
Jasmijnlaan 11 is een adres in Apeldoorn, dat zich bevindt binnen de gemeentegrenzen van Apeldoorn en de grenzen van de provincie Gelderland. De oppervlakte bedraagt 247 m², waarmee het adres groter dan gemiddeld is. De grootte van het perceel waarop het adres ligt is 880 m². De oppervlakte van het adres is klein vergeleken met de andere objecten in de straat. De oppervlakte van het kleinste object in de straat bedraagt 149 m², terwijl het grootste object 441 m² groot is. In Nederland komt het grootste deel van de gebouwen uit de periode 1965-1984. Ook het bouwjaar van Jasmijnlaan 11 is afkomstig uit die periode: het betreft namelijk een pand uit 1977. In de straat komt het nieuwste gebouw uit het jaar 1979 en het oudste uit 1976. Het bouwjaar van dit object is relatief oud. Voor het verblijfsobject gelden deze gebruiksdoelen: 'woonfunctie'.
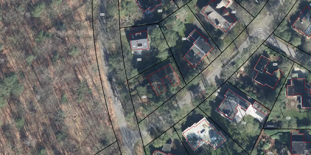
Het adres is gelegen op perceel 873 in de sectie S en de kadastrale gemeente Hoog Soeren. De kadastrale aanduiding is aldus SRN00-S-873. De gemiddelde perceelgrootte in Hoog Soeren is 8514,25 m². Dit perceel is kleiner: de perceeloppervlakte bedraagt 880 m². Het grootste perceel in de kadastrale gemeente is 1,57 km². Het kleinste perceel heeft een oppervlakte van 0 m². Er zijn geen andere adressen aanwezig op het perceel. De huidige grenzen van het perceel zijn digitaal in de Basisregistratie Kadaster (BRK) geregistreerd op 13-08-1999.
Er is geen energielabel geregistreerd voor het adres. Het hoogste energielabel in de straat is G; het laagste is G. Het gemiddelde energielabel is er G. Het adres Jasmijnlaan 11 heeft als status: 'verblijfsobject in gebruik'. Het pand waarin dit adres ligt heeft als status: 'pand in gebruik'.
Jasmijnlaan 11 is een adres gelegen in de gemeente Apeldoorn, provincie Gelderland. Dit adres is geregistreerd in de Basisregistratie Adressen en Gebouwen (BAG) met als unieke identificatie 0200010000104001.
Het pand op Jasmijnlaan 11 is gebouwd in 1977, wat betekent dat het 49 jaar oud is. Dit is een pand van middelbare leeftijd. Het pand is van gemiddelde leeftijd en zal waarschijnlijk verouderde elementen bevatten.
De woning op Jasmijnlaan 11 heeft een gebruiksoppervlakte van 247 m². Dit is ruim vergeleken met de gemiddelde Nederlandse woning, die een oppervlakte heeft van ongeveer 119 m². De gebruiksoppervlakte is de maat die wordt gebruikt in de BAG-registratie, de landelijke registratie van de Nederlandse overheid.
Jasmijnlaan 11 heeft als functie: wonen. Deze gebruiksfunctie(s) zijn vastgelegd in de BAG-registratie en geven aan waarvoor het adres officieel mag worden gebruikt.
Jasmijnlaan 11 is gelegen op kadastraal perceel SRN00S873. Deze kadastrale aanduiding is uniek en wordt gebruikt door het Kadaster om eigendomsrechten en andere zakelijke rechten vast te leggen. Het perceel maakt onderdeel uit van de kadastrale gemeente Hoog Soeren.
Het perceel waarop Jasmijnlaan 11 staat heeft een oppervlakte van 880 m². Dit is een groot perceel. De perceeloppervlakte wordt geregistreerd door het Kadaster. Gedetailleerde informatie over de maten van dit perceel kunt u vinden in het rapport Kadastrale kaart met maatvoering van Jasmijnlaan 11.
De eigenaar van Jasmijnlaan 11 is op te vragen op deze pagina.
De informatie over dit adres is afkomstig uit officiële overheidsregistraties, voornamelijk de Basisregistratie Adressen en Gebouwen (BAG) en de Basisregistratie Kadaster (BRK). Deze gegevens worden beheerd door respectievelijk gemeenten en het Kadaster, en worden regelmatig bijgewerkt. Energielabelgegevens komen uit de database van de Rijksdienst voor Ondernemend Nederland (RVO).
