
Sallandstraat 3-2 is gelegen in de plaats Amsterdam, de gemeente Amsterdam en de provincie Noord-Holland. Het verblijfsobject is vergeleken met het Nederlandse gemiddelde aan de kleine kant: de oppervlakte is 69 m². Het perceel waarop het adres zich bevindt heeft een oppervlakte van 3067 m². Dit is het grootste verblijfsobject. Gemiddeld hebben de objecten in de straat een oppervlakte van 69 m². Het kleinste verblijfsobject is er 69 m². Het adres Sallandstraat 3-2 ligt in een relatief oud pand uit het jaar 1952. Panden van vóór het jaar 1965 hebben we hier geclassificeerd als oud. Dit pand is het meest recent exemplaar in de straat. Het oudste object komt er uit 1952 en het gemiddelde bouwjaar is 1952. Voor het verblijfsobject gelden deze gebruiksdoelen: 'woonfunctie'.
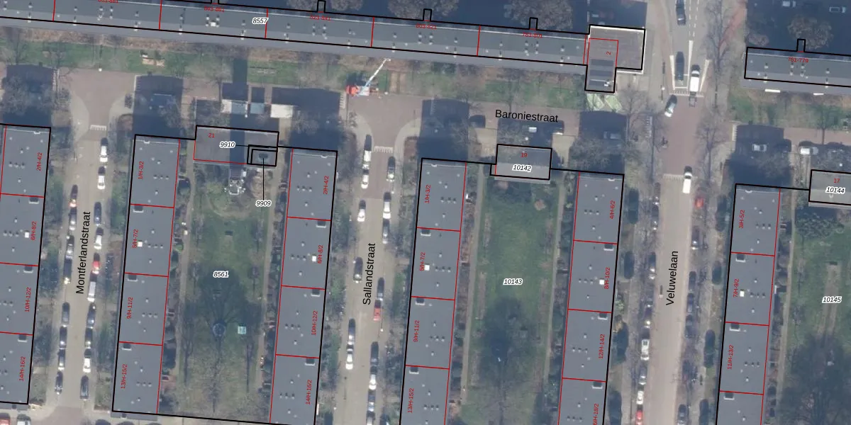
Het adres is gelegen op perceel 10143 in de sectie V en de kadastrale gemeente Amsterdam. De kadastrale aanduiding is aldus ASD18-V-10143. Het perceel is met 3067 m² relatief groot. Het gemiddelde ligt in de kadastrale gemeente Amsterdam op 558,8 m². De grootste perceeloppervlakte in de kadastrale gemeente is 12,5 ha. De kleinste oppervlakte bedraagt 0 m². Op het perceel liggen in totaal 48 adressen. De laatste wijziging in het de Basisregistratie Kadaster (BRK) was op 09-03-2010.
Er is geen energielabel geregistreerd voor het adres. Het hoogste energielabel in de straat is C; het laagste is G. Het gemiddelde energielabel is er C. Het adres Sallandstraat 3-2 heeft als status: 'verblijfsobject in gebruik'. Het pand waarin dit adres ligt heeft als status: 'pand in gebruik'.
Sallandstraat 3-2 is een adres gelegen in de gemeente Amsterdam, provincie Noord-Holland. Dit adres is geregistreerd in de Basisregistratie Adressen en Gebouwen (BAG) met als unieke identificatie 0363010000803163.
Het pand op Sallandstraat 3-2 is gebouwd in 1952, wat betekent dat het 74 jaar oud is. Dit is een ouder pand. Het pand heeft mogelijk aanzienlijke renovaties nodig om aan de huidige standaarden te voldoen.
De woning op Sallandstraat 3-2 heeft een gebruiksoppervlakte van 69 m². Dit is relatief klein vergeleken met de gemiddelde Nederlandse woning, die een oppervlakte heeft van ongeveer 119 m². De gebruiksoppervlakte is de maat die wordt gebruikt in de BAG-registratie, de landelijke registratie van de Nederlandse overheid.
Sallandstraat 3-2 heeft als functie: wonen. Deze gebruiksfunctie(s) zijn vastgelegd in de BAG-registratie en geven aan waarvoor het adres officieel mag worden gebruikt.
Sallandstraat 3-2 is gelegen op kadastraal perceel ASD18V10143. Deze kadastrale aanduiding is uniek en wordt gebruikt door het Kadaster om eigendomsrechten en andere zakelijke rechten vast te leggen. Het perceel maakt onderdeel uit van de kadastrale gemeente Amsterdam.
Het perceel waarop Sallandstraat 3-2 staat heeft een oppervlakte van 3067 m². Dit is een zeer groot perceel. De perceeloppervlakte wordt geregistreerd door het Kadaster. Gedetailleerde informatie over de maten van dit perceel kunt u vinden in het rapport Kadastrale kaart met maatvoering van Sallandstraat 3-2.
De eigenaar van Sallandstraat 3-2 is op te vragen op deze pagina.
De informatie over dit adres is afkomstig uit officiële overheidsregistraties, voornamelijk de Basisregistratie Adressen en Gebouwen (BAG) en de Basisregistratie Kadaster (BRK). Deze gegevens worden beheerd door respectievelijk gemeenten en het Kadaster, en worden regelmatig bijgewerkt. Energielabelgegevens komen uit de database van de Rijksdienst voor Ondernemend Nederland (RVO).
