
Hofstraat 131-B is een adres in Apeldoorn, dat zich bevindt binnen de gemeentegrenzen van Apeldoorn en de grenzen van de provincie Gelderland. De oppervlakte van het object bedraagt 70 m². Dat is klein vergeleken met het Nederlandse gemiddelde. Het perceel waarop het adres ligt is 1698 m² groot. Het object is klein ten opzichte van de andere adressen in de straat. Het grootste verblijfsobject is 8870 m² groot en het kleinste is 15 m². In Nederland komt het grootste deel van de gebouwen uit de periode 1965-1984. Ook het bouwjaar van Hofstraat 131-B is afkomstig uit die periode: het betreft namelijk een pand uit 1984. Veel andere gebouwen in de straat zijn ouder dan dit pand. Het oudste pand komt uit het jaar 1955 en het nieuwste uit 1987. De volgende gebruiksdoelen zijn geregistreerd voor dit adres: 'woonfunctie'.
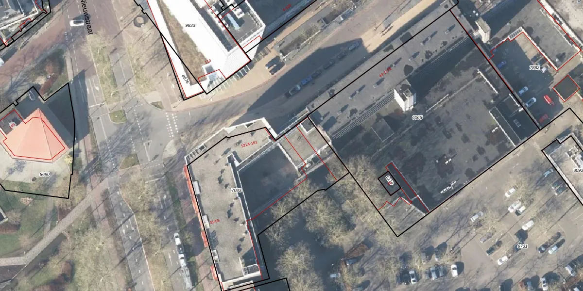
Het perceel waarop het adres ligt is APD01-U-7083. De afkorting 'APD01' staat voor kadastrale gemeente Apeldoorn. Het perceel is 1698 m² groot. Dat is kleiner dan de gemiddelde perceeloppervlakte in Apeldoorn, dat op 3523,3 m² ligt. Het grootste perceel in de kadastrale gemeente is 4,54 km². Het kleinste perceel heeft een oppervlakte van 0 m². Op het perceel zijn 37 adressen aanwezig. De huidige grenzen van het perceel zijn digitaal in de Basisregistratie Kadaster (BRK) geregistreerd op 19-12-2000.
Het adres ligt in een gebouw van het type 'appartement met het subtype hoekmidden'. Bij de laatste meting is voor het adres het energielabel A geregistreerd. Het hoogste energielabel in de straat is A+++; het laagste is G. Het gemiddelde energielabel is er C. Het adres Hofstraat 131-B heeft als status: 'verblijfsobject in gebruik'. Het pand waarin dit adres ligt heeft als status: 'pand in gebruik'.
Hofstraat 131-B is een adres gelegen in de gemeente Apeldoorn, provincie Gelderland. Dit adres is geregistreerd in de Basisregistratie Adressen en Gebouwen (BAG) met als unieke identificatie 0200010003931099.
Het pand op Hofstraat 131-B is gebouwd in 1984, wat betekent dat het 42 jaar oud is. Dit is een pand van middelbare leeftijd. Het pand is van gemiddelde leeftijd en zal waarschijnlijk verouderde elementen bevatten.
De woning op Hofstraat 131-B heeft een gebruiksoppervlakte van 70 m². Dit is relatief klein vergeleken met de gemiddelde Nederlandse woning, die een oppervlakte heeft van ongeveer 119 m². De gebruiksoppervlakte is de maat die wordt gebruikt in de BAG-registratie, de landelijke registratie van de Nederlandse overheid.
Hofstraat 131-B heeft als functie: wonen. Deze gebruiksfunctie(s) zijn vastgelegd in de BAG-registratie en geven aan waarvoor het adres officieel mag worden gebruikt.
Hofstraat 131-B is gelegen op kadastraal perceel APD01U7083. Deze kadastrale aanduiding is uniek en wordt gebruikt door het Kadaster om eigendomsrechten en andere zakelijke rechten vast te leggen. Het perceel maakt onderdeel uit van de kadastrale gemeente Apeldoorn.
Het perceel waarop Hofstraat 131-B staat heeft een oppervlakte van 1698 m². Dit is een zeer groot perceel. De perceeloppervlakte wordt geregistreerd door het Kadaster. Gedetailleerde informatie over de maten van dit perceel kunt u vinden in het rapport Kadastrale kaart met maatvoering van Hofstraat 131-B.
De eigenaar van Hofstraat 131-B is op te vragen op deze pagina.
De informatie over dit adres is afkomstig uit officiële overheidsregistraties, voornamelijk de Basisregistratie Adressen en Gebouwen (BAG) en de Basisregistratie Kadaster (BRK). Deze gegevens worden beheerd door respectievelijk gemeenten en het Kadaster, en worden regelmatig bijgewerkt. Energielabelgegevens komen uit de database van de Rijksdienst voor Ondernemend Nederland (RVO).
