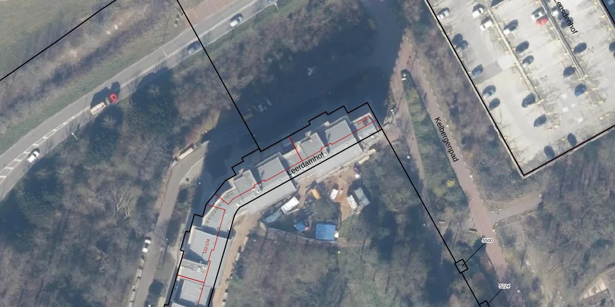
Het adres is gelegen op perceel 3846 in de sectie L en de kadastrale gemeente Weesperkarspel. De kadastrale aanduiding is aldus WPK02-L-3846. De gemiddelde perceeloppervlakte in de kadastrale gemeente Weesperkarspel is 1745,08 m². Dit perceel is met zijn 2525 m² dus groter dan gemiddeld. Het kleinste perceel in de kadastrale gemeente is 0 m² groot. De grootste perceeloppervlakte is 1,04 km². Op het perceel liggen in totaal 200 adressen. De laatste wijziging in het de Basisregistratie Kadaster (BRK) was op 04-08-2010.
Het adres ligt in een gebouw van het type 'appartement met het subtype hoekmidden'. Bij de laatste meting is voor het adres het energielabel C geregistreerd. Het hoogste energielabel in de straat is A; het laagste is G. Het gemiddelde energielabel is er C. Het adres Leerdamhof 177 heeft als status: 'verblijfsobject in gebruik'. Het pand waarin dit adres ligt heeft als status: 'pand in gebruik'.
Leerdamhof 177 is een adres gelegen in de gemeente Amsterdam, provincie Noord-Holland. Dit adres is geregistreerd in de Basisregistratie Adressen en Gebouwen (BAG) met als unieke identificatie 0363010000901035.
Het pand op Leerdamhof 177 is gebouwd in 1980, wat betekent dat het 46 jaar oud is. Dit is een pand van middelbare leeftijd. Het pand is van gemiddelde leeftijd en zal waarschijnlijk verouderde elementen bevatten.
De woning op Leerdamhof 177 heeft een gebruiksoppervlakte van 95 m². Dit is onder het gemiddelde vergeleken met de gemiddelde Nederlandse woning, die een oppervlakte heeft van ongeveer 119 m². De gebruiksoppervlakte is de maat die wordt gebruikt in de BAG-registratie, de landelijke registratie van de Nederlandse overheid.
Leerdamhof 177 heeft als functie: wonen. Deze gebruiksfunctie(s) zijn vastgelegd in de BAG-registratie en geven aan waarvoor het adres officieel mag worden gebruikt.
Leerdamhof 177 is gelegen op kadastraal perceel WPK02L3846. Deze kadastrale aanduiding is uniek en wordt gebruikt door het Kadaster om eigendomsrechten en andere zakelijke rechten vast te leggen. Het perceel maakt onderdeel uit van de kadastrale gemeente Weesperkarspel.
Het perceel waarop Leerdamhof 177 staat heeft een oppervlakte van 2525 m². Dit is een zeer groot perceel. De perceeloppervlakte wordt geregistreerd door het Kadaster. Gedetailleerde informatie over de maten van dit perceel kunt u vinden in het rapport Kadastrale kaart met maatvoering van Leerdamhof 177.
De eigenaar van Leerdamhof 177 is op te vragen op deze pagina.
De informatie over dit adres is afkomstig uit officiële overheidsregistraties, voornamelijk de Basisregistratie Adressen en Gebouwen (BAG) en de Basisregistratie Kadaster (BRK). Deze gegevens worden beheerd door respectievelijk gemeenten en het Kadaster, en worden regelmatig bijgewerkt. Energielabelgegevens komen uit de database van de Rijksdienst voor Ondernemend Nederland (RVO).
