
Buishof 2 is gelegen in de plaats Arkel, de gemeente Molenlanden en de provincie Zuid-Holland. Het perceel waarop het verblijfsobject staat is 9,0 ha groot. De oppervlakte van het adres is 126 m², wat zich rond het Nederlandse gemiddelde van 119 m² bevindt. In de straat is dit het kleinste object. Het grootste verblijfsobject heeft een oppervlakte van 154 m². De gemiddelde grootte is er 142 m². Het pand waarin Buishof 2 ligt is gebouwd in het jaar 2026. Panden die gebouwd zijn na het jaar 1984 noemen we hier relatief nieuw. In de straat is dit het nieuwste pand en stamt het oudste object uit het jaar 2026. Het gemiddelde bouwjaar in de straat is 2026. Voor het verblijfsobject gelden deze gebruiksdoelen: 'woonfunctie'.
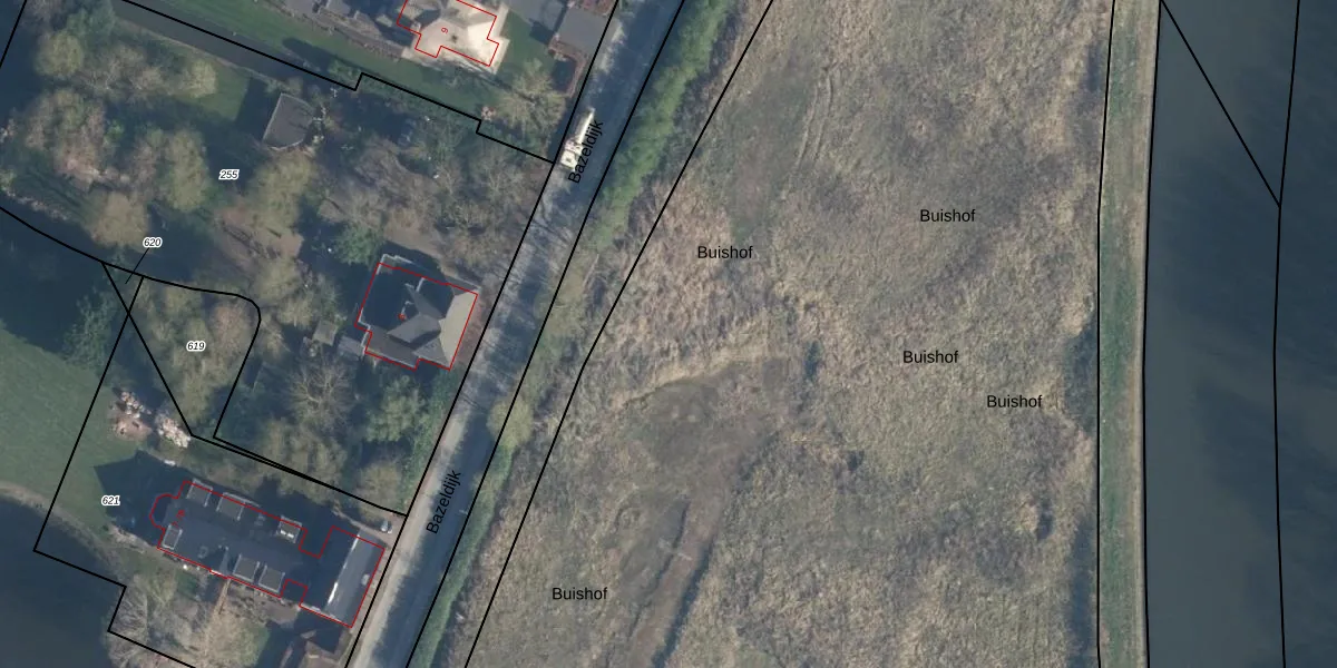
Het perceel waarop het adres ligt is AKL00-C-1957. De afkorting 'AKL00' staat voor kadastrale gemeente Arkel. Het perceel is met 9,0 ha relatief groot. Het gemiddelde ligt in de kadastrale gemeente Arkel op 3818,62 m². Het kleinste perceel in de kadastrale gemeente is 0 m² groot. De grootste perceeloppervlakte is 23,8 ha. Op het perceel zijn 59 adressen aanwezig. De laatste wijziging in het de Basisregistratie Kadaster (BRK) was op 01-03-2007.
Er is geen energielabel geregistreerd voor het adres. Het hoogste energielabel in de straat is G; het laagste is G. Het gemiddelde energielabel is er G. Het adres Buishof 2 heeft als status: 'verblijfsobject gevormd'. Het pand waarin dit adres ligt heeft als status: 'bouwvergunning verleend'.
Buishof 2 is een adres gelegen in de gemeente Molenlanden, provincie Zuid-Holland. Dit adres is geregistreerd in de Basisregistratie Adressen en Gebouwen (BAG) met als unieke identificatie 1978010007795838.
Het pand op Buishof 2 is gebouwd in 2026, wat betekent dat het 0 jaar oud is. Dit is een vrij nieuw pand. Het pand is dus waarschijnlijk goed geïsoleerd, geluidsdicht en voldoet aan de huidige bouwstandaarden. Op korte termijn zijn er waarschijnlijk weinig onderhoudskosten.
De woning op Buishof 2 heeft een gebruiksoppervlakte van 126 m². Dit is gemiddeld vergeleken met de gemiddelde Nederlandse woning, die een oppervlakte heeft van ongeveer 119 m². De gebruiksoppervlakte is de maat die wordt gebruikt in de BAG-registratie, de landelijke registratie van de Nederlandse overheid.
Buishof 2 heeft als functie: wonen. Deze gebruiksfunctie(s) zijn vastgelegd in de BAG-registratie en geven aan waarvoor het adres officieel mag worden gebruikt.
Buishof 2 is gelegen op kadastraal perceel AKL00C1957. Deze kadastrale aanduiding is uniek en wordt gebruikt door het Kadaster om eigendomsrechten en andere zakelijke rechten vast te leggen. Het perceel maakt onderdeel uit van de kadastrale gemeente Arkel.
Het perceel waarop Buishof 2 staat heeft een oppervlakte van 9,0 ha. Dit is een zeer groot perceel. De perceeloppervlakte wordt geregistreerd door het Kadaster. Gedetailleerde informatie over de maten van dit perceel kunt u vinden in het rapport Kadastrale kaart met maatvoering van Buishof 2.
De eigenaar van Buishof 2 is op te vragen op deze pagina.
De informatie over dit adres is afkomstig uit officiële overheidsregistraties, voornamelijk de Basisregistratie Adressen en Gebouwen (BAG) en de Basisregistratie Kadaster (BRK). Deze gegevens worden beheerd door respectievelijk gemeenten en het Kadaster, en worden regelmatig bijgewerkt. Energielabelgegevens komen uit de database van de Rijksdienst voor Ondernemend Nederland (RVO).
