
Lingsforterweg 8008 is een adres in Arcen, dat zich bevindt binnen de gemeentegrenzen van Arcen en de grenzen van de provincie Limburg. Het verblijfsobject is vergeleken met het Nederlandse gemiddelde aan de kleine kant: de oppervlakte is 19 m². Het perceel waarop het adres zich bevindt heeft een oppervlakte van 9020 m². Het object is klein ten opzichte van de andere adressen in de straat. Het grootste verblijfsobject is 2175 m² groot en het kleinste is 10 m². In het jaar 2009 is het pand waarin Lingsforterweg 8008 ligt gebouwd. Dat is relatief recent: de meeste gebouwen in Nederland zijn gebouwd in de periode 1965-1984. Dit object is relatief nieuw in de straat. Het nieuwste gebouw komt er uit het jaar 2025 en het oudste uit het jaar 1653. Voor het verblijfsobject gelden deze gebruiksdoelen: 'overige gebruiksfunctie'.
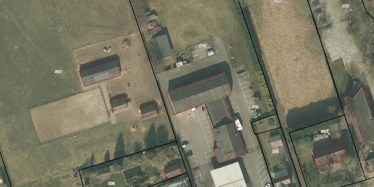
Het perceel waarop het adres ligt is ACN00-A-5922. De afkorting 'ACN00' staat voor kadastrale gemeente Arcen en Velden. Het perceel is met 9020 m² relatief groot. Het gemiddelde ligt in de kadastrale gemeente Arcen en Velden op 4167,58 m². De grootste perceeloppervlakte in de kadastrale gemeente is 41,8 ha. De kleinste oppervlakte bedraagt 0 m². Op het perceel liggen in totaal 16 adressen. De huidige grenzen van het perceel zijn digitaal in de Basisregistratie Kadaster (BRK) geregistreerd op 22-06-2011.
Er is geen energielabel geregistreerd voor het adres. Het hoogste energielabel in de straat is A++++; het laagste is G. Het gemiddelde energielabel is er C. Het adres Lingsforterweg 8008 heeft als status: 'verblijfsobject gevormd'. Het pand waarin dit adres ligt heeft als status: 'verbouwing pand'.
Lingsforterweg 8008 is een adres gelegen in de gemeente Venlo, provincie Limburg. Dit adres is geregistreerd in de Basisregistratie Adressen en Gebouwen (BAG) met als unieke identificatie 0983010000164759.
Het pand op Lingsforterweg 8008 is gebouwd in 2009, wat betekent dat het 17 jaar oud is. Dit is een relatief modern pand. Ten opzichte van de nationale woningvoorraad is het pand relatief modern, maar er kunnen enkele verouderde elementen zijn die aandacht nodig hebben.
De woning op Lingsforterweg 8008 heeft een gebruiksoppervlakte van 19 m². Dit is relatief klein vergeleken met de gemiddelde Nederlandse woning, die een oppervlakte heeft van ongeveer 119 m². De gebruiksoppervlakte is de maat die wordt gebruikt in de BAG-registratie, de landelijke registratie van de Nederlandse overheid.
Lingsforterweg 8008 heeft als functie: overige doeleinden. Deze gebruiksfunctie(s) zijn vastgelegd in de BAG-registratie en geven aan waarvoor het adres officieel mag worden gebruikt.
Lingsforterweg 8008 is gelegen op kadastraal perceel ACN00A5922. Deze kadastrale aanduiding is uniek en wordt gebruikt door het Kadaster om eigendomsrechten en andere zakelijke rechten vast te leggen. Het perceel maakt onderdeel uit van de kadastrale gemeente Arcen en Velden.
Het perceel waarop Lingsforterweg 8008 staat heeft een oppervlakte van 9020 m². Dit is een zeer groot perceel. De perceeloppervlakte wordt geregistreerd door het Kadaster. Gedetailleerde informatie over de maten van dit perceel kunt u vinden in het rapport Kadastrale kaart met maatvoering van Lingsforterweg 8008.
De eigenaar van Lingsforterweg 8008 is op te vragen op deze pagina.
De informatie over dit adres is afkomstig uit officiële overheidsregistraties, voornamelijk de Basisregistratie Adressen en Gebouwen (BAG) en de Basisregistratie Kadaster (BRK). Deze gegevens worden beheerd door respectievelijk gemeenten en het Kadaster, en worden regelmatig bijgewerkt. Energielabelgegevens komen uit de database van de Rijksdienst voor Ondernemend Nederland (RVO).
