
Het adres Molenstraat 1 bevindt zich in de plaats Angeren, in de gemeente Angeren en de provincie Gelderland. De oppervlakte bedraagt 210 m², waarmee het adres groter dan gemiddeld is. De grootte van het perceel waarop het adres ligt is 3397 m². Vergeleken met de andere verblijfsobjecten in de straat is dit object groot. De oppervlakte van het grootste object in de straat is 587 m², die van het kleinste bedraagt 64 m². Molenstraat 1 bevindt zich in een pand uit het jaar 1954. Daarmee behoort het tot de groep relatief oude panden in Nederland die gebouwd zijn vóór 1965. Veel andere gebouwen in de straat zijn ouder dan dit pand. Het oudste pand komt uit het jaar 1870 en het nieuwste uit 2018. Het verblijfsobject heeft de volgende gebruiksdoelen: 'bijeenkomstfunctie'.
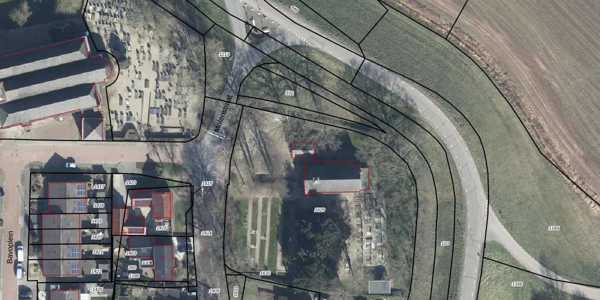
Het adres is gelegen op perceel 1629 in de sectie D en de kadastrale gemeente Angeren. De kadastrale aanduiding is aldus AGR00-D-1629. Het perceel is kleiner dan gemiddeld in Angeren. Het perceel is 3397 m² groot, terwijl het gemiddelde ligt op 4374,09 m². Het grootste perceel in de kadastrale gemeente is 25,8 ha. Het kleinste perceel heeft een oppervlakte van 0 m². Er zijn geen andere adressen aanwezig op het perceel. In de Basisregistratie Kadaster (BRK) werden de grenzen van het perceel geregistreerd op 09-04-2024.
Er is geen energielabel geregistreerd voor het adres. Het hoogste energielabel in de straat is A; het laagste is G. Het gemiddelde energielabel is er D. Het adres Molenstraat 1 heeft als status: 'verblijfsobject in gebruik'. Het pand waarin dit adres ligt heeft als status: 'pand in gebruik'.
Molenstraat 1 is een adres gelegen in de gemeente Lingewaard, provincie Gelderland. Dit adres is geregistreerd in de Basisregistratie Adressen en Gebouwen (BAG) met als unieke identificatie 1705010000019452.
Het pand op Molenstraat 1 is gebouwd in 1954, wat betekent dat het 72 jaar oud is. Dit is een ouder pand. Het pand heeft mogelijk aanzienlijke renovaties nodig om aan de huidige standaarden te voldoen.
De woning op Molenstraat 1 heeft een gebruiksoppervlakte van 210 m². Dit is ruim vergeleken met de gemiddelde Nederlandse woning, die een oppervlakte heeft van ongeveer 119 m². De gebruiksoppervlakte is de maat die wordt gebruikt in de BAG-registratie, de landelijke registratie van de Nederlandse overheid.
Molenstraat 1 heeft als functie: bijeenkomsten. Deze gebruiksfunctie(s) zijn vastgelegd in de BAG-registratie en geven aan waarvoor het adres officieel mag worden gebruikt.
Molenstraat 1 is gelegen op kadastraal perceel AGR00D1629. Deze kadastrale aanduiding is uniek en wordt gebruikt door het Kadaster om eigendomsrechten en andere zakelijke rechten vast te leggen. Het perceel maakt onderdeel uit van de kadastrale gemeente Angeren.
Het perceel waarop Molenstraat 1 staat heeft een oppervlakte van 3397 m². Dit is een zeer groot perceel. De perceeloppervlakte wordt geregistreerd door het Kadaster. Gedetailleerde informatie over de maten van dit perceel kunt u vinden in het rapport Kadastrale kaart met maatvoering van Molenstraat 1.
De eigenaar van Molenstraat 1 is op te vragen op deze pagina.
De informatie over dit adres is afkomstig uit officiële overheidsregistraties, voornamelijk de Basisregistratie Adressen en Gebouwen (BAG) en de Basisregistratie Kadaster (BRK). Deze gegevens worden beheerd door respectievelijk gemeenten en het Kadaster, en worden regelmatig bijgewerkt. Energielabelgegevens komen uit de database van de Rijksdienst voor Ondernemend Nederland (RVO).
