
Orteliuskade 67-H is gelegen in de plaats Amsterdam, de gemeente Amsterdam en de provincie Noord-Holland. Het verblijfsobject is vergeleken met het Nederlandse gemiddelde aan de kleine kant: de oppervlakte is 54 m². Het perceel waarop het adres zich bevindt heeft een oppervlakte van 147 m². Het object is klein ten opzichte van de andere adressen in de straat. Het grootste verblijfsobject is 201 m² groot en het kleinste is 12 m². Orteliuskade 67-H bevindt zich in een pand uit het jaar 1939. Daarmee behoort het tot de groep relatief oude panden in Nederland die gebouwd zijn vóór 1965. Het nieuwste gebouw in de straat komt uit 2014 en het oudste uit 1933. Dit object is relatief oud. De volgende gebruiksdoelen zijn geregistreerd voor dit adres: 'woonfunctie'.
Deze woning is voor het laatst verkocht op 1 november 2009. Meer informatie over deze transactie? Bestel het Woningtransactierapport om de verkoopprijs en andere informatie te zien.
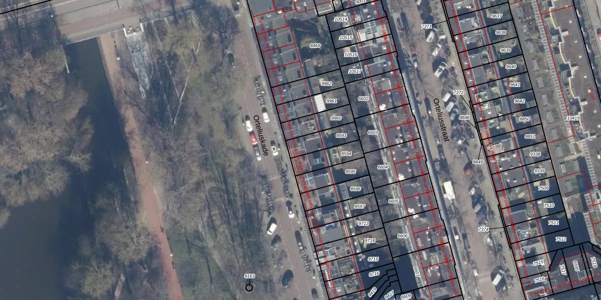
Het perceel waarop het adres ligt is STN02-C-8593. De afkorting 'STN02' staat voor kadastrale gemeente Sloten Noord-Holland. Het perceel is 147 m² groot. Dat is kleiner dan de gemiddelde perceeloppervlakte in Sloten Noord-Holland, dat op 2101,01 m² ligt. Het grootste perceel in de kadastrale gemeente is 1,05 km². Het kleinste perceel heeft een oppervlakte van 0 m². Op het perceel liggen in totaal 4 adressen. De laatste wijziging in het de Basisregistratie Kadaster (BRK) was op 29-04-2009.
Er is geen energielabel geregistreerd voor het adres. Het hoogste energielabel in de straat is A+; het laagste is G. Het gemiddelde energielabel is er C. Het adres Orteliuskade 67-H heeft als status: 'verblijfsobject in gebruik'. Het pand waarin dit adres ligt heeft als status: 'pand in gebruik'.
Orteliuskade 67-H is een adres gelegen in de gemeente Amsterdam, provincie Noord-Holland. Dit adres is geregistreerd in de Basisregistratie Adressen en Gebouwen (BAG) met als unieke identificatie 0363010000764009.
Het pand op Orteliuskade 67-H is gebouwd in 1939, wat betekent dat het 87 jaar oud is. Dit is een ouder pand. Het pand heeft mogelijk aanzienlijke renovaties nodig om aan de huidige standaarden te voldoen.
De woning op Orteliuskade 67-H heeft een gebruiksoppervlakte van 54 m². Dit is relatief klein vergeleken met de gemiddelde Nederlandse woning, die een oppervlakte heeft van ongeveer 119 m². De gebruiksoppervlakte is de maat die wordt gebruikt in de BAG-registratie, de landelijke registratie van de Nederlandse overheid.
Orteliuskade 67-H heeft als functie: wonen. Deze gebruiksfunctie(s) zijn vastgelegd in de BAG-registratie en geven aan waarvoor het adres officieel mag worden gebruikt.
Orteliuskade 67-H is gelegen op kadastraal perceel STN02C8593. Deze kadastrale aanduiding is uniek en wordt gebruikt door het Kadaster om eigendomsrechten en andere zakelijke rechten vast te leggen. Het perceel maakt onderdeel uit van de kadastrale gemeente Sloten Noord-Holland.
Het perceel waarop Orteliuskade 67-H staat heeft een oppervlakte van 147 m². Dit is een middelgroot perceel. De perceeloppervlakte wordt geregistreerd door het Kadaster. Gedetailleerde informatie over de maten van dit perceel kunt u vinden in het rapport Kadastrale kaart met maatvoering van Orteliuskade 67-H.
De eigenaar van Orteliuskade 67-H is op te vragen op deze pagina.
De informatie over dit adres is afkomstig uit officiële overheidsregistraties, voornamelijk de Basisregistratie Adressen en Gebouwen (BAG) en de Basisregistratie Kadaster (BRK). Deze gegevens worden beheerd door respectievelijk gemeenten en het Kadaster, en worden regelmatig bijgewerkt. Energielabelgegevens komen uit de database van de Rijksdienst voor Ondernemend Nederland (RVO).
