
Arnhemseweg 368 is gelegen in de plaats Apeldoorn, de gemeente Apeldoorn en de provincie Gelderland. Het object heeft een oppervlakte van 243 m², wat relatief groot is. Het perceel waarop het adres ligt is 1070 m² groot. De oppervlakte van dit adres is groot vergeleken met de oppervlaktes van andere adressen in de straat. De kleinste oppervlakte bedraagt er 9 m², de grootste 8199 m². Het pand waarin Arnhemseweg 368 ligt is gebouwd in het jaar 2002. Panden die gebouwd zijn na het jaar 1984 noemen we hier relatief nieuw. Vergeleken met de andere panden in de straat is dit gebouw nieuw. Het vroegste bouwjaar is er 1843 en het laatste is 2024. De volgende gebruiksdoelen zijn geregistreerd voor dit adres: 'woonfunctie'.
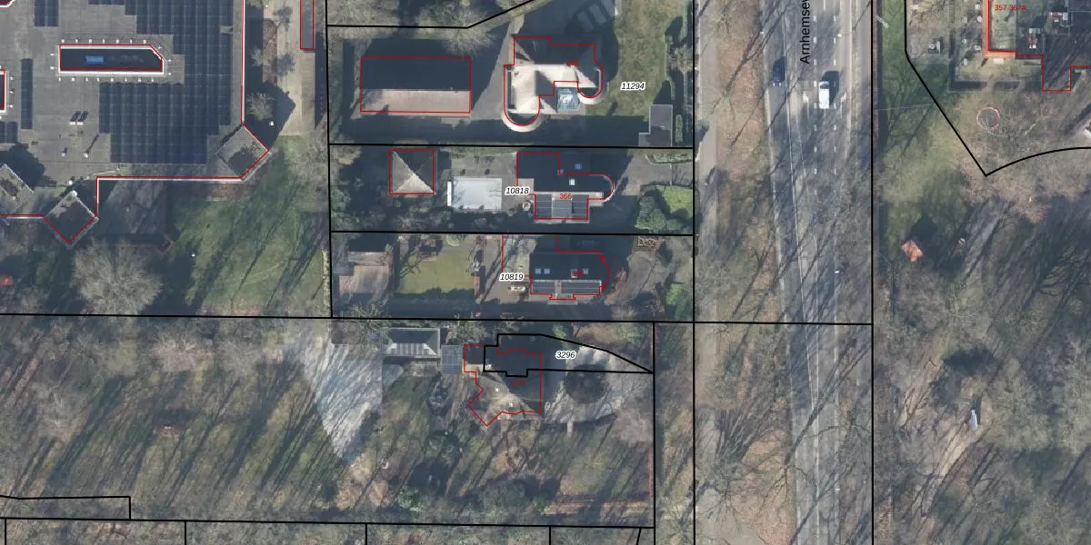
Het adres ligt op het perceel APD01-L-10819, dat zich in de kadastrale gemeente Apeldoorn bevindt. Het perceel is 1070 m² groot. Dat is kleiner dan de gemiddelde perceeloppervlakte in Apeldoorn, dat op 3523,39 m² ligt. Het kleinste perceel in de kadastrale gemeente is 0 m² groot. De grootste perceeloppervlakte is 4,54 km². Dit is het enige adres dat aanwezig is op het perceel. De laatste wijziging in het de Basisregistratie Kadaster (BRK) was op 16-05-2008.
Het adres ligt in een gebouw van het type 'vrijstaande woning'. Bij de laatste meting is voor het adres het energielabel A geregistreerd. Het hoogste energielabel in de straat is A++++; het laagste is G. Het gemiddelde energielabel is er C. Het adres Arnhemseweg 368 heeft als status: 'verblijfsobject in gebruik'. Het pand waarin dit adres ligt heeft als status: 'pand in gebruik'.
Arnhemseweg 368 is een adres gelegen in de gemeente Apeldoorn, provincie Gelderland. Dit adres is geregistreerd in de Basisregistratie Adressen en Gebouwen (BAG) met als unieke identificatie 0200010000015226.
Het pand op Arnhemseweg 368 is gebouwd in 2002, wat betekent dat het 24 jaar oud is. Dit is een relatief modern pand. Ten opzichte van de nationale woningvoorraad is het pand relatief modern, maar er kunnen enkele verouderde elementen zijn die aandacht nodig hebben.
De woning op Arnhemseweg 368 heeft een gebruiksoppervlakte van 243 m². Dit is ruim vergeleken met de gemiddelde Nederlandse woning, die een oppervlakte heeft van ongeveer 119 m². De gebruiksoppervlakte is de maat die wordt gebruikt in de BAG-registratie, de landelijke registratie van de Nederlandse overheid.
Arnhemseweg 368 heeft als functie: wonen. Deze gebruiksfunctie(s) zijn vastgelegd in de BAG-registratie en geven aan waarvoor het adres officieel mag worden gebruikt.
Arnhemseweg 368 is gelegen op kadastraal perceel APD01L10819. Deze kadastrale aanduiding is uniek en wordt gebruikt door het Kadaster om eigendomsrechten en andere zakelijke rechten vast te leggen. Het perceel maakt onderdeel uit van de kadastrale gemeente Apeldoorn.
Het perceel waarop Arnhemseweg 368 staat heeft een oppervlakte van 1070 m². Dit is een zeer groot perceel. De perceeloppervlakte wordt geregistreerd door het Kadaster. Gedetailleerde informatie over de maten van dit perceel kunt u vinden in het rapport Kadastrale kaart met maatvoering van Arnhemseweg 368.
De eigenaar van Arnhemseweg 368 is op te vragen op deze pagina.
De informatie over dit adres is afkomstig uit officiële overheidsregistraties, voornamelijk de Basisregistratie Adressen en Gebouwen (BAG) en de Basisregistratie Kadaster (BRK). Deze gegevens worden beheerd door respectievelijk gemeenten en het Kadaster, en worden regelmatig bijgewerkt. Energielabelgegevens komen uit de database van de Rijksdienst voor Ondernemend Nederland (RVO).
