
Het adres Adelaarslaan 253 bevindt zich in de plaats Apeldoorn, in de gemeente Apeldoorn en de provincie Gelderland. Het verblijfsobject is vergeleken met het Nederlandse gemiddelde aan de kleine kant: de oppervlakte is 72 m². Het perceel waarop het adres zich bevindt heeft een oppervlakte van 2607 m². Het adres is klein vergeleken met andere objecten in de straat. Het grootste object in de straat heeft een oppervlakte van 1005 m², het kleinste is 16 m² groot. Het adres Adelaarslaan 253 ligt in een relatief oud pand uit het jaar 1964. Panden van vóór het jaar 1965 hebben we hier geclassificeerd als oud. Het nieuwste gebouw in de straat komt uit 2026 en het oudste uit 1924. Dit object is relatief oud. De volgende gebruiksdoelen zijn geregistreerd voor dit adres: 'woonfunctie'.
Deze woning is voor het laatst verkocht op 1 januari 2009. Meer informatie over deze transactie? Bestel het Woningtransactierapport om de verkoopprijs en andere informatie te zien.
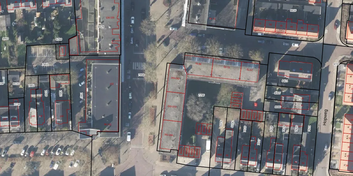
Het adres ligt op het perceel APD01-N-7296, dat zich in de kadastrale gemeente Apeldoorn bevindt. Het perceel is 2607 m² groot. Dat is kleiner dan de gemiddelde perceeloppervlakte in Apeldoorn, dat op 3523,22 m² ligt. De grootste perceeloppervlakte in de kadastrale gemeente is 4,54 km². De kleinste oppervlakte bedraagt 0 m². Op het perceel liggen in totaal 58 adressen. In de Basisregistratie Kadaster (BRK) werden de grenzen van het perceel geregistreerd op 27-03-2000.
Er is geen energielabel geregistreerd voor het adres. Het hoogste energielabel in de straat is A++++; het laagste is G. Het gemiddelde energielabel is er B. Het adres Adelaarslaan 253 heeft als status: 'verblijfsobject in gebruik'. Het pand waarin dit adres ligt heeft als status: 'pand in gebruik'.
Adelaarslaan 253 is een adres gelegen in de gemeente Apeldoorn, provincie Gelderland. Dit adres is geregistreerd in de Basisregistratie Adressen en Gebouwen (BAG) met als unieke identificatie 0200010000006291.
Het pand op Adelaarslaan 253 is gebouwd in 1964, wat betekent dat het 62 jaar oud is. Dit is een ouder pand. Het pand heeft mogelijk aanzienlijke renovaties nodig om aan de huidige standaarden te voldoen.
De woning op Adelaarslaan 253 heeft een gebruiksoppervlakte van 72 m². Dit is relatief klein vergeleken met de gemiddelde Nederlandse woning, die een oppervlakte heeft van ongeveer 119 m². De gebruiksoppervlakte is de maat die wordt gebruikt in de BAG-registratie, de landelijke registratie van de Nederlandse overheid.
Adelaarslaan 253 heeft als functie: wonen. Deze gebruiksfunctie(s) zijn vastgelegd in de BAG-registratie en geven aan waarvoor het adres officieel mag worden gebruikt.
Adelaarslaan 253 is gelegen op kadastraal perceel APD01N7296. Deze kadastrale aanduiding is uniek en wordt gebruikt door het Kadaster om eigendomsrechten en andere zakelijke rechten vast te leggen. Het perceel maakt onderdeel uit van de kadastrale gemeente Apeldoorn.
Het perceel waarop Adelaarslaan 253 staat heeft een oppervlakte van 2607 m². Dit is een zeer groot perceel. De perceeloppervlakte wordt geregistreerd door het Kadaster. Gedetailleerde informatie over de maten van dit perceel kunt u vinden in het rapport Kadastrale kaart met maatvoering van Adelaarslaan 253.
De eigenaar van Adelaarslaan 253 is op te vragen op deze pagina.
De informatie over dit adres is afkomstig uit officiële overheidsregistraties, voornamelijk de Basisregistratie Adressen en Gebouwen (BAG) en de Basisregistratie Kadaster (BRK). Deze gegevens worden beheerd door respectievelijk gemeenten en het Kadaster, en worden regelmatig bijgewerkt. Energielabelgegevens komen uit de database van de Rijksdienst voor Ondernemend Nederland (RVO).
