
Heerdlaan 23-a is een adres in Appingedam, dat zich bevindt binnen de gemeentegrenzen van Appingedam en de grenzen van de provincie Groningen. Het perceel waarop het adres gelegen is heeft een oppervlakte van 2,5 ha. Het verblijfsobject is met 50 m² relatief klein. Het object is klein ten opzichte van de andere adressen in de straat. Het grootste verblijfsobject is 1560 m² groot en het kleinste is 12 m². In Nederland komt het grootste deel van de gebouwen uit de periode 1965-1984. Ook het bouwjaar van Heerdlaan 23-a is afkomstig uit die periode: het betreft namelijk een pand uit 1968. Het gemiddelde bouwjaar in de straat is 1975 en dat van het nieuwste object 1993. In de straat is dit het oudste pand. Het verblijfsobject heeft de volgende gebruiksdoelen: 'woonfunctie'.
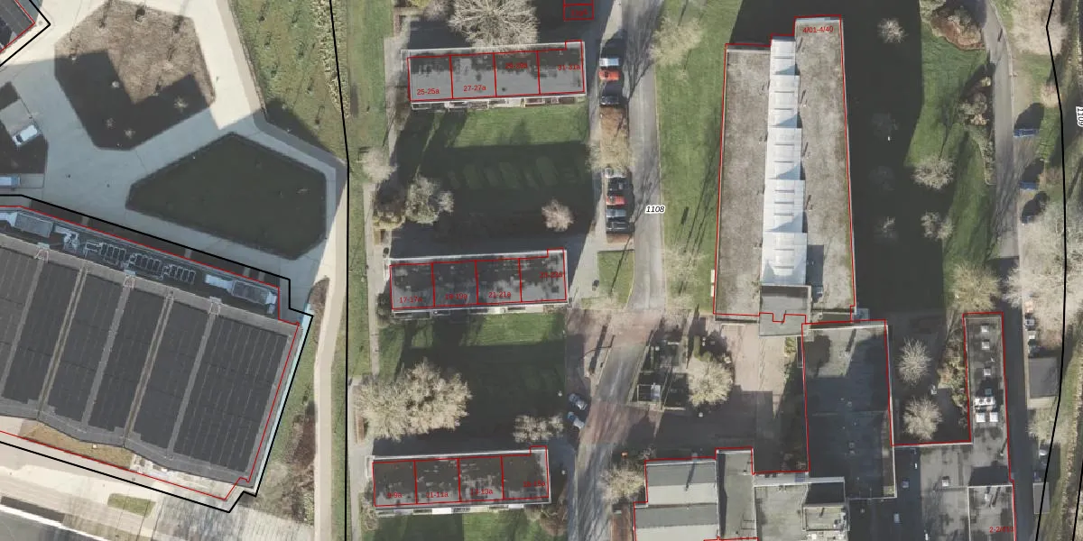
Het perceel waarop het adres ligt is APG00-E-1108. De afkorting 'APG00' staat voor kadastrale gemeente Appingedam. De gemiddelde perceeloppervlakte in de kadastrale gemeente Appingedam is 4085,42 m². Dit perceel is met zijn 2,5 ha dus groter dan gemiddeld. Het grootste perceel in de kadastrale gemeente is 37,3 ha. Het kleinste perceel heeft een oppervlakte van 0 m². Er zijn 160 adressen aanwezig op het perceel. De huidige grenzen van het perceel zijn digitaal in de Basisregistratie Kadaster (BRK) geregistreerd op 13-11-2000.
Het adres ligt in een gebouw van het type 'appartement met het subtype hoekdak'. Bij de laatste meting is voor het adres het energielabel F geregistreerd. Het hoogste energielabel in de straat is C; het laagste is G. Het gemiddelde energielabel is er D. Het adres Heerdlaan 23-a heeft als status: 'verblijfsobject in gebruik'. Het pand waarin dit adres ligt heeft als status: 'pand in gebruik'.
Heerdlaan 23-a is een adres gelegen in de gemeente Eemsdelta, provincie Groningen. Dit adres is geregistreerd in de Basisregistratie Adressen en Gebouwen (BAG) met als unieke identificatie 0003010000126682.
Het pand op Heerdlaan 23-a is gebouwd in 1968, wat betekent dat het 58 jaar oud is. Dit is een ouder pand. Het pand heeft mogelijk aanzienlijke renovaties nodig om aan de huidige standaarden te voldoen.
De woning op Heerdlaan 23-a heeft een gebruiksoppervlakte van 50 m². Dit is relatief klein vergeleken met de gemiddelde Nederlandse woning, die een oppervlakte heeft van ongeveer 119 m². De gebruiksoppervlakte is de maat die wordt gebruikt in de BAG-registratie, de landelijke registratie van de Nederlandse overheid.
Heerdlaan 23-a heeft als functie: wonen. Deze gebruiksfunctie(s) zijn vastgelegd in de BAG-registratie en geven aan waarvoor het adres officieel mag worden gebruikt.
Heerdlaan 23-a is gelegen op kadastraal perceel APG00E1108. Deze kadastrale aanduiding is uniek en wordt gebruikt door het Kadaster om eigendomsrechten en andere zakelijke rechten vast te leggen. Het perceel maakt onderdeel uit van de kadastrale gemeente Appingedam.
Het perceel waarop Heerdlaan 23-a staat heeft een oppervlakte van 2,5 ha. Dit is een zeer groot perceel. De perceeloppervlakte wordt geregistreerd door het Kadaster. Gedetailleerde informatie over de maten van dit perceel kunt u vinden in het rapport Kadastrale kaart met maatvoering van Heerdlaan 23-a.
De eigenaar van Heerdlaan 23-a is op te vragen op deze pagina.
De informatie over dit adres is afkomstig uit officiële overheidsregistraties, voornamelijk de Basisregistratie Adressen en Gebouwen (BAG) en de Basisregistratie Kadaster (BRK). Deze gegevens worden beheerd door respectievelijk gemeenten en het Kadaster, en worden regelmatig bijgewerkt. Energielabelgegevens komen uit de database van de Rijksdienst voor Ondernemend Nederland (RVO).
