
Het adres Voorsteven 102 bevindt zich in de plaats Amsterdam, in de gemeente Amsterdam en de provincie Noord-Holland. Het perceel waarop het verblijfsobject staat is 8000 m² groot. De oppervlakte van het adres is 101 m², wat zich rond het Nederlandse gemiddelde van 119 m² bevindt. Dit is het grootste verblijfsobject. Gemiddeld hebben de objecten in de straat een oppervlakte van 82 m². Het kleinste verblijfsobject is er 57 m². De meeste Nederlandse gebouwen zijn gebouwd in de periode 1965-1984. Zo ook het pand waarin Voorsteven 102 ligt, dat gebouwd is in 1977. In de straat is dit het nieuwste pand en stamt het oudste object uit het jaar 1977. Het gemiddelde bouwjaar in de straat is 1977. Voor het verblijfsobject gelden deze gebruiksdoelen: 'woonfunctie'.
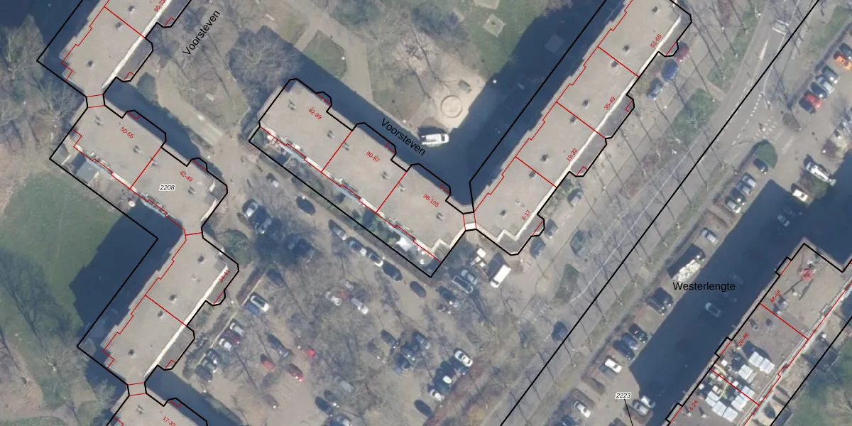
Het adres is gelegen op perceel 2208 in de sectie AQ en de kadastrale gemeente Amsterdam. De kadastrale aanduiding is aldus ASD36-AQ-2208. Het perceel is met 8000 m² relatief groot. Het gemiddelde ligt in de kadastrale gemeente Amsterdam op 2935,16 m². De grootste perceeloppervlakte in de kadastrale gemeente is 37,9 ha. De kleinste oppervlakte bedraagt 2 m². Op het perceel zijn 200 adressen aanwezig. In de Basisregistratie Kadaster (BRK) werden de grenzen van het perceel geregistreerd op 23-05-2011.
Het adres ligt in een gebouw van het type 'flatwoning (overig) met het subtype hoekvloer'. Bij de laatste meting is voor het adres het energielabel D geregistreerd. Het hoogste energielabel in de straat is A+; het laagste is G. Het gemiddelde energielabel is er C. Het adres Voorsteven 102 heeft als status: 'verblijfsobject in gebruik'. Het pand waarin dit adres ligt heeft als status: 'pand in gebruik'.
Voorsteven 102 is een adres gelegen in de gemeente Amsterdam, provincie Noord-Holland. Dit adres is geregistreerd in de Basisregistratie Adressen en Gebouwen (BAG) met als unieke identificatie 0363010000892890.
Het pand op Voorsteven 102 is gebouwd in 1977, wat betekent dat het 49 jaar oud is. Dit is een pand van middelbare leeftijd. Het pand is van gemiddelde leeftijd en zal waarschijnlijk verouderde elementen bevatten.
De woning op Voorsteven 102 heeft een gebruiksoppervlakte van 101 m². Dit is onder het gemiddelde vergeleken met de gemiddelde Nederlandse woning, die een oppervlakte heeft van ongeveer 119 m². De gebruiksoppervlakte is de maat die wordt gebruikt in de BAG-registratie, de landelijke registratie van de Nederlandse overheid.
Voorsteven 102 heeft als functie: wonen. Deze gebruiksfunctie(s) zijn vastgelegd in de BAG-registratie en geven aan waarvoor het adres officieel mag worden gebruikt.
Voorsteven 102 is gelegen op kadastraal perceel ASD36AQ2208. Deze kadastrale aanduiding is uniek en wordt gebruikt door het Kadaster om eigendomsrechten en andere zakelijke rechten vast te leggen. Het perceel maakt onderdeel uit van de kadastrale gemeente Amsterdam.
Het perceel waarop Voorsteven 102 staat heeft een oppervlakte van 8000 m². Dit is een zeer groot perceel. De perceeloppervlakte wordt geregistreerd door het Kadaster. Gedetailleerde informatie over de maten van dit perceel kunt u vinden in het rapport Kadastrale kaart met maatvoering van Voorsteven 102.
De eigenaar van Voorsteven 102 is op te vragen op deze pagina.
De informatie over dit adres is afkomstig uit officiële overheidsregistraties, voornamelijk de Basisregistratie Adressen en Gebouwen (BAG) en de Basisregistratie Kadaster (BRK). Deze gegevens worden beheerd door respectievelijk gemeenten en het Kadaster, en worden regelmatig bijgewerkt. Energielabelgegevens komen uit de database van de Rijksdienst voor Ondernemend Nederland (RVO).
