
Westerlengte 78 is gelegen in de plaats Amsterdam, de gemeente Amsterdam en de provincie Noord-Holland. De oppervlakte van het object bedraagt 95 m². Dat is klein vergeleken met het Nederlandse gemiddelde. Het perceel waarop het adres ligt is 875 m² groot. Vergeleken met de andere verblijfsobjecten in de straat is dit object groot. De oppervlakte van het grootste object in de straat is 114 m², die van het kleinste bedraagt 53 m². In Nederland komt het grootste deel van de gebouwen uit de periode 1965-1984. Ook het bouwjaar van Westerlengte 78 is afkomstig uit die periode: het betreft namelijk een pand uit 1977. In de straat komt het nieuwste gebouw uit het jaar 1979 en het oudste uit 1976. Het bouwjaar van dit object is relatief oud. Voor het verblijfsobject gelden deze gebruiksdoelen: 'woonfunctie'.
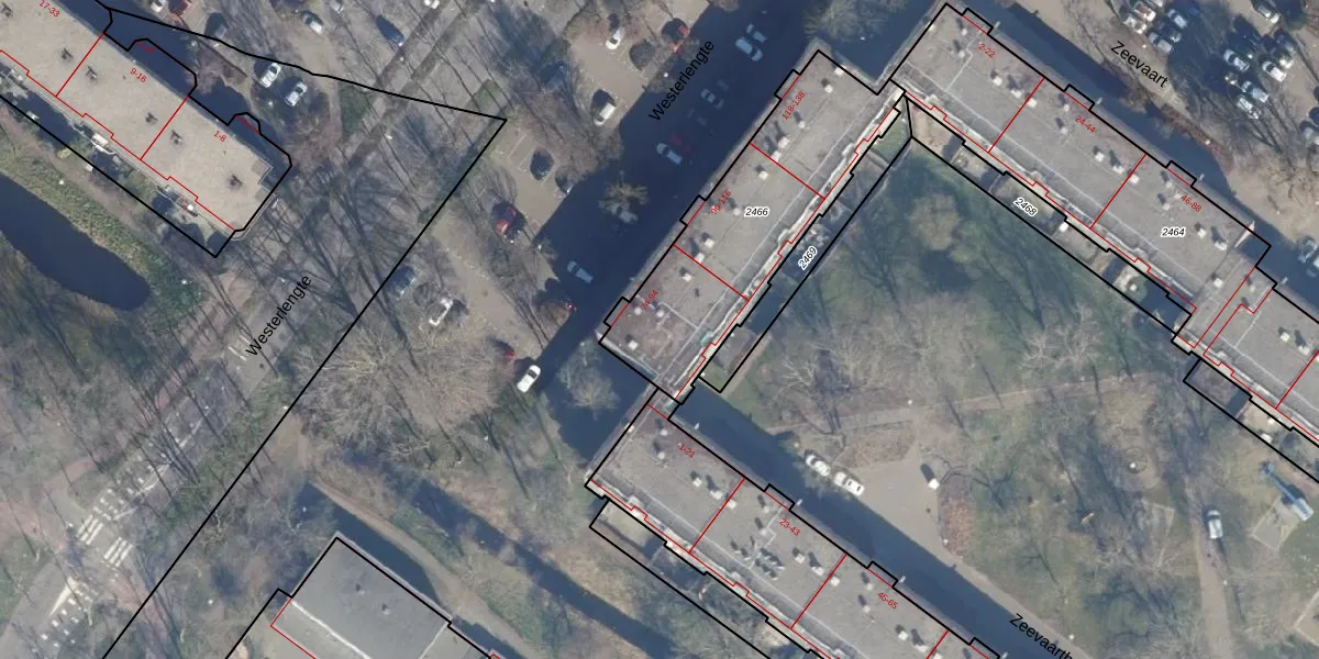
Het adres is gelegen op perceel 2466 in de sectie AQ en de kadastrale gemeente Amsterdam. De kadastrale aanduiding is aldus ASD36-AQ-2466. De gemiddelde perceelgrootte in Amsterdam is 2935,16 m². Dit perceel is kleiner: de perceeloppervlakte bedraagt 875 m². Het grootste perceel in de kadastrale gemeente is 37,9 ha. Het kleinste perceel heeft een oppervlakte van 2 m². Op het perceel zijn 33 adressen aanwezig. De laatste wijziging in het de Basisregistratie Kadaster (BRK) was op 30-12-2010.
Het adres ligt in een gebouw van het type 'flatwoning (overig) met het subtype hoekmidden'. Bij de laatste meting is voor het adres het energielabel C geregistreerd. Het hoogste energielabel in de straat is A+; het laagste is G. Het gemiddelde energielabel is er B. Het adres Westerlengte 78 heeft als status: 'verblijfsobject in gebruik'. Het pand waarin dit adres ligt heeft als status: 'pand in gebruik'.
Westerlengte 78 is een adres gelegen in de gemeente Amsterdam, provincie Noord-Holland. Dit adres is geregistreerd in de Basisregistratie Adressen en Gebouwen (BAG) met als unieke identificatie 0363010000892683.
Het pand op Westerlengte 78 is gebouwd in 1977, wat betekent dat het 49 jaar oud is. Dit is een pand van middelbare leeftijd. Het pand is van gemiddelde leeftijd en zal waarschijnlijk verouderde elementen bevatten.
De woning op Westerlengte 78 heeft een gebruiksoppervlakte van 95 m². Dit is onder het gemiddelde vergeleken met de gemiddelde Nederlandse woning, die een oppervlakte heeft van ongeveer 119 m². De gebruiksoppervlakte is de maat die wordt gebruikt in de BAG-registratie, de landelijke registratie van de Nederlandse overheid.
Westerlengte 78 heeft als functie: wonen. Deze gebruiksfunctie(s) zijn vastgelegd in de BAG-registratie en geven aan waarvoor het adres officieel mag worden gebruikt.
Westerlengte 78 is gelegen op kadastraal perceel ASD36AQ2466. Deze kadastrale aanduiding is uniek en wordt gebruikt door het Kadaster om eigendomsrechten en andere zakelijke rechten vast te leggen. Het perceel maakt onderdeel uit van de kadastrale gemeente Amsterdam.
Het perceel waarop Westerlengte 78 staat heeft een oppervlakte van 875 m². Dit is een groot perceel. De perceeloppervlakte wordt geregistreerd door het Kadaster. Gedetailleerde informatie over de maten van dit perceel kunt u vinden in het rapport Kadastrale kaart met maatvoering van Westerlengte 78.
De eigenaar van Westerlengte 78 is op te vragen op deze pagina.
De informatie over dit adres is afkomstig uit officiële overheidsregistraties, voornamelijk de Basisregistratie Adressen en Gebouwen (BAG) en de Basisregistratie Kadaster (BRK). Deze gegevens worden beheerd door respectievelijk gemeenten en het Kadaster, en worden regelmatig bijgewerkt. Energielabelgegevens komen uit de database van de Rijksdienst voor Ondernemend Nederland (RVO).
