
Maassluisstraat 280-2 is een adres in Amsterdam, dat zich bevindt binnen de gemeentegrenzen van Amsterdam en de grenzen van de provincie Noord-Holland. De oppervlakte van het object bedraagt 65 m². Dat is klein vergeleken met het Nederlandse gemiddelde. Het perceel waarop het adres ligt is 4684 m² groot. In vergelijking met de andere adressen in de straat is de oppervlakte van dit object relatief groot. Het grootste verblijfsobject heeft een oppervlakte van 5341 m², de oppervlakte van het kleinste object bedraagt 1 m². Het gebouw waarin Maassluisstraat 280-2 ligt komt uit het jaar 1960. Objecten die gebouwd zijn vóór 1965 classificeren we hier als oud. Dit is het oudste object in de straat. Het nieuwste pand komt uit 2019 en het gemiddelde bouwjaar in de straat is 1983. Voor het verblijfsobject gelden deze gebruiksdoelen: 'woonfunctie'.
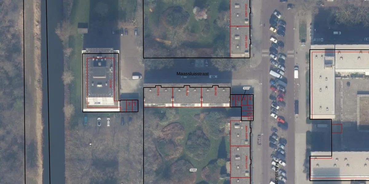
Het perceel waarop het adres ligt is STN02-E-3385. De afkorting 'STN02' staat voor kadastrale gemeente Sloten Noord-Holland. Het perceel is met 4684 m² relatief groot. Het gemiddelde ligt in de kadastrale gemeente Sloten Noord-Holland op 2098,84 m². Het kleinste perceel in de kadastrale gemeente is 0 m² groot. De grootste perceeloppervlakte is 1,05 km². Op het perceel zijn 66 adressen aanwezig. De huidige grenzen van het perceel zijn digitaal in de Basisregistratie Kadaster (BRK) geregistreerd op 07-04-2010.
Het adres ligt in een gebouw van het type 'flatwoning (overig) met het subtype tussenmidden'. Bij de laatste meting is voor het adres het energielabel C geregistreerd. Het hoogste energielabel in de straat is A+++; het laagste is G. Het gemiddelde energielabel is er B. Het adres Maassluisstraat 280-2 heeft als status: 'verblijfsobject in gebruik'. Het pand waarin dit adres ligt heeft als status: 'pand in gebruik'.
Maassluisstraat 280-2 is een adres gelegen in de gemeente Amsterdam, provincie Noord-Holland. Dit adres is geregistreerd in de Basisregistratie Adressen en Gebouwen (BAG) met als unieke identificatie 0363010000731639.
Het pand op Maassluisstraat 280-2 is gebouwd in 1960, wat betekent dat het 66 jaar oud is. Dit is een ouder pand. Het pand heeft mogelijk aanzienlijke renovaties nodig om aan de huidige standaarden te voldoen.
De woning op Maassluisstraat 280-2 heeft een gebruiksoppervlakte van 65 m². Dit is relatief klein vergeleken met de gemiddelde Nederlandse woning, die een oppervlakte heeft van ongeveer 119 m². De gebruiksoppervlakte is de maat die wordt gebruikt in de BAG-registratie, de landelijke registratie van de Nederlandse overheid.
Maassluisstraat 280-2 heeft als functie: wonen. Deze gebruiksfunctie(s) zijn vastgelegd in de BAG-registratie en geven aan waarvoor het adres officieel mag worden gebruikt.
Maassluisstraat 280-2 is gelegen op kadastraal perceel STN02E3385. Deze kadastrale aanduiding is uniek en wordt gebruikt door het Kadaster om eigendomsrechten en andere zakelijke rechten vast te leggen. Het perceel maakt onderdeel uit van de kadastrale gemeente Sloten Noord-Holland.
Het perceel waarop Maassluisstraat 280-2 staat heeft een oppervlakte van 4684 m². Dit is een zeer groot perceel. De perceeloppervlakte wordt geregistreerd door het Kadaster. Gedetailleerde informatie over de maten van dit perceel kunt u vinden in het rapport Kadastrale kaart met maatvoering van Maassluisstraat 280-2.
De eigenaar van Maassluisstraat 280-2 is op te vragen op deze pagina.
De informatie over dit adres is afkomstig uit officiële overheidsregistraties, voornamelijk de Basisregistratie Adressen en Gebouwen (BAG) en de Basisregistratie Kadaster (BRK). Deze gegevens worden beheerd door respectievelijk gemeenten en het Kadaster, en worden regelmatig bijgewerkt. Energielabelgegevens komen uit de database van de Rijksdienst voor Ondernemend Nederland (RVO).
