
Uraniumweg 4 is gelegen in de plaats Apeldoorn, de gemeente Apeldoorn en de provincie Gelderland. Het perceel waarop het adres gelegen is heeft een oppervlakte van 3230 m². Het verblijfsobject is met 64 m² relatief klein. Dit is het grootste verblijfsobject. Gemiddeld hebben de objecten in de straat een oppervlakte van 59 m². Het kleinste verblijfsobject is er 53 m². Het gebouw waarin Uraniumweg 4 ligt komt uit het jaar 1957. Objecten die gebouwd zijn vóór 1965 classificeren we hier als oud. Het gemiddelde bouwjaar in de straat is 1957 en dat van het oudste pand is 1957. Dit is het nieuwste object in de straat. De volgende gebruiksdoelen zijn geregistreerd voor dit adres: 'woonfunctie'.
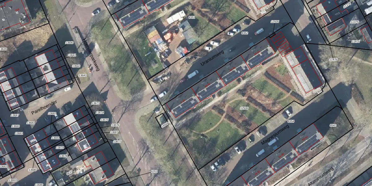
Het adres is gelegen op perceel 12506 in de sectie L en de kadastrale gemeente Apeldoorn. De kadastrale aanduiding is aldus APD01-L-12506. Het perceel is 3230 m² groot. Dat is kleiner dan de gemiddelde perceeloppervlakte in Apeldoorn, dat op 3524,02 m² ligt. Het kleinste perceel in de kadastrale gemeente is 0 m² groot. De grootste perceeloppervlakte is 4,54 km². Er zijn 42 adressen aanwezig op het perceel. De laatste wijziging in het de Basisregistratie Kadaster (BRK) was op 11-09-2008.
Het adres ligt in een gebouw van het type 'appartement met het subtype hoekmidden'. Bij de laatste meting is voor het adres het energielabel A geregistreerd. Het hoogste energielabel in de straat is A+; het laagste is G. Het gemiddelde energielabel is er A+. Het adres Uraniumweg 4 heeft als status: 'verblijfsobject in gebruik'. Het pand waarin dit adres ligt heeft als status: 'pand in gebruik'.
Uraniumweg 4 is een adres gelegen in de gemeente Apeldoorn, provincie Gelderland. Dit adres is geregistreerd in de Basisregistratie Adressen en Gebouwen (BAG) met als unieke identificatie 0200010000206667.
Het pand op Uraniumweg 4 is gebouwd in 1957, wat betekent dat het 69 jaar oud is. Dit is een ouder pand. Het pand heeft mogelijk aanzienlijke renovaties nodig om aan de huidige standaarden te voldoen.
De woning op Uraniumweg 4 heeft een gebruiksoppervlakte van 64 m². Dit is relatief klein vergeleken met de gemiddelde Nederlandse woning, die een oppervlakte heeft van ongeveer 119 m². De gebruiksoppervlakte is de maat die wordt gebruikt in de BAG-registratie, de landelijke registratie van de Nederlandse overheid.
Uraniumweg 4 heeft als functie: wonen. Deze gebruiksfunctie(s) zijn vastgelegd in de BAG-registratie en geven aan waarvoor het adres officieel mag worden gebruikt.
Uraniumweg 4 is gelegen op kadastraal perceel APD01L12506. Deze kadastrale aanduiding is uniek en wordt gebruikt door het Kadaster om eigendomsrechten en andere zakelijke rechten vast te leggen. Het perceel maakt onderdeel uit van de kadastrale gemeente Apeldoorn.
Het perceel waarop Uraniumweg 4 staat heeft een oppervlakte van 3230 m². Dit is een zeer groot perceel. De perceeloppervlakte wordt geregistreerd door het Kadaster. Gedetailleerde informatie over de maten van dit perceel kunt u vinden in het rapport Kadastrale kaart met maatvoering van Uraniumweg 4.
De eigenaar van Uraniumweg 4 is op te vragen op deze pagina.
De informatie over dit adres is afkomstig uit officiële overheidsregistraties, voornamelijk de Basisregistratie Adressen en Gebouwen (BAG) en de Basisregistratie Kadaster (BRK). Deze gegevens worden beheerd door respectievelijk gemeenten en het Kadaster, en worden regelmatig bijgewerkt. Energielabelgegevens komen uit de database van de Rijksdienst voor Ondernemend Nederland (RVO).
