
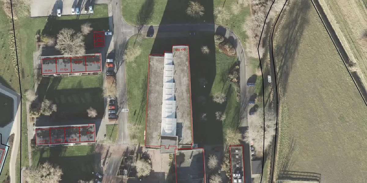
Heerdlaan 4-28 is een adres in Appingedam, dat zich bevindt binnen de gemeentegrenzen van Appingedam en de grenzen van de provincie Groningen. De oppervlakte van het object bedraagt 78 m². Dat is klein vergeleken met het Nederlandse gemiddelde. Het perceel waarop het adres ligt is 2,5 ha groot. In vergelijking met de andere adressen in de straat is de oppervlakte van dit object relatief groot. Het grootste verblijfsobject heeft een oppervlakte van 1560 m², de oppervlakte van het kleinste object bedraagt 12 m². Het pand waarin Heerdlaan 4-28 ligt is gebouwd in het jaar 1993. Panden die gebouwd zijn na het jaar 1984 noemen we hier relatief nieuw. In de straat is dit het nieuwste pand en stamt het oudste object uit het jaar 1968. Het gemiddelde bouwjaar in de straat is 1975. Het verblijfsobject heeft de volgende gebruiksdoelen: 'woonfunctie' en 'gezondheidszorgfunctie'.
Het perceel waarop het adres ligt is APG00-E-1108. De afkorting 'APG00' staat voor kadastrale gemeente Appingedam. De gemiddelde perceeloppervlakte in de kadastrale gemeente Appingedam is 4085,42 m². Dit perceel is met zijn 2,5 ha dus groter dan gemiddeld. Het kleinste perceel in de kadastrale gemeente is 0 m² groot. De grootste perceeloppervlakte is 37,3 ha. Op het perceel zijn 160 adressen aanwezig. De huidige grenzen van het perceel zijn digitaal in de Basisregistratie Kadaster (BRK) geregistreerd op 13-11-2000.
Het adres ligt in een gebouw van het type 'appartement met het subtype tussenmidden'. Bij de laatste meting is voor het adres het energielabel C geregistreerd. Het hoogste energielabel in de straat is C; het laagste is G. Het gemiddelde energielabel is er D. Het adres Heerdlaan 4-28 heeft als status: 'verblijfsobject in gebruik'. Het pand waarin dit adres ligt heeft als status: 'pand in gebruik'.
Heerdlaan 4-28 is een adres gelegen in de gemeente Eemsdelta, provincie Groningen. Dit adres is geregistreerd in de Basisregistratie Adressen en Gebouwen (BAG) met als unieke identificatie 0003010000126131.
Het pand op Heerdlaan 4-28 is gebouwd in 1993, wat betekent dat het 33 jaar oud is. Dit is een pand van middelbare leeftijd. Het pand is van gemiddelde leeftijd en zal waarschijnlijk verouderde elementen bevatten.
De woning op Heerdlaan 4-28 heeft een gebruiksoppervlakte van 78 m². Dit is onder het gemiddelde vergeleken met de gemiddelde Nederlandse woning, die een oppervlakte heeft van ongeveer 119 m². De gebruiksoppervlakte is de maat die wordt gebruikt in de BAG-registratie, de landelijke registratie van de Nederlandse overheid.
Heerdlaan 4-28 heeft als functie: wonen en gezondheidszorg. Deze gebruiksfunctie(s) zijn vastgelegd in de BAG-registratie en geven aan waarvoor het adres officieel mag worden gebruikt.
Heerdlaan 4-28 is gelegen op kadastraal perceel APG00E1108. Deze kadastrale aanduiding is uniek en wordt gebruikt door het Kadaster om eigendomsrechten en andere zakelijke rechten vast te leggen. Het perceel maakt onderdeel uit van de kadastrale gemeente Appingedam.
Het perceel waarop Heerdlaan 4-28 staat heeft een oppervlakte van 2,5 ha. Dit is een zeer groot perceel. De perceeloppervlakte wordt geregistreerd door het Kadaster. Gedetailleerde informatie over de maten van dit perceel kunt u vinden in het rapport Kadastrale kaart met maatvoering van Heerdlaan 4-28.
De eigenaar van Heerdlaan 4-28 is op te vragen op deze pagina.
De informatie over dit adres is afkomstig uit officiële overheidsregistraties, voornamelijk de Basisregistratie Adressen en Gebouwen (BAG) en de Basisregistratie Kadaster (BRK). Deze gegevens worden beheerd door respectievelijk gemeenten en het Kadaster, en worden regelmatig bijgewerkt. Energielabelgegevens komen uit de database van de Rijksdienst voor Ondernemend Nederland (RVO).
