
Nedersticht 262 is gelegen in de plaats Amsterdam, de gemeente Amsterdam en de provincie Noord-Holland. Het verblijfsobject is vergeleken met het Nederlandse gemiddelde aan de kleine kant: de oppervlakte is 74 m². Het perceel waarop het adres zich bevindt heeft een oppervlakte van 2106 m². Vergeleken met de andere verblijfsobjecten in de straat is dit object groot. De oppervlakte van het grootste object in de straat is 76 m², die van het kleinste bedraagt 30 m². Nedersticht 262 bevindt zich in een pand uit het jaar 1963. Daarmee behoort het tot de groep relatief oude panden in Nederland die gebouwd zijn vóór 1965. Dit pand is het meest recent exemplaar in de straat. Het oudste object komt er uit 1962 en het gemiddelde bouwjaar is 1962. De volgende gebruiksdoelen zijn geregistreerd voor dit adres: 'woonfunctie'.
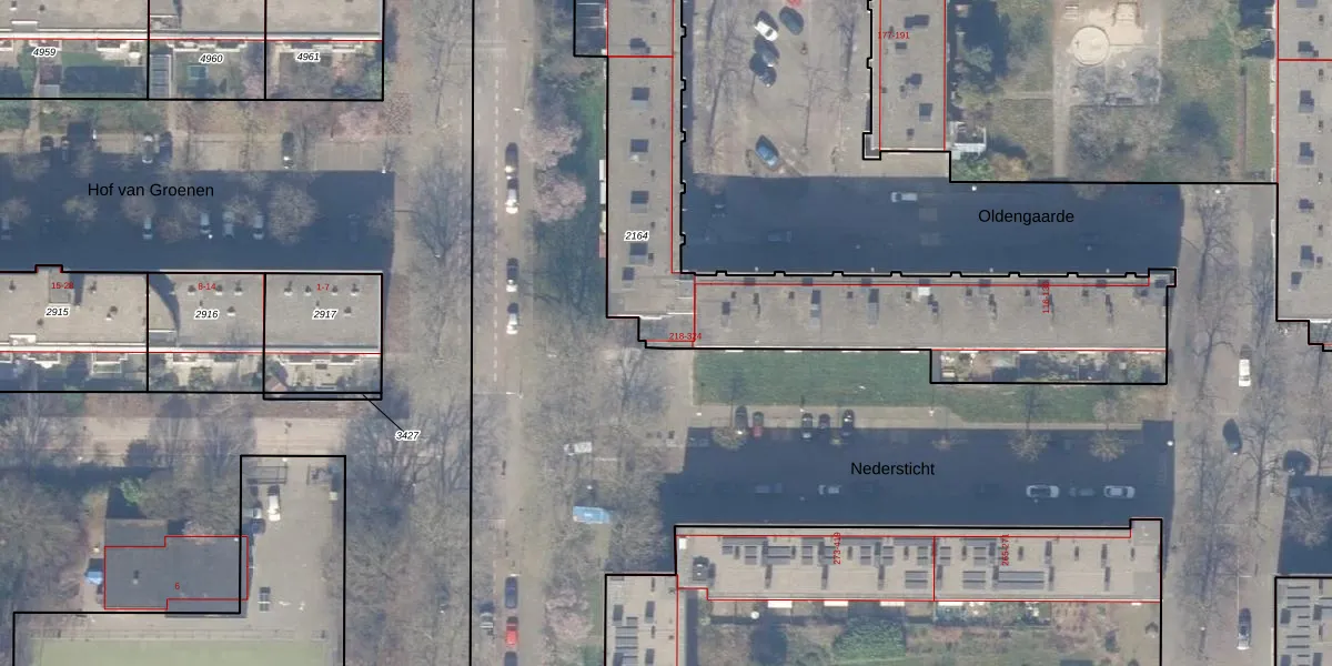
Het adres is gelegen op perceel 2164 in de sectie AK en de kadastrale gemeente Amsterdam. De kadastrale aanduiding is aldus ASD30-AK-2164. De oppervlakte van het perceel is 2106 m². Dat is groter dan gemiddeld in Amsterdam, waar de gemiddelde perceeloppervlakte op 1333,88 m² ligt. Het grootste perceel in de kadastrale gemeente is 22,2 ha. Het kleinste perceel heeft een oppervlakte van 0 m². Op het perceel liggen in totaal 72 adressen. De laatste wijziging in het de Basisregistratie Kadaster (BRK) was op 29-08-2006.
Het adres ligt in een gebouw van het type 'flatwoning (overig) met het subtype tussenmidden'. Bij de laatste meting is voor het adres het energielabel C geregistreerd. Het hoogste energielabel in de straat is A+; het laagste is G. Het gemiddelde energielabel is er B. Het adres Nedersticht 262 heeft als status: 'verblijfsobject in gebruik'. Het pand waarin dit adres ligt heeft als status: 'pand in gebruik'.
Nedersticht 262 is een adres gelegen in de gemeente Amsterdam, provincie Noord-Holland. Dit adres is geregistreerd in de Basisregistratie Adressen en Gebouwen (BAG) met als unieke identificatie 0363010000749062.
Het pand op Nedersticht 262 is gebouwd in 1963, wat betekent dat het 63 jaar oud is. Dit is een ouder pand. Het pand heeft mogelijk aanzienlijke renovaties nodig om aan de huidige standaarden te voldoen.
De woning op Nedersticht 262 heeft een gebruiksoppervlakte van 74 m². Dit is relatief klein vergeleken met de gemiddelde Nederlandse woning, die een oppervlakte heeft van ongeveer 119 m². De gebruiksoppervlakte is de maat die wordt gebruikt in de BAG-registratie, de landelijke registratie van de Nederlandse overheid.
Nedersticht 262 heeft als functie: wonen. Deze gebruiksfunctie(s) zijn vastgelegd in de BAG-registratie en geven aan waarvoor het adres officieel mag worden gebruikt.
Nedersticht 262 is gelegen op kadastraal perceel ASD30AK2164. Deze kadastrale aanduiding is uniek en wordt gebruikt door het Kadaster om eigendomsrechten en andere zakelijke rechten vast te leggen. Het perceel maakt onderdeel uit van de kadastrale gemeente Amsterdam.
Het perceel waarop Nedersticht 262 staat heeft een oppervlakte van 2106 m². Dit is een zeer groot perceel. De perceeloppervlakte wordt geregistreerd door het Kadaster. Gedetailleerde informatie over de maten van dit perceel kunt u vinden in het rapport Kadastrale kaart met maatvoering van Nedersticht 262.
De eigenaar van Nedersticht 262 is op te vragen op deze pagina.
De informatie over dit adres is afkomstig uit officiële overheidsregistraties, voornamelijk de Basisregistratie Adressen en Gebouwen (BAG) en de Basisregistratie Kadaster (BRK). Deze gegevens worden beheerd door respectievelijk gemeenten en het Kadaster, en worden regelmatig bijgewerkt. Energielabelgegevens komen uit de database van de Rijksdienst voor Ondernemend Nederland (RVO).
